Titel Logo
KAISERBÄDER-BOTE
Ausgabe 10/2025
Amtliche Bekanntmachungen
Zurück zur vorigen Seite
Zurück zur ersten Seite der aktuellen Ausgabe

Amtliche Bekanntmachungen

Gemeinde Ostseebad Heringsdorf

Die Bürgermeisterin

Kurparkstraße 4

17419 Seebad Ahlbeck

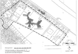
Bekanntmachung der Gemeinde Ostseebad Heringsdorf über den Beschluss zur Aufstellung und Erlass einer Veränderungssperre zum Bebauungsplan Nr. 74

„2. Änderung des Bebauungsplanes Nr. 2 Heimstraße“ der Gemeinde Ostseebad Heringsdorf

Die Gemeindevertretung der Gemeinde Ostseebad Heringsdorf hat in ihrer Sitzung am 25.09.2025 den Beschluss zur Aufstellung und Erlass einer Veränderungssperre zum Bebauungsplan Nr. 74 „2. Änderung des Bebauungsplanes Nr. 2 Heimstraße“ der Gemeinde Ostseebad Heringsdorf gefasst.

Der Geltungsbereich der Veränderungssperre ist in der beigefügten Übersicht dargestellt.

Jedermann kann die Satzung über die Veränderungssperre zum Bebauungsplan Nr. 74 „2. Änderung des Bebauungsplanes Nr. 2 Heimstraße“ der Gemeinde Ostseebad Heringsdorf im Rathaus der Gemeinde Ostseebad Heringsdorf im Amt für Bau und Gemeindeentwicklung in der Kurparkstraße 4 in 17419 Seebad Ahlbeck während der Sprechzeiten einsehen und über deren Inhalt Auskunft erhalten.

Die Bekanntmachung der Satzung über die Veränderungssperre zum Bebauungsplan Nr. 74 „2. Änderung des Bebauungsplanes Nr. 2 Heimstraße“ der Gemeinde Ostseebad Heringsdorf und die Satzung der Veränderungssperre zum Bebauungsplan Nr. 74 „2. Änderung des Bebauungsplanes Nr. 2 Heimstraße“ der Gemeinde Ostseebad Heringsdorf ist im Internet auf der Homepage der Gemeinde Ostseebad Heringsdorf unter https://www.gemeinde-ostseebad-heringsdorf.de/aktuelles/Bekanntmachungen-Ausschreibungen/ und im amtlichen Mitteilungsblatt „Kaiserbäderbote„ veröffentlicht.

Ein Verstoß gegen die im § 5 Absatz 5 der Kommunalverfassung Mecklenburg-Vorpommern (KV M-V) enthaltenen oder aufgrund dieses Gesetzes erlassenen Verfahrens- und Formvorschriften kann nach Ablauf eines Jahres seit der öffentlichen Bekanntmachung nicht mehr geltend gemacht werden.

Dieser Beschluss wird hiermit ortsüblich öffentlich bekannt gemacht.