Titel Logo
Greifswalder Stadtblatt
Ausgabe 8/2023
Amtlicher Teil
Zurück zur vorigen Seite
Zurück zur ersten Seite der aktuellen Ausgabe

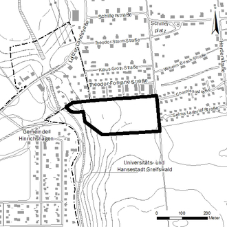
Amtliche Bekanntmachung des Bebauungsplans Nr. 118 – Südlich Fontanestraße – der Universitäts- und Hansestadt Greifswald gemäß § 10 Absatz 3 Baugesetzbuch (BauGB)

Die von der Bürgerschaft der Universitäts- und Hansestadt Greifswald in der Sitzung am 20.04.2023 beschlossene Satzung über den Bebauungsplan Nr. 118 - Südlich Fontanestraße - (Abgrenzung gemäß Planausschnitt), bestehend aus der Planzeichnung (Teil A) und dem Text (Teil B), einschließlich der baugestalterischen Festsetzungen gemäß § 86 Landesbauordnung Mecklenburg-Vorpommern (LBauO M-V), wird hiermit bekanntgemacht.

Planausschnitt:

Die Satzung über den Bebauungsplan Nr. 118 - Südlich Fontanestraße - tritt mit Ablauf des Erscheinungstages dieser Bekanntmachung in Kraft.

Die Öffentlichkeit kann die Satzung über den Bebauungsplan Nr. 118 - Südlich Fontanestraße -, die Begründung mit Umweltbericht und die zusammenfassende Erklärung sowie die zur Anwendung kommenden technischen Bestimmungen und DIN-Normen ab diesem Tag im Stadtbauamt der Universitäts- und Hansestadt Greifswald, Abteilung Stadtentwicklung/untere Denkmalschutzbehörde, Markt 15, 17489 Greifswald, während der folgenden Sprechzeiten einsehen und über den Inhalt Auskunft verlangen:

Dienstag:

9.00 - 12.00 Uhr und 14.00 - 18.00 Uhr

Mittwoch:

9.00 - 12.00 Uhr

Donnerstag:

9.00 - 12.00 Uhr und 14.00 - 16.00 Uhr

Freitag:

9.00 - 12.00 Uhr.

Eine beachtliche Verletzung der in § 214 Absatz 1 Satz 1 Nr. 1 bis 3 BauGB bezeichneten Verfahrens- und Formvorschriften, eine unter Berücksichtigung des § 214 Absatz 2 BauGB beachtliche Verletzung der Vorschriften über das Verhältnis des Bebauungsplans und des Flächennutzungsplans sowie beachtliche Mängel des Abwägungsvorgangs nach § 214 Absatz 3 Satz 2 BauGB werden gemäß § 215 BauGB unbeachtlich, wenn sie nicht innerhalb eines Jahres seit dieser Bekanntmachung schriftlich gegenüber der Universitäts- und Hansestadt Greifswald unter Darlegung des die Verletzung begründenden Sachverhalts geltend gemacht worden sind.

Auf die Vorschriften des § 44 Absatz 3 Sätze 1 und 2 sowie Absatz 4 BauGB über die fristgemäße Geltendmachung etwaiger Entschädigungsansprüche für Eingriffe durch diesen Bebauungsplan in eine bisher zulässige Nutzung und über das Erlöschen von Entschädigungsansprüchen sowie auf die Bestimmung des § 5 Absatz 5 Kommunalverfassung für das Land Mecklenburg-Vorpommern (KV M-V) in der Fassung der Bekanntmachung vom 13. Juli 2011 (GVOBl. M-V, S. 777), zuletzt geändert durch Artikel 1 des Gesetzes vom 23. Juli 2019 (GVOBl. M-V, S. 467), wird hingewiesen.

Nach ihrer Ausfertigung wird die Satzung über den Bebauungsplan Nr. 118 - Südlich Fontanestraße - mit Begründung und der zusammenfassenden Erklärung gemäß § 10a Absatz 2 BauGB in das Internet unter der Adresse - https://www.greifswald.de/de/verwaltung-politik/ortsrecht/baurecht/bebauungsplaene/ - sowie in das Bau- und Planungsportal M-V unter der Adresse

- https://bplan.geodaten-mv.de/Bauleitplaene - ergänzend eingestellt.

Zu informatorischen Zwecken ist diese Bekanntmachung ab dem Tag ihrer ortsüblichen Bekanntmachung im "Greifswalder Stadtblatt" auch im Internet unter der Adresse - https://www.greifswald.de/de/verwaltung-politik/ortsrecht/oeffentliche-bekanntmachungen/ - aufrufbar.

Auf die Datenschutzerklärung der Universitäts- und Hansestadt Greifswald wird ausdrücklich aufmerksam gemacht - https://www.greifswald.de/de/datenschutzerklaerung/.

Greifswald, den 09.08.2023