Titel Logo
Amtskurier Güstrow-Land
Ausgabe 3/2025
Amtliche Bekanntmachungen
Zurück zur vorigen Seite
Zurück zur ersten Seite der aktuellen Ausgabe

Ausschreibung

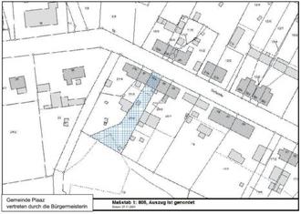
Grundstück in 18276 Plaaz, Dorfstraße 36a

Das Amt Güstrow-Land schreibt für die Gemeinde Plaaz folgendes bebautes Grundstück zum Verkauf aus:

Gemarkung Plaaz

Flur 1

Flurstück 21/2

718 m²

Mindestgebot: 30.000 €

Auf Folgendes wird hingewiesen:

-

das Grundstück ist mit einem leerstehenden Reihenmittelhaus bebaut und wurde um 1900 errichtet

-

nach 1990 erfolgten nur teilweise Modernisierungsarbeiten

-

die Wohnfläche beträgt ca. 57 m² (2 Zimmer, Küche, Bad, Flur)

-

ein Verkehrswertgutachten (Stichtag 22.11.2024) liegt vor

-

alle Vertragsdurchführungskosten (Notar u.a.) trägt der Käufer

-

es wird eine Beleihungsvollmacht von maximal 500.000 € gewährt

-

die Ausschreibung stellt keine Ausschreibung nach VOB/UVgO dar

-

alle notwendigen Unterlagen sind im Amt, unter vorheriger Terminabsprache, einsehbar

Die Ausschreibung wird am 02.01.2025 eröffnet. Gebote können innerhalb einer Frist bis zum 31.03.2025 abgegeben werden. Ausschlaggebend für die Fristwahrung ist der Poststempel. Anträge sind mit einem Gebot, welches mindestens 30.000,00 € (Mindestgebot) betragen muss, in einem verschlossenen Umschlag mit dem Vermerk „Nicht öffnen! Ausschreibung Grundstück in Plaaz, Dorfstraße 36a“ an das Amt Güstrow-Land, SB Liegenschaften, Haselstraße 4 in 18273 Güstrow, zu richten. Werden mehrere Gebote abgegeben, behält sich die Gemeinde Plaaz die Durchführung eines Bieterverfahrens vor. Angebotsklauseln, die eine automatische Steigerung des Kaufpreises beinhalten, sofern ein anderer Kaufinteressent einen höheren Kaufpreis bietet, werden nicht gewertet. Die Vergabe steht unter Vorbehalt der Zustimmung der politischen Gremien.

Die Gemeinde Plaaz behält sich das Recht vor, die Ausschreibung ohne Angaben von Gründen jederzeit für ungültig zu erklären.

Güstrow, 01.01.2025

Kontakt: Amt Güstrow-Land, Bau- und Ordnungsamt – Abt. Liegenschaften, Haselstraße 4, 18273 Güstrow

Ansprechpartnerin: Frau Schießl, Telefon: 03843/69 33 33, E-Mail: b.schiessl@amt-guestrow-land.de

Die Ausschreibung ist auf der Homepage des Amtes Güstrow-Land: www.amt-guestrow-land.de/Bekanntgaben Bau- und Ordnungsamt/Bekanntgaben Liegenschaften einsehbar!