Titel Logo
KAISERBÄDER-BOTE
Ausgabe 10/2025
Amtliche Bekanntmachungen
Zurück zur vorigen Seite
Zurück zur ersten Seite der aktuellen Ausgabe

Bekanntmachung Aufstellungsbeschluss 28.08.2025


Gemeinde Ostseebad Heringsdorf

Die Bürgermeisterin

Kurparkstraße 4

17419 Seebad Ahlbeck

Öffentliche Bekanntmachung der Gemeinde Ostseebad Heringsdorf über den Beschluss zur Aufstellung des Bebauungsplanes Nr. 70

„2. Änderung des Bebauungsplanes Nr. 7 Am Zirowberg im Ortsteil Ahlbeck“ der Gemeinde Ostseebad Heringsdorf

Die Gemeindevertretung der Gemeinde Ostseebad Heringsdorf hat in ihrer Sitzung am 23.01.2025 die Aufstellung des Bebauungsplanes Nr. 70 „2. Änderung des Bebauungsplanes Nr. 7 Am Zirowberg im Ortsteil Ahlbeck“ der Gemeinde Ostseebad Heringsdorf beschlossen. Mit der Aufstellung des Bebauungsplanes Nr. 70 „2. Änderung des Bebauungsplanes Nr. 7 Am Zirowberg im Ortsteil Ahlbeck“ der Gemeinde Ostseebad Heringsdorf sollen die planungsrechtlichen Voraussetzungen für die Erweiterung der Verkaufsflächen des Verbrauchermarktes sowie eine Optimierung der Anlieferung mit verbesserter Stellplatzsituation geschaffen werden.

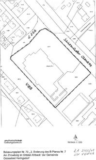
Der Geltungsbereich des Bebauungsplanes Nr. 70 „2. Änderung des Bebauungsplanes Nr. 7 Am Zirowberg im Ortsteil Ahlbeck“ der Gemeinde Ostseebad Heringsdorf ist in der beigefügten Übersicht dargestellt.

Das Bebauungsplanverfahren wird im vereinfachten Verfahren nach § 13 Baugesetzbuch (BauGB) durchgeführt. Gemäß § 13 Abs. 3 BauGB wird im vereinfachten Verfahren von der Umweltprüfung nach § 2 Abs. 4 BauGB, von dem Umweltbericht nach § 2a BauGB, von der Angabe nach § 3 Abs. 2 Satz 2 BauGB, welche Arten umweltbezogener Informationen verfügbar sind, sowie von der zusammenfassenden Erklärung nach § 10a Abs. 1 BauGB abgesehen, § 4c BauGB (Überwachung) ist nicht anzuwenden. Gemäß § 13 Abs. 2 Satz 1 BauGB wird im vereinfachten Verfahren von der frühzeitigen Unterrichtung und Erörterung nach § 3 Abs. 1 und § 4 Abs. 1 BauGB abgesehen.

Dieser Beschluss wird hiermit ortsüblich bekannt gemacht.