Titel Logo
Jarmener Informationsblatt
Ausgabe 1/2023
Amtliche Bekanntmachungen
Zurück zur vorigen Seite
Zurück zur ersten Seite der aktuellen Ausgabe

Bebauungsplan Nr. 10 „Wohnen in Alt Plestlin West“ der Gemeinde Bentzin

Gemeinde Bentzin

Die Bürgermeisterin

- Amtliche Bekanntmachung -

Bebauungsplan Nr. 10 „Wohnen in Alt Plestlin West“ der Gemeinde Bentzin

hier: öffentliche Auslegung des Entwurfs

Die Gemeindevertretung der Gemeinde Bentzin hat in der Sitzung am 19.12.2022 beschlossen, dass das Verfahren nicht als vorhabenbezogener Bebauungsplan gemäß § 12 BauGB, sondern als Bebauungsplan gemäß § 10 BauGB fortgeführt wird. Der Entwurf des Bebauungsplanes Nr. 10 „Wohnen in Alt Plestlin West“ sowie die Begründung wurden gebilligt und nach § 3 Abs. 2 sowie § 4 Abs. 2 BauGB zur Beteiligung der Öffentlichkeit und der Behörden und sonstigen Trägern öffentlicher Belange bestimmt.

Gemäß § 3 Abs. 2 BauGB erfolgt die Beteiligung der Öffentlichkeit mittels öffentlicher Auslegung.

Der Entwurf des Bebauungsplanes Nr. 10 „Wohnen in Alt Plestlin West“ sowie die Begründung liegen in der Zeit

vom 30. Januar 2023 bis 16. März 2023

im Amt Jarmen-Tutow, Bauamt, Lindenstraße 13, 17216 Jarmen, zu folgenden Zeiten

montags

von 8:00 - 12:00 Uhr und 13:00 - 14:00 Uhr,

dienstags

von 8:00 - 12:00 Uhr und 13:00 - 17:00 Uhr,

mittwochs

von 8:00 - 12:00 Uhr,

donnerstags

von 8:00 - 12:00 Uhr und 13:00 - 16:00 Uhr und

freitags

von 8:00 - 12:00 Uhr

aus.

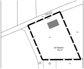
Das 0,4 ha große Gebiet umfasst das Flurstück 161 der Flur 6 Gemarkung Alt Plestlin. Das Plangebiet befindet sich im Außenbereich westlich des Ortsteils Alt Plestlin der Gemeinde Bentzin. Es wird im Norden von der Kreisstraße VG101 begrenzt, im Westen durch eine örtliche Straße, im Osten und Süden durch Ackerfläche.

Folgende umweltrelevanten Informationen sind verfügbar:

1. Umweltbericht als Bestandteil der Begründung

BESTANDSAUFNAHME

Schutzgut Mensch:

Das Plangebiet unterliegt den Immissionen der umgebenden Straße und landwirtschaftlichen Nutzungen der umliegenden Ackerflächen. Von einer derzeitigen Überschreitung der Orientierungswerte nach BImSchG wird nicht ausgegangen. Aufgrund einer dichten Umzäunung und Umpflanzung ist das Plangebiet nicht zugänglich, nicht erlebbar und erfüllt somit keine besondere Bedeutung für die Erholung.

Schutzgut Flora:

Die Garten- und Grünflächenbereiche wurde auch nach Nutzungsaufgabe weiterhin regelmäßig gemäht, so dass die Vegetation von anspruchslosen Ruderalarten wie Spitzwegerich, Wiesen-Löwenzahn und verschiedenen Süßgräsern geprägt ist. Aufgrund der Verschattungen durch die Siedlungshecke nichtheimischer Gehölze aus Fichten, die Siedlungsgebüsche nichtheimischer Arten aus gemeinem Flieder und die weiteren Einzelgehölze (Obstbäume und Koniferen) auf der Fläche, hat sich stellenweise ein dichter Moosteppich gebildet. Südlich des im Norden gelegenen ehemaligen Wohn- und Stallgebäudes wachsen Weinreben und Fliedersträucher. Eine mächtige Walnuss (60 cm) ist gem. § 18 NatSchAG M-V gesetzlich geschützt.

Schutzgut Fauna:

Alle Gehölze sind potenzielle Bruthabitate. Im Dachbereich des Gebäudes wurden seit vielen Jahren ungenutzte Rauchschwalbenester festgestellt, deren Schutz als Fortpflanzungsstätte nicht mehr besteht. Zum Zeitpunkt der Aufnahme konnten keine Rauchschwalben festgestellt werden.

Eine einzelne Fichte ist etwa 40 cm dick, die übrigen Fichten der Hecke und der übrigen Koniferen wie Wacholder und Thuja kommen auf Stammstärken von 20 cm bis 30 cm. Die Obst-bäume weisen Stammdurchmesser von 15 cm bis 45 cm keine Höhlen jedoch vereinzelt Stammrisse, Rindenspalten und Astabbrüche auf. Diese Strukturen können Fledermäusen im Sommer einzelne Quartiere bieten sind jedoch als Winterquartiere und Wochenstuben nicht geeignet. Das unterkellerte Wohn-, Stallhaus weist innen und außen geeignete Sommerquartiersmöglichkeiten auf. Die Bäume und oberirdischen Geschosse einschließlich des Dachbereiches sind aufgrund der Witterungsunbeständigkeit nicht als Winterquartier geeignet. Das Vorkommen von Wochenstuben für Fledermäuse konnte im Ergebnis einer einmaligen Begehung mit Batlogger im Juni 2022 ausgeschlossen werden. Der abgedeckte nicht zugängliche Keller bietet Einflugmöglichkeiten und Winterquartierspotenzial.

Schutzgut Wasser:

Das Plangebiet liegt nicht in einem Trinkwasserschutzgebiet und beinhaltet keine Oberflächengewässer. Das Grundwasser steht bei mehr als 10 m unter Flur an und ist aufgrund der Mächtigkeit bindiger Böden vor eindringenden Schadstoffen vermutlich geschützt.

Schutzgut Boden:

Der natürliche Baugrund des Untersuchungsgebietes setzt sich aus sickerwasserbestimmten Lehmen/Tieflehmen zusammen. Das Plangebiet ist aufgrund menschlicher Nutzung vorbelastet.

Schutzgut Klima/Luft:

Die kleinklimatischen Bedingungen im Plangebiet sind durch den Gehölz-bestand geprägt. Dieser übt Sauerstoffproduktions-, Windschutz- und Staubbindungsfunktionen aus. Die Luftreinheit ist aufgrund der Nähe zu Straßen und Ackerflächen vermutlich ge-ringfügig eingeschränkt. Schutzgut Landschaftsbild:

Das zu etwa 5 % mit landschaftstypischer Bebauung bestandene ebene Gelände ist Teil einer ehemaligen Bauernhausanlage mit Obstgarten. Der das Plangebiet umrahmende Gehölzbestand lässt keinen freien Blick in die Landschaft zu und grenzt somit den Landschaftsraum vom Siedlungsbereich ab. Die Vorhabenfläche befindet sich in keinem Kernbereich landschaftlicher Freiräume.

Natura 2000-Gebiete

Die nächstgelegenen Natura-Gebiete befinden sich 170 m nördlich des Plangebiets. Es wurden FFH–Vorprüfungen zum SPA DE 2147-401 „Peenetallandschaft“ und GGB DE 2045-302 „Peenetal mit Zuflüssen, Kleingewässerlandschaft am Kummerower See“ erstellt.

PROGNOSE

Fläche

In einem unbewohnten und hauptsächlich ungenutzten Außenbereichsstandort werden bestehende Nutzungen geordnet und zukünftig zulässige Funktionen geplant, um weitere Bebauungen zu regeln. Zusätzliche Erschließungsstraßen sind nicht geplant.

Flora

Es werden umfängliche zusätzliche Versiegelungen von Grünflächen zugelassen. Drei Linden entlang der Zufahrt VG101, ein Großteil der umlaufenden Hecken sowie eine Walnuss wer-den zur Erhaltung festgesetzt. Die übrigen Einzelbäume bestehend aus Obstbäumen und Koniferen können ebenso wie die Sträucher im Plangebiet beseitigt werden.

Fauna

Der Abriss des Gebäudes verursacht den Verlust potenzieller Habitate für gebäudebewohnende Arten. Durch die Fällung der Obstbäume gehen potenzielle Bruthabitate baumbewohnender Arten sowie potenzielle Sommer-/Einzelquartiere von Fledermäusen verloren. Weitere faunistische Funktionen sind gemäß Artenschutzfachbeitrag nicht betroffen. Artenschutzrechtliche Verbotstatbestände nach Abs.1 § 44 BNatSchG werden durch die Planung, bei Umsetzung der festgesetzten naturschutzrechtlichen Maßnahmen, nicht berührt.

Boden/Wasser

Im Plangebiet werden zusätzliche Versiegelungen zugelassen. Dieser Eingriff muss kompensiert werden. Das auf den Dachflächen und sonstigen versiegelten sowie unversiegelten Flächen des Grundstücks anfallende Niederschlagswasser ist auf dem jeweiligen Grundstück, ggf. unter Verwendung technischer Hilfsmittel, zurückzuhalten, zu verbrauchen oder zu versickern.

Biologische Vielfalt

Die biologische Vielfalt wird sich verringern, da das Gebäude und die Obstbäume mit potenzieller Habitatfunktion beseitigt werden. Weiterhin wird das Gelände beunruhigt und zusätzlich versiegelt.

2. Fachgutachten, die dem Umweltbericht zugrunde liegen
  • FFH-Vorprüfungen für SPA-Gebiet DE 2147-401 „Peenetallandschaft“ und GGB DE 2045-302 „Peenetal mit Zuflüssen, Kleingewässerlandschaft am Kummerower See“

Die außerhalb der Natura-Gebiete liegende Vorhabenfläche ist durch umgebende Nutzungen beunruhigt. Es besteht keine Habitatfunktion für die Zielarten der Natura-Gebiete. Lebensraumtypen des GGB sind nicht vorhanden.

Das Vorhaben verursacht betriebs- und anlagebedingt keine erhöhten und baubedingt geringe, temporäre Immissionen. Daher erreichen die Wirkungen des Vorhabens die Funktionen der Natura-Gebiete außerhalb der Vorhabenfläche nicht.

  • Artenschutzfachbeitrag

Es wurden Potentialanalysen zur Avifauna, Fledermäusen und Reptilien/Amphibien durchgeführt. Gegenstand der Artenschutzrechtlichen Prüfung ist die durch Aufnahme in den Anhang IV der FFH - Richtlinie streng geschützten Pflanzen und Tierarten sowie die europäischen Vogelarten. Es wurden Vermeidungs-, Kompensations- und CEF-Maßnahmen festgesetzt.

3. Stellungnahmen der Behörden
  • Nachtrag zur Gesamtstellungnahme des Landkreises Vorpommern-Greifswald vom 02.06.2022

Die vorgelegten Unterlagen zum Umweltbericht werden bestätigt.

Die FFH-Vorprüfungen werden bestätigt.

Es ist ein Artenschutzfachbeitrag zu erstellen.

Die Ausweisung und Bilanzierung der Kompensationsmaßnahmen ist zu ändern.

Zusätzlich ist der Inhalt dieser Bekanntmachung sowie die auszulegenden Unterlagen im Internet unter der Adresse www.amt-jarmen-tutow.de eingestellt. Eine Einsichtnahme ist ebenso über das Bau- und Planungsportal Mecklenburg-Vorpommern (https://bplan.geodaten-mv.de/bauleitplaene) möglich.

Während dieser Auslegungsfrist können von Jedermann Anregungen bzw. Stellungnahmen zum Entwurf des vorhabenbezogenen Bebauungsplanes schriftlich oder während der Dienststunden zur Niederschrift vorgebracht werden. Es wird darauf hingewiesen, dass nicht fristgerecht abgegebene Stellungnahmen bei der Beschlussfassung über den Bebauungsplan unberücksichtigt bleiben, wenn die Gemeinde den Inhalt nicht kannte und nicht hätte kennen müssen und deren Inhalt für die Rechtmäßigkeit des B-Planes nicht von Bedeutung ist.

Die Verarbeitung personenbezogener Daten erfolgt auf der Grundlage der Artikel 6 Absatz 1 Buchstabe e der Datenschutzgrundverordnung (DSGVO).

Jarmen, den 10.01.2023