Titel Logo
KAISERBÄDER-BOTE
Ausgabe 2/2025
Amtliche Bekanntmachungen
Zurück zur vorigen Seite
Zurück zur ersten Seite der aktuellen Ausgabe

Bekanntmachung Aufstellungsbeschluss


Gemeinde Ostseebad Heringsdorf

Die Bürgermeisterin

Kurparkstraße 4

17419 Seebad Ahlbeck

Bekanntmachung der Gemeinde Ostseebad Heringsdorf

über den Beschluss zur Aufstellung des Bebauungsplanes Nr. 71 „Zentrum in Seebad Heringsdorf“ der Gemeinde Ostseebad Heringsdorf sowie zur Aufhebung des Aufstellungsbeschlusses zum B-Plan Nr. 54 „Ortsmitte am Platz des Friedens in Seebad Heringsdorf“ der Gemeinde Ostseebad Heringsdorf

Die Gemeindevertretung der Gemeinde Ostseebad Heringsdorf hat in ihrer Sitzung am 23.01.2025 die Aufstellung des Bebauungsplanes Nr. 71 „Zentrum in Seebad Heringsdorf“ der Gemeinde Ostseebad Heringsdorf beschlossen.

Ziel des Bebauungsplanes ist die Schaffung von bauplanungsrechtlichen Voraussetzungen für die Entwicklung eines Sonstigen Sondergebietes Fremdenverkehr, Einzelhandel und Wohnen. Im Weiteren ist beabsichtigt, ergänzende Nutzungen, wie Gastronomie, Anlagen für soziale und gesundheitliche Zwecke zuzulassen. Ergänzend zu der baulichen Entwicklung sollen auch die angrenzenden öffentlichen Verkehrs- und Grünflächen qualifiziert werden.

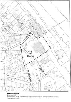
Der Geltungsbereich des Bebauungsplanes Nr. 71 „Zentrum in Seebad Heringsdorf der Gemeinde Ostseebad Heringsdorf ist in der beigefügten Übersicht dargestellt.

Die Gemeindevertretung der Gemeinde Ostseebad Heringsdorf hat in ihrer Sitzung am 23.01.2025 gleichzeitig die Aufhebung des Aufstellungsbeschlusses der Gemeindevertretung vom 30.10.2013 sowie die Einstellung des Verfahrens zum B-Plan Nr. 54 „Ortsmitte am Platz des Friedens in Seebad Heringsdorf“ der Gemeinde Ostseebad Heringsdorf beschlossen. Der Geltungsbereich des B-Planes Nr. 54 „Ortsmitte am Platz des Friedens in Seebad Heringsdorf“ der Gemeinde Ostseebad Heringsdorf ist in der beigefügten Übersicht dargestellt.

Dieser Beschluss wird hiermit ortsüblich bekannt gemacht.

Zusätzlich ist die Bekanntmachung des Beschlusses zur Aufstellung des Bebauungsplanes Nr. 71 „Zentrum in Seebad Heringsdorf“ der Gemeinde Ostseebad Heringsdorf sowie zur Aufhebung des Aufstellungsbeschlusses zum B-Plan Nr. 54 „Ortsmitte am Platz des Friedens in Seebad Heringsdorf“ der Gemeinde Ostseebad Heringsdorf im Internet über die Homepage der Gemeinde Ostseebad Heringsdorf

https.//gemeinde-ostseebad-heringsdorf.de/Aktuelles/Bekanntmachungen-

Ausschreibungen einsehbar.