Titel Logo
Kiek Rin
Ausgabe 7/2025
Amtliche Bekanntmachungen
Zurück zur vorigen Seite
Zurück zur ersten Seite der aktuellen Ausgabe

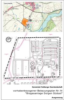
Bekanntmachung über die Verfahrenseinstellung des Bebauungsplanverfahrens vorhabenbezogener Bebauungspans Nr. 14 „Dolgen Südost“ der Gemeinde Feldberger Seenlandschaft

Die Gemeindevertretung der Gemeinde Feldberger Seenlandschaft hat in ihrer Sitzung am 05.10.2023 beschlossen, das Verfahren zum vorhabenbezogenen Bebauungsplan Nr. 14 „Dolgen Südost“ vom 06.03.2014 für das Gebiet der Schweinemastanlage Dolgen, linke Seite von Koldenhof kommend, in der Gemarkung Koldenhof, Flur 1, in der Gemarkung Dolgen (siehe Übersichtsplan) einzustellen.

Dieser Beschluss wird hiermit ortsüblich bekannt gemacht.

Mit dem Verfahren sollte die Erweiterung der vorhandenen Biogasanlage behandelt werden. Das Verfahren ruhte nach der Durchführung der frühzeitigen Beteiligung im Jahr 2015. Auf Antrag des Vorhabenträgers, zur Einleitung eines neuen Bebauungsplanverfahrens mit veränderten Geltungsbereich und neuen Entwicklungszielen, beschloss die Gemeindevertretung am 05.10.2023 ein neues Bebauungsplanverfahren zu beginnen. Mit dem vorhabenbezogenen Bebauungsplan Nr. 21 „Biogas und Tierproduktion Dolgen“ soll die Standortentwicklung der Biogasanlage Dolgen planungsrechtlich gesichert werden. Die Weiterführung des Verfahrens zum vorhabenbezogenen Bebauungsplan Nr. 14 ist somit hinfällig.

Constance von Buchwaldt

Bürgermeisterin