Titel Logo
KAISERBÄDER-BOTE
Ausgabe 10/2025
Amtliche Bekanntmachungen
Zurück zur vorigen Seite
Zurück zur ersten Seite der aktuellen Ausgabe

Satzung über eine Veränderungssperre zum Bebauungsplan Nr. 74

„2. Änderung des Bebauungsplanes Nr. 2 Heimstraße“ der Gemeinde Ostseebad Heringsdorf

Die Gemeindevertretung der Gemeinde Ostseebad Heringsdorf hat aufgrund von § 5 Abs. 1 der Kommunalverfassung für das Land Mecklenburg-Vorpommern, in der Fassung der Bekanntmachung vom 16. Mai 2024 (GVOBl. M-V S. 270), zuletzt geändert durch Artikel 4 des Gesetzes vom 18. März 2025 (GVOBl. M-V S. 130, 136) und aufgrund der §§ 14 und 16 des Baugesetzbuches (BauGB) in der Fassung vom 03.11.2017 (BGBL. I S. 3634), das zuletzt geändert durch Artikel 5 des Gesetzes vom 12. August 2025 (BGBl. 2025 I Nr. 189) in ihrer Sitzung am 25.09.2025 folgende Satzung beschlossen

§ 1

Zu sichernde Planung

Die Gemeindevertretung der Gemeinde Ostseebad Heringsdorf hat am 25.09.2025 beschlossen, den Bebauungsplan Nr. 74 „2. Änderung des Bebauungsplanes Nr. 2 Heimstraße“ der Gemeinde Ostseebad Heringsdorf aufzustellen.

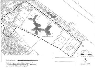
Der Bebauungsplan Nr. 74 „2. Änderung des Bebauungsplanes Nr. 2 Heimstraße“ der Gemeinde Ostseebad Heringsdorf umfasst den Geltungsbereich des rechtsgültigen Bebauungsplanes Nr. 2 „Heimstraße“ der Gemeinde Ostseeheilbad Seebad Ahlbeck und ist im beigefügten Übersichtsplan dargestellt. Zur Sicherung der Planung wird für das in § 2 bezeichnete Gebiet eine Veränderungssperre erlassen.

Ziel des Bebauungsplanes ist es, das Ferienwohnen in den nach § 4 Baunutzungsverordnung (BauNVO) „allgemeinen Wohngebieten“ im Geltungsbereich des Bebauungsplanes zu regeln.

Im rechtskräftigen Bebauungsplanes Nr. 2 „Heimstraße“ der Gemeinde Ostseeheilbad Ahlbeck wurde in den „allgemeinen Wohngebieten“ klar das Wohnen priorisiert, während Betriebe des Beherbergungsgewerbes allgemein zulässig sind. Betriebe des Beherbergungsgewerbes waren im Sinne der Begründung des Bebauungsplanes Nr. 2 „Heimstraße“ der Gemeinde Ostseeheilbad Ahlbeck als untergeordnete Folgenutzung für den Kurbetrieb vorgesehen. Dabei handelte es sich bspw. um kleine Pensionen und nach damaligem Verständnis um kleine Einliegerwohnungen, die dem Wohnen klar

untergeordnet sind. Nach Novellierung der Baunutzungsverordnung (BauNVO) ist das Ferienwohnen entweder den „nicht störenden Gewerbebetrieben“ oder den „Betrieben des Beherbergungsgewerbes“ zuzuordnen.

Aufgrund dieser Novellierung ergibt sich ein grundsätzlicher Regelungs- und Klarstellungsbedarf bezüglich der zulässigen Nutzungsarten und insbesondere des Ferienwohnens in den „allgemeinen Wohngebieten“ des Bebauungsplanes Nr. 74 „2. Änderung des Bebauungsplanes Nr. 2 Heimstraße“ der Gemeinde Ostseebad Heringsdorf. Im Bebauungsplan sollen die erforderlichen Festsetzungen getroffen werden.

Zur Sicherung der Planungsziele erfolgt die Aufstellung der Veränderungssperre.

§ 2

Räumlicher Geltungsbereich

Der Geltungsbereich des Bebauungsplanes Nr. 74 „2. Änderung des Bebauungsplanes Nr. 2 Heimstraße“ der Gemeinde Ostseebad Heringsdorf ist dem beigefügten Übersichtsplan zu entnehmen.

§ 3

Rechtswirkungen der Veränderungssperre

(1.)

Gemäß § 14 (1) des Baugesetzbuches (BauGB) dürfen in dem von der Veränderungssperre betroffenem Gebiet,

a.

Vorhaben im Sinne des § 29 BauGB nicht durchgeführt oder bauliche Anlagen nicht beseitigt werden;

b.

Erhebliche oder wesentliche wertsteigernde Veränderungen von Grundstücken und baulichen Anlagen, deren Veränderungen nicht genehmigungs-, zustimmungs- oder anzeigepflichtig sind, nicht vorgenommen werden.

(2.)

Gemäß § 14 (2) BauGB kann von der Veränderungssperre eine Ausnahme zugelassen werden, wenn überwiegende öffentliche Belange nicht entgegenstehen. Die Entscheidung über Ausnahmen trifft die Baugenehmigungsbehörde im Einvernehmen mit der Gemeinde.

(3.)

Gemäß § 14 (3) BauGB werden Vorhaben, die vor dem Inkrafttreten der Veränderungssperre baurechtlich genehmigt worden sind, Vorhaben, von denen die Gemeinde nach Maßgabe des Bauordnungsrechts Kenntnis erlangt hat und mit deren Ausführung vor dem Inkrafttreten der Veränderungssperre hätte begonnen werden dürfen, sowie Unterhaltungsarbeiten und die Fortführung einer bisher ausgeübten Nutzung von der Veränderungssperre nicht berührt.

§ 4

Inkrafttreten und Außerkrafttreten der Veränderungssperre

(1.)

Die Veränderungssperre tritt am Tag nach der Bekanntmachung in Kraft. Gemäß § 17 BauGB tritt nach Ablauf von zwei Jahren außer Kraft. Die Gemeinde kann die Frist um ein Jahr verlängern. Wenn besondere Umstände es erfordern, kann die Gemeinde die Frist bis zu einem weiteren Jahr verlängern.

(2.)

Die Bürgermeisterin wird beauftragt die Satzung auszufertigen.

(3.)

Die Satzung über die Veränderungssperre ist gemäß § 16 Abs.2 BauGB ortsüblich öffentlich bekannt zu machen.