Titel Logo
Amtskurier Güstrow-Land
Ausgabe 10/2024
Amtliche Bekanntmachungen
Zurück zur vorigen Seite
Zurück zur ersten Seite der aktuellen Ausgabe

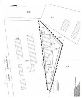
Öffentliche Bekanntmachung der Gemeinde Sarmstorf

Bekannt gemacht wird die Satzung der Gemeinde Sarmstorf über den Bebauungsplan Nr. 5 „Gewerbegebiet am Technikstützpunkt“ in der Ortslage Sarmstorf und die Aufhebung der Satzungen über den Vorhaben- und Erschließungsplan Nr. 1 „Metallbaubetrieb R. Nickel“ und die 1. Änderung des vorhabenbezogenen Bebauungsplans Nr. 1 „Metallbaubetrieb R. Nickel“ am Technikstützpunkt Sarmstorf der Gemeinde Sarmstorf gemäß § 10 Abs. 3 Baugesetzbuch (BauGB).

Der von der Gemeindevertretung Sarmstorf in der Sitzung am 18.04.2024 (DS-Nr. 08/24) als Satzung beschlossene Bebauungsplan Nr. 5 „Gewerbegebiet am Technikstützpunkt“ in der Ortslage Sarmstorf sowie die Aufhebung der Satzungen über den Vorhaben- und Erschließungsplan Nr. 1 „Metallbaubetrieb R. Nickel“ und die 1. Änderung des vorhabenbezogenen Bebauungsplans Nr. 1 „Metallbaubetrieb R. Nickel“ am Technikstützpunkt Sarmstorf der Gemeinde Sarmstorf gelten aufgrund der Fiktion nach § 6 Abs. 4 Satz 4 BauGB mit Ablauf des 02.08.2024 vom Landrat des Landkreises Rostock als genehmigt. Die Satzung der Gemeinde Sarmstorf über den Bebauungsplan Nr. 5 „Gewerbegebiet am Technikstützpunkt“ in der Ortslage Sarmstorf und die Aufhebung der Satzungen über den Vorhaben- und Erschließungsplan Nr. 1 „Metallbaubetrieb R. Nickel“ und die 1. Änderung des vorhabenbezogenen Bebauungsplans Nr. 1 „Metallbaubetrieb R. Nickel“ am Technikstützpunkt Sarmstorf der Gemeinde Sarmstorf werden hiermit bekannt gemacht.

Die Satzung der Gemeinde Sarmstorf sowie die Aufhebung treten mit Ablauf des 02.10.2024 in Kraft.

Jedermann kann die Satzung der Gemeinde Sarmstorf über den Bebauungsplan Nr. 5 „Gewerbegebiet am Technikstützpunkt“ in der Ortslage Sarmstorf und die Aufhebung der Satzungen über den Vorhaben- und Erschließungsplan Nr. 1 „Metallbaubetrieb R. Nickel“ und die 1. Änderung des vorhabenbezogenen Bebauungsplans Nr. 1 „Metallbaubetrieb R. Nickel“ am Technikstützpunkt Sarmstorf der Gemeinde Sarmstorf mit der Begründung sowie der zusammenfassenden Erklärung ab diesem Tag im Amt Güstrow-Land, Haselstraße 4, 18273 Güstrow, Raum 205, während der Öffnungszeiten:

montags und freitags

von 09:00 bis 12:00 Uhr,

dienstags

von 09:00 bis 12:00 Uhr und

von 14:00 bis 18:00 Uhr und

donnerstags

von 09:00 bis 12:00 Uhr und

von 14:00 bis 16:00 Uhr

einsehen und über den Inhalt Auskunft verlangen.

Darüber hinaus ist die Einsichtnahme der Satzung mit der Begründung und der Aufhebung im Internet auf der Homepage des Amtes Güstrow-Land unter dem Pfad www.amt-guestrow-land.de/ortsrecht/bauleitplanungen sowie

auf dem Bau- und Planungsportal M-V unter dem Pfad https://bplan.geodaten-mv.de/Bauleitplaene/Interaktive_Karte möglich.

Auf die Voraussetzungen für die Geltendmachung der Verletzung von Verfahrens- und Formvorschriften und von Mangeln der Abwägung sowie die Rechtsfolgen des § 215 Abs. 1 BauGB wird hingewiesen. Unbeachtlich werden demnach

1.

eine nach § 214 Abs. 1 Satz 1 Nr. 1 bis 3 BauGB beachtliche Verletzung der dort bezeichneten Verfahrens- und Formvorschriften,

2.

eine unter Berücksichtigung des § 214 Abs. 2 BauGB beachtliche Verletzung der Vorschriften über das Verhältnis des Bebauungsplans und des Flächennutzungsplans und

3.

nach § 214 Abs. 3 Satz 2 BauGB beachtliche Mängel des Abwägungsvorgangs,

wenn sie nicht innerhalb eines Jahres seit Bekanntmachung des Bebauungsplans schriftlich gegenüber der Gemeinde Sarmstorf über das Amt Güstrow-Land, - Der Amtsvorsteher -, Haselstraße 4, 18273 Güstrow geltend gemacht worden sind; der Sachverhalt, der die Verletzung oder den Mangel begründen soll, ist darzulegen. Dies gilt entsprechend, wenn Fehler nach § 214 Absatz 2a BauGB beachtlich sind.

Soweit beim Erlass dieser Satzung gegen Verfahrens- und Formvorschriften verstoßen wurde, können diese nach § 5 Abs. 5 der Kommunalverfassung für das Land Mecklenburg-Vorpommern geltend gemacht werden. Diese Einschränkung gilt nicht für die Verletzung von Anzeige-, Genehmigungs- und Bekanntmachungsvorschriften. Außerdem wird auf die Vorschriften des § 44 Abs. 3 Satz 1 und 2 sowie Abs. 4 BauGB hingewiesen. Danach erlöschen Entschädigungsansprüche für nach den §§ 39 bis 42 BauGB eingetretene Vermögensnachteile, wenn nicht innerhalb von drei Jahren nach Ablauf des Kalenderjahres, in dem die Vermögensnachteile eingetreten sind, die Fälligkeit des Anspruches herbeigeführt wird.

Sarmstorf, 02.10.2024

Kim Julian Giese

Siegel

Bürgermeister