Titel Logo
Amtskurier Güstrow-Land
Ausgabe 6/2023
Amtliche Bekanntmachungen
Zurück zur vorigen Seite
Zurück zur ersten Seite der aktuellen Ausgabe

Öffentliche Bekanntmachung der Gemeinde Sarmstorf

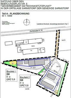
Bekannt gemacht wird hiermit der Beschluss der Gemeindevertretung Sarmstorf vom 27.04.2023 DS-Nr. 09/23 über die öffentliche Auslegung des Bebauungsplanes Nr. 5 „Gewerbegebiet am Technikstützpunkt“ in Sarmstorf der Gemeinde Sarmstorf.

  1. Nicht berücksichtigte Anregungen und Bedenken aus der frühzeitigen Beteiligung der Öffentlichkeit gemäß §§ 13a Abs. 3 Satz 1 Nr. 2, 3 Abs. 1 BauGB liegen nicht vor.

  2. Der Entwurf des Bebauungsplans Bebauungsplanes Nr. 5 „Gewerbegebiet am Technikstützpunkt“ der Gemeinde Sarmstorf und die Begründung werden in der vorliegenden Fassung gebilligt.

  3. Die Entwürfe des Planes und der Begründung sind gemäß § 3 Abs. 2 BauGB öffentlich auszulegen und die berührten Behörden und sonstige Träger öffentlicher Belange sind gemäß § 4 Abs. 2 BauGB zur Abgabe einer Stellungnahme aufzufordern.

  4. Der Inhalt der ortsüblichen Bekanntmachung nach § 3 Abs. 2 Satz 2 BauGB und die nach § 3 Abs. 2 Satz 1 BauGB auszulegenden Unterlagen sind nach § 4a Abs. 4 BauGB zusätzlich unter www.amt-guestrow-land.de/ortsrecht/bauleitplanunqen einzustellen und über ein zentrales Internetprotal des Landes zugänglich zu machen.

Die Entwürfe des Bebauungsplanes Nr. 5 „Gewerbegebiet am Technikstützpunkt“ in Sarmstorf der Gemeinde Sarmstorf bestehend aus der Planzeichnung und der Begründung sind im Amt Güstrow-Land, Haselstraße 4, 18273 Güstrow

montags und freitags

von 09:00 bis 12:00 Uhr,

dienstags

von 09:00 bis 12:00 Uhr und

von 14:00 bis 18:00 Uhr und

donnerstags

von 09:00 bis 12:00 Uhr und

von 14:00 bis 16:00 Uhr

in der Zeit vom 16.06.2023 bis 19.07.2023 im Raum 205 des Amtes Güstrow-Land, 2. Obergeschoss einzusehen. Zusätzlich können telefonisch Termine vereinbart werden.

Während der Auslegefrist können von jedermann Bedenken, Anregungen und Hinweise zum vorliegenden Satzungsentwurf bei der Auslegestelle vorgebracht werden. Nicht fristgerecht abgegebene Stellungnahmen können gemäß § 3 Abs. 2 Satz 2 Halbsatz 2 BauGB bei der Beschlussfassung über den Bebauungsplan Nr. 5 „Gewerbegebiet am Technikstützpunkt“ in Sarmstorf der Gemeinde Sarmstorf unberücksichtigt bleiben sofern die Gemeinde deren Inhalt nicht kannte und nicht hätte kennen müssen und deren Inhalt für die Rechtmäßigkeit des Bauleitplans nicht von Bedeutung ist.

Eine digitale Einsichtnahme der Satzung mit der Begründung ist im Internet, in der Zeit der öffentlichen Auslegung, über die Homepage des Amtes Güstrow-Land unter dem Pfad www.amt-guestrow-land.de/ortsrecht/bauleitplanungen sowie auf dem Bau- und Planungsportal M-V unter dem Pfad https://bplan.geodaten-mv.de/Bauleitplaene/Interaktive_Karte möglich.

Sarmstorf, 07.06.2023

Marita Breitenfeldt

Siegel

Bürgermeisterin