Titel Logo
Kiek Rin
Ausgabe 4/2025
Amtliche Bekanntmachungen
Zurück zur vorigen Seite
Zurück zur ersten Seite der aktuellen Ausgabe

Bekanntmachung über das Inkrafttreten der 1. Änderung des vorhabenbezogenen Bebauungsplans Nr. 2 „Wohn- und Pflegezentrum Luzinweg“ der Gemeinde Feldberger Seenlandschaft nach § 10 Baugesetzbuch

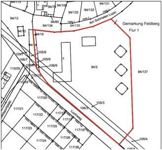
Auf Grund des § 10 des Baugesetzbuches in der Fassung der Bekanntmachung vom 03. November 2017 (BGBl. I S. 3634), hat die Gemeindevertretung der Gemeinde Feldberger Seenlandschaft in der Sitzung am 27.03.2025 die 1. Änderung des Bebauungsplans Nr. 2 „Wohn- und Pflegezentrum“ für das ca. 1,6 ha große Areal der ehemaligen Suchtklinik am Luzinweg im Ortsteil Feldberg (siehe Übersichtsplan) bestehend aus der Planzeichnung (Teil A) und den Textlichen Festsetzungen (Teil B), als Satzung beschlossen. Die Begründung wurde gebilligt.

Dies wird hiermit bekannt gemacht. Der Bebauungsplan der Innenentwicklung gemäß § 13a Baugesetzbuch tritt mit Ablauf des Tages der Bekanntmachung in Kraft. Jedermann kann den Bebauungsplan und die Begründung dazu ab diesem Tag im Rathaus der Gemeinde Feldberger Seenlandschaft, Zimmer 11, während der allgemeinen Dienststunden

Mo., Mi.+ Do.:

8:30 - 12:00 und 13:00 – 16:00 Uhr;

Di.:

8:30 - 12:00 und 13:00 - 18:00 Uhr,

Fr.:

8:30 – 12:00 Uhr

einsehen und über den Inhalt Auskunft verlangen. Der Bebauungsplan kann außerdem im Internet unter

https://gemeinde.feldberger-seenlandschaft.de, Button: öffentliche Bekanntmachung eingesehen werden.

Eine Verletzung der in § 214 Abs. 1 Satz 1 Nr. 1 bis 3, Abs. 2 und Abs. 3 Satz 2 BauGB bezeichneten Verfahrens- und Formvorschriften sowie Mängel in der Abwägung sind unbeachtlich, wenn sie nicht innerhalb eines Jahres seit dieser Bekanntmachung schriftlich gegenüber der Gemeinde unter Darlegung des Sachverhalts geltend gemacht worden sind (§ 215 Abs. 1 BauGB).

Auf die Vorschriften des § 44 BauGB über die fristgemäße Geltendmachung etwaiger Entschädigungsansprüche für Eingriffe in eine bisher zulässige Nutzung durch diese Satzung und über das Erlöschen von Entschädigungsansprüchen sowie auf § 5 Abs. 5 der Kommunalverfassung des Landes Mecklenburg-Vorpommern (KV M-V) wird hingewiesen. Nach

§ 5 Abs. 5 KV M-V kann ein Verstoß gegen Verfahrens- und Formvorschriften, die in diesem Gesetz enthalten oder auf Grund dieses Gesetzes erlassen worden sind, nach Ablauf eines Jahres der öffentlichen Bekanntmachung nicht mehr geltend gemacht werden, wenn bei der Bekanntmachung auf die Regelung dieses Absatzes hingewiesen worden ist.

Constance von Buchwaldt
Bürgermeisterin