Titel Logo
Amtskurier Güstrow-Land
Ausgabe 9/2023
Amtliche Bekanntmachungen
Zurück zur vorigen Seite
Zurück zur ersten Seite der aktuellen Ausgabe

Ausschreibung

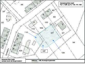
Baugrundstück in 18276 Klein Upahl

Das Amt Güstrow-Land schreibt für die Gemeinde Klein Upahl folgendes Baugrundstück zum Verkauf aus

Gemarkung Klein Upahl

Flur 1

Teilfläche aus den Flurstücken 11/6, 11/7 + 10/6

gesamt ca. 800 m²

Das Grundstück liegt im Geltungsbereich des Bebauungsplanes Klein Upahl Dorfmitte/Seeufer Nr. 3. Es ist ortsüblich erschlossen.

Auf Folgendes wird hingewiesen:
  • die Festlegungen der vorgenannten Satzung sind entsprechend einzuhalten

  • es gilt eine Bauverpflichtung innerhalb von 3 Jahren nach Übergabe des Grundstücks

  • Übernahme einer Dienstbarkeit für ein Leitungsrecht

  • die regelmäßige Pflege des Grundstücks bis zum Baubeginn ist zu gewährleisten

  • die Vermessung wurde bereits in Auftrag gegeben

  • alle Vertragsdurchführungskosten (Notar u.a.) trägt der Käufer

  • es wird eine Beleihungsvollmacht von maximal 500.000 € gewährt

  • die Ausschreibung stellt keine Ausschreibung nach VOB/UVgO dar

  • alle notwendigen Unterlagen sind im Amt, unter vorheriger Terminabsprache, einsehbar

Die Ausschreibung wird am 01.08.2023 eröffnet. Gebote können innerhalb einer Frist bis zum 31.10.2023 abgegeben werden. Ausschlaggebend für die Fristwahrung ist der Poststempel. Anträge sind mit einem Gebot, welches mindestens 62,50 €/m² (Mindestgebot) betragen muss, in einem verschlossenen Umschlag mit dem Vermerk „Nicht öffnen! Ausschreibung Baugrundstück in 18276 Klein Upahl“ an das Amt Güstrow-Land, SB Liegenschaften, Haselstraße 4 in 18273 Güstrow, zu richten.

Werden mehrere Gebote abgegeben, behält sich die Gemeinde Klein Upahl die Durchführung eines Bieterverfahrens vor. Angebotsklauseln, die eine automatische Steigerung des Kaufpreises beinhalten, sofern ein anderer Kaufinteressent einen höheren Kaufpreis bietet, werden nicht gewertet. Die Vergabe steht unter Vorbehalt der Zustimmung der politischen Gremien. Die Gemeinde Klein Upahl behält sich das Recht vor, die Ausschreibung ohne Angaben von Gründen jederzeit für ungültig zu erklären.

Güstrow, 01.08.2023

Kontakt: Amt Güstrow-Land, Bau- und Ordnungsamt – Abt. Liegenschaften, Haselstraße 4, 18273 Güstrow

Ansprechpartner: Frau Schießl, Telefon: 03843/69 33 33, E-Mail: b.schiessl@amt-guestrow-land.de

Die Ausschreibung ist auf der Homepage des Amtes Güstrow-Land: www.amt-guestrow-land.de/Bekanntmachungen Bau- und

Ordnungsamt/Bekanntgaben Liegenschaften einsehbar!