Titel Logo
KAISERBÄDER-BOTE
Ausgabe 4/2023
Amtliche Bekanntmachungen
Zurück zur vorigen Seite
Zurück zur ersten Seite der aktuellen Ausgabe

Öffentliche Bekanntmachung der Gemeinde Ostseebad Heringsdorf

Gemeinde Ostseebad Heringsdorf

Die Bürgermeisterin

Kurparkstraße 4

17419 Seebad Ahlbeck

Öffentliche Bekanntmachung der Gemeinde Ostseebad Heringsdorf

über den Beschluss der öffentlichen Auslage des Vorentwurfes des Bebauungsplanes Nr. 46 „Am Kulm - für das Gebiet zwischen,Strandhotel Ostseeblick' und Strandstraße in Seebad Heringsdorf" der Gemeinde Ostseebad Heringsdorf (Stand Februar 2023) gemäß § 3 (1) Baugesetzbuch (BauGB) i.V.m. § 3 (2) des Gesetzes zur Sicherstellung ordnungsgemäßer Planungs- und Genehmigungsverfahren während der COVID-19-Pandemie (Planungssicherstellungsgesetz - PlanSiG)

Die Gemeindevertretung der Gemeinde Ostseebad Heringsdorf hat in ihrer Sitzung am 30.03.2023 beschlossen, den Vorentwurf des Bebauungsplanes Nr. 46 „Am Kulm - für das Gebiet zwischen ‚Strandhotel Ostseeblick' und Strandstraße in Seebad Heringsdorf" der Gemeinde Ostseebad Heringsdorf (Stand Februar 2023) gemäß § 3 (1) BauGB öffentlich auszulegen und die Behörden und die Träger öffentlicher Belange gemäß § 4 (1) BauGB zu beteiligen.

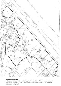
Der Geltungsbereich des Vorentwurfes des Bebauungsplanes Nr. 46 „Am Kulm - für das Gebiet zwischen,Strandhotel Ostseeblick' und Strandstraße in Seebad Heringsdorf" der Gemeinde Ostseebad Heringsdorf ist als Anlage beigefügt.

Planungsziel des Bebauungsplanes Nr. 46 „Am Kulm - für das Gebiet zwischen ‚Strandhotel Ostseeblick' und Strandstraße in Seebad Heringsdorf" der Gemeinde Ostseebad Heringsdorf ist der Erhalt der städtebaulich bedeutsamen Struktur. Mit dem Bebauungsplan soll die bauliche Entwicklung im Plangebiet gesteuert werden und eine städtebaulich verträgliche Entwicklung gesichert werden. Zielstellung ist die Sicherung der bestehenden Bebauungsdichte und der aufgelockerten Siedlungsstruktur durch Festsetzungen der überbaubaren Grundstücksfläche, die Festlegung zur Stellung der Baukörper (Lage auf dem Grundstück) und der Erhalt der prägenden Kleinteiligkeit (Ausdehnung, überbaubare Fläche), die Nutzung von Entwicklungspotenzialen in geeigneten Bereichen, die Sicherung privater Grünflächen (prägende Böschung) mit besonderen Schutzfunktionen und landschaftspflegerischen Maßnahmen sowie die Sicherung von öffentlichen Waldflächen.

Der Vorentwurf des Bebauungsplanes Nr. 46 „Am Kulm - für das Gebiet zwischen,Strandhotel Ostseeblick' und Strandstraße in Seebad Heringsdorf" der Gemeinde Ostseebad Heringsdorf (Stand Februar 2023) bestehend aus

  • Planzeichnung (Teil A), Text (Teil B), Stand Februar 2023,

  • Begründung mit Umweltbericht, Stand Februar 2023,

  • Artenschutzrechtlicher Fachbeitrag, Stand Oktober 2015 sowie

  • den nach Einschätzung der Gemeinde Ostseebad Heringsdorf wesentlichen, bereits vorliegenden umweltbezogenen Stellungnahmen

ist gemäß § 3 (1) BauGB und § 3 des Gesetzes zur Sicherstellung ordnungsgemäßer Planungs- und Genehmigungsverfahren während der COVID-Pandemie (Planungssicherstellungsgesetz - PlanSiG) in der Zeit

von Dienstag, den 02. Mai 2023 bis Freitag, den 16. Juni 2023

(jeweils einschließlich)

im Internet unter https://gemeinde-ostseebad-heringsdorf.de/Aktuelles/Bekanntmachungen sowie unter https://bplan.geodaten-mv.de/Bauleitplaene einsehbar.

Auf der Grundlage des § 3 (2) PIanSIG vom 20. Mai 2020 (BGBl. I S. 1041), zuletzt geändert durch Artikel 1 des Gesetzes vom 08. Dezember 2022 (BGBI S. 2234) erfolgt die Auslegung der Planunterlagen zusätzlich im Rathaus der Gemeinde Ostseebad Heringsdorf, Amt für Bau und Gemeindeentwicklung, Kurparkstraße 4, 17419 Seebad Ahlbeck, Zimmer 107 während folgender Zeiten

Montag, Mittwoch, Donnerstag

Dienstag

Freitag

Es wird darauf aufmerksam gemacht, dass die jeweils aktuell geltenden Regelungen in der Corona-Pandemie sowie das Hygienekonzept des Rathauses einzuhalten sind.

Die Planung wird nach § 2 ff. BauGB aufgestellt. Der Umweitbericht enthält die Darlegung der nach § 2 Abs. 4 BauGB ermittelten und bewerteten Belange des Umweltschutzes. Entsprechend § 1 Abs. 6 Nr. 7 BauGB sind bei der Aufstellung von Bebauungsplänen die Belange des Umweltschutzes, einschließlich des Naturschutzes und der Landschaftspflege zu berücksichtigen. Die Auswirkungen auf die einzelnen Schutzgüter wurden im Rahmen der in das Bebauungsplanverfahren integrierten Umweltprüfung untersucht und bewertet.

Folgende umweltbezogene Informationen sind für die Planung verfügbar:

Schutzgut Mensch

-

Aussagen zu Erholung und Lärmbelastung

Schutzgut Kultur- und sonstige Sachgüter

-

Hinweis/Aussagen zu Bau-, Boden- und Kulturdenkmäler, Kulturgüter und sonstige Sachgüter

Schutzgut Boden/Altlasten

-

Aussagen zu Eigenart sowie Natur- und Kulturgeschichte des Bodens, Versiegelung und Bodenverunreinigung

Schutzgut Wasser

-

Hinweise/Aussagen zu Grundwasser, Wasserschutzgebiete und Oberflächengewässer

Schutzgut Klima und Luft

-

Aussagen zu Klimatische Situation, Status Seeheilbad; Lufthygiene und Kaltluftbahnen

Schutzgut Pflanzen, Tiere und biologische Vielfalt

-

Schutzgebiete, Biotope, geschützte Arten, Baumbestand und biologische Vielfalt

Schutzgut Landschaftsbild / Ortsbild

-

Geschichtliche Entwicklung und prägende Elemente

Folgende nach Einschätzung der Gemeinde Ostseebad Heringsdorf wesentlichen bereits vorliegende umweltbezogene Stellungnahmen wurden bei der Erarbeitung des Vorentwurfes berücksichtigt:

-

Stellungnahme des Landkreises Vorpommern-Greifswald, als untere Naturschutzbehörde vom 29.04.2015,

-

Stellungnahmen des Staatlichen Amtes für Landwirtschaft und Umwelt Vorpommern vom 05.05.2015 und 10.06.2015 und

-

Stellungnahme des Landesamtes für Kultur und Denkmalpflege Mecklenburg-Vorpommern vom 08.06.2015

Während der Auslegungsfrist kann jedermann Auskunft über Inhalte des Vorentwurfes des Bebauungsplanes Nr. 46 „Am Kulm - für das Gebiet zwischen,Strandhotel Ostseeblick' und Strandstraße in Seebad Heringsdorf` der Gemeinde Ostseebad Heringsdorf der Gemeinde Ostseebad Heringsdorf erhalten.

Während der Auslegungsfrist können Stellungnahmen zum Vorentwurf des Bebauungsplanes Nr. 46 „Am Kulm - für das Gebiet zwischen,Strandhotel Ostseeblick' und Strandstraße in Seebad Heringsdorf" der Gemeinde Ostseebad Heringsdorf bei der Gemeinde Ostseebad Heringsdorf, Kurparkstraße 4 in 17419 Seebad Ahlbeck abgegeben werden.

Es wird darauf hingewiesen, dass nicht fristgerecht abgegebene Stellungnahmen gemäß § 3 (2) BauGB bei der Beschlussfassung über den Bebauungsplan Nr. 46 „Am Kulm - für das Gebiet zwischen,Strandhotel Ostseeblick' und Strandstraße in Seebad Heringsdorf" der Gemeinde Ostseebad Heringsdorf unberücksichtigt bleiben können.

Die der Planung zugrunde liegenden Vorschriften (Gesetze, Verordnungen, Erlasse und DIN-Vorschriften) können in der Gemeinde Ostseebad Heringsdorf, Amt für Bau und Gemeindeentwicklung, Kurparkstraße 4 in 17419 Seebad Ahlbeck eingesehen werden.

Auf die Datenschutzerklärung der Gemeinde Ostseebad Heringsdorf wird ausdrücklich aufmerksam gemacht - https://www.gemeinde-ostseebad-heringsdorf.de/Kurzmenü/Datenschutz/.