Titel Logo
Amtskurier Güstrow-Land
Ausgabe 1/2025
Amtliche Bekanntmachungen
Zurück zur vorigen Seite
Zurück zur ersten Seite der aktuellen Ausgabe

Ausschreibung

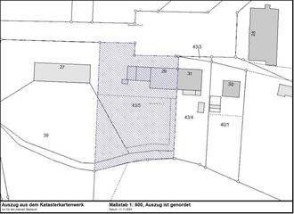
Grundstück in 18276 Glasewitz, Lindenstraße 29

Das Amt Güstrow-Land schreibt für die Gemeinde Glasewitz folgendes bebautes Grundstück zum Verkauf aus:

Gemarkung Glasewitz

Flur 3

Flurstück 43/5

2.654 m²

Mindestgebot: 30.000 €

Auf Folgendes wird hingewiesen:

  • das vor 1930 errichtete Hauptgebäude ist stark sanierungsbedürftig und wurde zuletzt als Unterstellmöglichkeit für die Feuerwehr genutzt
  • das Grundstück ist frei von Miet- und Pachtverträgen
  • als Belastung im Grundbuch sind in Abt. II Leitungsrechte eingetragen, welche vom Erwerber übernommen werden müssen
  • eine zukünftige Nutzung soll nur zu Wohnzwecken erfolgen; eine Nutzung zu Gewerbezwecken wird durch die Gemeinde ausgeschlossen
  • ein Verkehrswertgutachten (Stichtag 28.05.2024) liegt vor
  • alle Vertragsdurchführungskosten (Notar u.a.) trägt der Käufer
  • es wird eine Beleihungsvollmacht von maximal 500.000 € gewährt
  • die Ausschreibung stellt keine Ausschreibung nach VOB/UVgO dar
  • alle notwendigen Unterlagen sind im Amt, unter vorheriger Terminabsprache, einsehbar

Die Ausschreibung wird am 01.12.2024 eröffnet. Gebote können innerhalb einer Frist bis zum 28.02.2025 abgegeben werden. Ausschlaggebend für die Fristwahrung ist der Poststempel. Anträge sind mit einem Gebot, welches mindestens 30.000,00 € (Mindestgebot) betragen muss, in einem verschlossenen Umschlag mit dem Vermerk „Nicht öffnen! Ausschreibung Grundstück in Glasewitz, Lindenstraße 29“ an das Amt Güstrow-Land, SB Liegenschaften, Haselstraße 4 in 18273 Güstrow, zu richten. Werden mehrere Gebote abgegeben, behält sich die Gemeinde Glasewitz die Durchführung eines Bieterverfahrens vor. Angebotsklauseln, die eine automatische Steigerung des Kaufpreises beinhalten, sofern ein anderer Kaufinteressent einen höheren Kaufpreis bietet, werden nicht gewertet. Die Vergabe steht unter Vorbehalt der Zustimmung der politischen Gremien.

Die Gemeinde Glasewitz behält sich das Recht vor, die Ausschreibung ohne Angaben von Gründen jederzeit für ungültig zu erklären.

Gemeinde Glasewitz
vertreten durch den Bürgermeister

Güstrow, 01.12.2024

Kontakt: Amt Güstrow-Land, Bau- und Ordnungsamt – Abt. Liegenschaften, Haselstraße 4, 18273 Güstrow

Ansprechpartnerin: Frau Schießl, Telefon: 03843/69 33 33, E-Mail: b.schiessl@amt-guestrow-land.de

Die Ausschreibung ist auf der Homepage des Amtes Güstrow-Land: www.amt-guestrow-land.de/Bekanntgaben Bau- und Ordnungsamt/Bekanntgaben Liegenschaften einsehbar!