Titel Logo
KAISERBÄDER-BOTE
Ausgabe 10/2025
Amtliche Bekanntmachungen
Zurück zur vorigen Seite
Zurück zur ersten Seite der aktuellen Ausgabe

Amtliche Bekanntmachungen


Gemeinde Ostseebad Heringsdorf

Die Bürgermeisterin

Kurparkstraße 4

17419 Seebad Ahlbeck

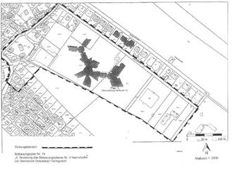
Bekanntmachung der Gemeinde Ostseebad Heringsdorf über den Beschluss zur Aufstellung des Bebauungsplanes Nr. 74 „2. Änderung des Bebauungsplanes Nr. 2 Heimstraße“ der Gemeinde Ostseebad Heringsdorf

Die Gemeindevertretung der Gemeinde Ostseebad Heringsdorf hat in ihrer Sitzung am 25.09.2025 den Beschluss zur Aufstellung des Bebauungsplanes Nr. 74 „2. Änderung des Bebauungsplanes Nr. 2 Heimstraße“ der Gemeinde Ostseebad Heringsdorf gefasst.

Zielstellung des Bebauungsplanes ist es, die bauplanungsrechtlichen Grundlagen zu schaffen, das Ferienwohnen in den nach § 4 Baunutzungsverordnung „allgemeinen Wohngebieten“ zu regeln und die gesunden Wohnverhältnisse in den allgemeinen Wohngebieten des Bebauungsplanes Nr. 2 „Heimstraße“ der Gemeinde Ostseeheilbad Ahlbeck zu sichern.

Mit Novellierung des Baunutzungsverordnung und der damit geänderten Rechts- und Begriffsauslegung des Ferienwohnens ergibt sich ein grundsätzlicher Regel- und Klarstellungbedarf bezüglich der zulässigen Nutzungsarten in den allgemeinen Wohngebieten. Demnach ist das Ferienwohnen entweder den „nicht störenden Gewerbebetrieben“ oder den „Betrieben des Beherbergungsgewerbes“ zuzuordnen.

Da Betriebe des Beherbergungsgewerbes in den „allgemeinen Wohngebieten“ gemäß dem Bebauungsplan Nr. 2 „Heimstraße“ der Gemeinde Ostseeheilbad Ahlbeck zulässig wären, ist gegenwärtig nicht mehr sichergestellt, dass sich das Ferienwohnen in den allgemeinen Wohngebieten des Bebauungsplanes Nr. 2 „Heimstraße“ der Gemeinde Ostseeheilbad Ahlbeck anhand der damaligen Festsetzungen in einem verträglichen Maße zur Wohnnutzung entwickelt.

Mit der Aufstellung des Bebauungsplanes Nr. 74 „2. Änderung des Bebauungsplanes Nr. 2 Heimstraße“ der Gemeinde Ostseebad Heringsdorf sollen die Festsetzungen dahingehend überarbeitet werden, den möglichen negativen städtebaulichen Entwicklung in den „allgemeinen Wohngebieten“ des Bebauungsplanes zu begegnen.

Ein Übersichtsplan des Bebauungsplanes Nr. 74 „2. Änderung des Bebauungsplanes Nr. 2 Heimstraße“ ist dieser Bekanntmachung beigefügt.

Das Bebauungsplanverfahren wird im vereinfachten Verfahren nach § 13 Baugesetzbuch (BauGB) durchgeführt. Gemäß § 13 Abs. 3 BauGB wird im vereinfachten Verfahren von der Umweltprüfung nach § 2 Abs. 4 BauGB, von dem Umweltbericht nach § 2 a BauGB, von der Angabe nach § 3 Abs. 2 Satz 2 BauGB, welche Arten umweltbezogener Informationen verfügbar sind, sowie von der zusammenfassenden Erklärung nach § 10 a Abs 1 abgesehen, § 4 c BauGB (Überwachung) ist nicht anzuwenden. Gemäß § 13 Abs. 2 Satz 1 BauGB wird im vereinfachten Verfahren von der frühzeitigen Unterrichtung und Erörterung nach § 3 Abs. 1 und § 4 Abs. 1 abgesehen.

Dieser Beschluss wird hiermit ortsüblich bekannt gemacht.