Titel Logo
Amtskurier Güstrow-Land
Ausgabe 4/2025
Amtliche Bekanntmachungen
Zurück zur vorigen Seite
Zurück zur ersten Seite der aktuellen Ausgabe

Ausschreibung

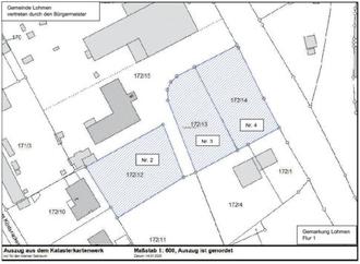
Baugrundstücke in 18276 Lohmen, Am Speicher

Das Amt Güstrow-Land schreibt für die Gemeinde Lohmen drei Baugrundstücke zur Wohnbebauung zum Verkauf aus.

Entsprechend des Bebauungsplanes Nr. 12 „Werthmannshof“ liegen die betreffenden Grundstücksflächen im Innenbereich gemäß § 34 BauGB. Die Grundstücke sind ortsüblich erschlossen.

Auf Folgendes wird hingewiesen:

-

die Festlegungen der Satzung sind entsprechend einzuhalten (Einsichtnahme der Satzung im Amt, unter vorheriger Terminabsprache, möglich!)

-

es gilt eine Bauverpflichtung innerhalb von 3 Jahren nach Übergabe des Grundstücks

-

alle Vertragsdurchführungskosten (Notar u. a.) trägt der Käufer

-

es wird eine Beleihungsvollmacht von maximal 500.000 € gewährt

-

die Ausschreibung stellt keine Ausschreibung nach VOB/UVgO dar

Die Ausschreibung wird am 01.02.2025 eröffnet. Gebote können innerhalb einer Frist bis zum 30.04.2025 abgegeben werden. Ausschlaggebend für die Fristwahrung ist der Poststempel. Anträge sind mit einem Gebot, welches mindestens für

Bauplatz Nr. 2 (1.025 m²) = 64,40 €/m² (Mindestgebot)

Bauplatz Nr. 3 ( 831 m²) = 61,40 €/m² (Mindestgebot)

Bauplatz Nr. 4 ( 939 m²) = 54,30 € /m² (Mindestgebot)

betragen muss, in einem verschlossenen Umschlag mit dem Vermerk „Nicht öffnen! Ausschreibung Baugrundstück in Lohmen + Bauplatz-Nr.“ an das Amt Güstrow-Land, SB Liegenschaften, Haselstraße 4 in 18273 Güstrow, zu richten. Werden mehrere Gebote abgegeben, behält sich die Gemeinde Lohmen die Durchführung eines Bieterverfahrens vor. Angebotsklauseln, die eine automatische Steigerung des Kaufpreises beinhalten, sofern ein anderer Kaufinteressent einen höheren Kaufpreis bietet, werden nicht gewertet. Die Vergabe steht unter Vorbehalt der Zustimmung der politischen Gremien.

Die Gemeinde Lohmen behält sich das Recht vor, die Ausschreibung ohne Angaben von Gründen jederzeit für ungültig zu erklären.

Güstrow, 01.02.2025

Kontakt: Amt Güstrow-Land, Bau- und Ordnungsamt – Abt. Liegenschaften, Haselstraße 4, 18273 Güstrow

Ansprechpartnerin: Frau Schießl, Telefon: 03843/69 33 33, E-Mail: b.schiessl@amt-guestrow-land.de

Die Ausschreibung ist auf der Homepage des Amtes Güstrow-Land: www.amt-guestrow-land.de/Bekanntgaben Bau- und Ordnungsamt/Bekanntgaben Liegenschaften einsehbar!