Titel Logo
Kiek Rin
Ausgabe 7/2025
Amtliche Bekanntmachungen
Zurück zur vorigen Seite
Zurück zur ersten Seite der aktuellen Ausgabe

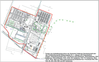
Bekanntmachung über den Aufstellungsbeschluss sowie über die frühzeitige Öffentlichkeitsbeteiligung gemäß § 3 Abs. 1 BauGB zum vorhabenbezogenen Bebauungsplan Nr. 21 „Biogas und Tierproduktion Dolgen“ der Gemeinde Feldberger Seenlandschaft

Die Gemeindevertretung der Gemeinde Feldberger Seenlandschaft hat in öffentlicher Sitzung am 05.10.2023 für den in anliegender Übersichtskarte gekennzeichneten Geltungsbereich den Aufstellungsbeschluss zum vorhabenbezogenen Bebauungsplans Nr. 21 „Biogas und Tierproduktion Dolgen“ beschlossen. Der Beschluss über die Aufstellung des Bebauungsplans wird gemäß § 2 Abs. 1 Baugesetzbuch (BauGB) hiermit bekannt gemacht.

Planungsziel ist die planungsrechtliche Sicherung eines Produktionsstandortes für Bioenergie außerhalb der Privilegierung.

Die gemäß § 3 Abs. 1 BauGB erforderliche frühzeitige Unterrichtung der Öffentlichkeit über die Ziele und Zwecke der Planung wird in Form einer

Veröffentlichung im Internet durchgeführt. Der Vorentwurf des Bebauungsplanes, bestehend aus der Planzeichnung (Teil A) mit den textlichen Festsetzungen und der Begründung (Teil B), können im Internet auf der Homepage der Gemeinde Feldberger Seenlandschaft unter „Öffentliche Bekanntmachungen“

vom 28.07.2025 bis einschließlich 05.09.2025

eingesehen werden. Darüber hinaus ist in diesem Zeitraum die Einsichtnahme der Unterlagen im Rathaus der Gemeinde Feldberger Seenlandschaft, Prenzlauer Straße 2, 17258 Feldberger Seenlandschaft, während der Dienststunden möglich:

Mo., Mi. + Do.:

8:30 - 12:00 und 13:00 - 16:00 Uhr;

Di.:

8:30 - 12:00 und 13:00 - 18:00 Uhr;

Fr.:

8:30 - 12:00 Uhr

Während des Veröffentlichungszeitraumes können von jedermann Bedenken und Anregungen zum Vorentwurf des Bebauungsplanes vorgebracht werden. Die Stellungnahmen ist elektronisch abzugeben (info@feldberg.de). Es können auch postalisch Stellungnahmen abgegeben werden (Adresse Rathaus).

Das Anhörungsergebnis wird in die weitere Planung einfließen. Es wird daraufhin gewiesen, dass nicht innerhalb der Veröffentlichungsfrist abgegebene Stellungnahmen bei der Beschlussfassung über den Bebauungsplan unberücksichtigt bleiben können.

Constance von Buchwaldt

Bürgermeisterin