Titel Logo
KAISERBÄDER-BOTE
Ausgabe 8/2025
Amtliche Bekanntmachungen
Zurück zur vorigen Seite
Zurück zur ersten Seite der aktuellen Ausgabe

Bekanntmachung der Gemeinde Ostseebad Heringsdorf über den Beschluss zur Aufstellung des Bebauungsplanes Nr. 72 „Wohngebiet südlich der Bahnlinie in Bansin Dorf“ der Gemeinde Ostseebad Heringsdorf

Gemeinde Ostseebad Heringsdorf

Die Bürgermeisterin

Kurparkstraße 4

17419 Seebad Ahlbeck

Bekanntmachung der Gemeinde Ostseebad Heringsdorf über den Beschluss zur Aufstellung des Bebauungsplanes Nr. 72 „Wohngebiet südlich der Bahnlinie in Bansin Dorf“ der Gemeinde Ostseebad Heringsdorf

Die Gemeindevertretung der Gemeinde Ostseebad Heringsdorf hat in ihrer Sitzung am 26.06.2025 den Beschluss zur Aufstellung des Bebauungsplanes Nr. 72 „Wohngebiet südlich der Bahnlinie in Bansin Dorf“ der Gemeinde Ostseebad Heringsdorf gefasst.

Zielstellung des Bebauungsplanes ist die Schaffung der bauplanungsrechtlichen Voraussetzungen zur Herstellung von Dauerwohnraum auf der Fläche des ehemaligen Baustoffhandels. Dabei beabsichtigt die Vorhabenträgerin ein allgemeines Wohngebiet mit ca. 20-25 Wohneinheiten im Rahmen einer Einzel- bzw. Reihenausbebauung zu schaffen.

Die Erschießung des Wohngebietes soll über die in Privatbesitz befindliche und nicht öffentliche Zufahrtstraße des ehemaligen Baustoffhandels erschlossen werden.

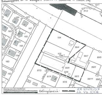
Der Geltungsbereich des Bebauungsplanes Nr. 72 „Wohngebiet südlich der Bahnlinie in Bansin Dorf“ der Gemeinde Ostseebad Heringsdorf ist in der beigefügten Übersicht dargestellt.

Im rechtskräftigen Flächennutzungsplan der Gemeinde Ostseebad Heringsdorf ist der Bereich mit der Zweckbestimmung „Baumarkt“ festgesetzt. Im Rahmen des gegenwärtigen Änderungsverfahrens des Flächennutzungsplanes soll eine entsprechende Anpassung der Zweckbindung an die Planungsziele des Bebauungsplanes Nr. 72 „Wohngebiet südlich der Bahnlinie in Bansin Dorf“ der Gemeinde Ostseebad Heringsdorf erfolgen.

Die Gemeinde Ostseebad Heringsdorf wird die für die Erarbeitung des Bebauungsplanes erforderlichen Planungsbüros und ggf. Gutachter selbst beauftragen und die entstehenden Kosten mittels einer Kostentragungsvereinbarung der Vorhabenträgerin auferlegen.

Dieser Beschluss wird hiermit ortsüblich bekannt gemacht.

Zusätzlich ist die Bekanntmachung des Beschlusses zur Aufstellung des Bebauungsplanes Nr. 72 „Wohngebiet südlich der Bahnlinie in Bansin Dorf“ der Gemeinde Ostseebad Heringsdorf im Internet über die Homepage der Gemeinde Ostseebad Heringsdorf unter https://www.gemeinde-ostseebad-heringsdorf.de/Aktuelles/Bekanntmachungen-Ausschreibungen/ einzusehen.