Titel Logo
Der Usedomer Norden
Ausgabe 5/2023
Amtliche Bekanntmachungen
Zurück zur vorigen Seite
Zurück zur ersten Seite der aktuellen Ausgabe
-

Bekanntmachung der Gemeinde Ostseebad Trassenheide

Beschluss Nr. GVTh/301/2022 vom 07.12.2022 über die Aufstellung des Bebauungsplanes Nr. 19 für das „Wohngebiet südlich des Mühlenweges“ nach § 13b BauGB

1. Geltungsbereich

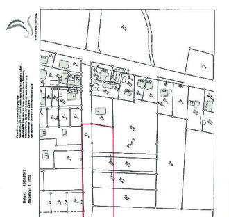
Für die in beigefügtem Katasterauszug gekennzeichneten Teilflächen der Flurstücke 51/2, 56/16, 56/19 bis 56/23 und 55/21 der Flur 3 in der Gemarkung Trassenheide mit einer Fläche von rd. 0,9 ha hat die Gemeindevertretung des Ostseebades Trassenheide in der öffentlichen Sitzung am 07.12.2022 die Aufstellung des Bebauungsplanes Nr. 19 für das „Wohngebiet südlich des Mühlenweges“ nach § 13b BauGB beschlossen.

Das Plangebiet befindet sich am nördlichen Ortsrand.

Es wird im Nordwesten durch den Mühlenweg und sich anschließende Wohn- bebauung, im Südwesten durch das Ferienhausgebiet „Alte Mühle“ (B- Plan Nr. 6), im Südosten durch Wiesen und Ackerland und im Nordwesten durch Wohn- und Ferienhausbebauung begrenzt.

Die Grundstücke sind unbebaut und werden derzeit überwiegend als Pferdekoppel genutzt.

2. Anlass, Ziel und Zweck der Planaufstellung

Die Eigentümer der o.a. Flurstücke beabsichtigen die Grundstücksflächen als Reines Wohngebiet gemäß § 3 BauNVO für den individuellen Wohnungsbau zu entwickeln.

Vorgesehen ist eine einreihige Bebauung entlang des Mühlenweges mit Einzelhäusern mit maximal zwei Wohneinheiten je Wohngebäude.

Die Gesamtbreite der Grundstücke ermöglicht die Bildung von bis zu 5 Grundstücken. Im südwestlichen Teil des Plangebietes wird eine Freihaltetrasse für die Erschließung der rückwärtigen Grundstücke eingeordnet.

Im Bereich des Plangebietes (Teilfläche aus Flurstück 51/2) wird der Mühlenweg einbezogen, da die Ausweisung öffentlicher Verkehrsflächen zu den Mindestanforderungen an einen qualifizierten Bebauungsplan zählt und die Grundstücke direkt über den Mühlenweg erschlossen werden sollen.

Das Plangebiet befindet sind nicht im Geltungsbereich einer Innenbereichssatzung oder eines Bebauungsplanes. Das Grundstück ist daher dem Außenbereich zuzuordnen.

Zur Schaffung der bauplanungsrechtlichen Voraussetzungen für die geplante Neubebauung der Grundstücke ist daher zunächst die Aufstellung einer Satzung erforderlich.

Die Gemeinde hat als geeignetes Planungsinstrument für die Gebietsentwicklung die Aufstellung eines Bebauungsplanes nach § 13b BauGB gewählt.

Mit Aufstellung der Satzung wird dem Grundsatz gemäß § 1 Abs. 3 BauGB gefolgt, wonach die Gemeinden Bauleitpläne aufzustellen haben, sobald und soweit es für die städtebauliche Entwicklung und Ordnung erforderlich ist.

Die Grundstückseigentümer haben bei der Gemeinde Ostseebad Trassenheide einen entsprechenden Antrag auf Einleitung eines Bebauungsplanverfahrens gestellt.

Die Gemeinde Ostseebad Trassenheide befürwortet den Antrag, da mit Umsetzung der Planung dem gestiegenen Bedarf an nachgefragten Baugrundstücken für den individuellen Wohnungsbau entsprochen wird.

Das Plangebiet ist unter städtebaulichen Gesichtspunkten für die Entwicklung eines kleinen Wohngebietes geeignet. Es handelt sich um eine Fläche, die zur Schließung einer größeren Baulücke und damit zur Verfestigung der Bebauungsstruktur am Mühlenweg beiträgt. Das Plangebiet befindet sich an einem verkehrs- und medienseitig erschlossenen Bereich.

Gemäß § 8 Abs. 2 BauGB sind Bebauungspläne aus dem Flächen-nutzungsplan zu entwickeln.

Die Gemeinde Ostseebad Trassenheide verfügt über einen wirksamen Flächennutzungsplan i.d.F. 1., 3., 4. und 5. Änderung.

Im wirksamen Flächennutzungsplan ist das Bebauungsplangebiet Nr. 19 als Fläche für die Landwirtschaft gemäß § 5 Abs. 2 Nr. 9a) BauGB ausgewiesen, so dass sich die Zielsetzungen des Bebauungsplanes Nr. 19 mit der gesamtgemeindlichen Planung noch nicht in Übereinstimmung befindet.

Da der Bebauungsplan Nr. 19 nach § 13b BauGB aufgestellt werden soll, darf der Flächennutzungsplan der Gemeinde Ostseebad Trassenheide gemäß § 13a Abs. 2 Nr. 2 BauGB im Wege der Berichtigung angepasst werden.

3. Planverfahren

Mit der BauGB-/BauNVO- Novelle 2017 wurde der § 13b BauGB - Einbeziehung von Außenbereichsflächen in das beschleunigte Verfahren - in das Baugesetzbuch aufgenommen.

Gemäß dem Baugesetzbuch in der Fassung der Bekanntmachung vom 03.11.2017 (BGBl. I S. 3634), das zuletzt durch Artikel 2 des Gesetzes vom 26.04.2022 (BGBl. I S. 674) geändert worden ist, wurde u.a. eine befristete Wiedereinführung/Verlängerung der Regelungen des § 13b BauGB - Einbeziehung von Außenbereichsflächen in das beschleunigte Verfahren geregelt. „Bis zum Ablauf des 31.12.2022 gilt § 13a BauGB entsprechend für Bebauungspläne mit einer Grundfläche im Sinne des § 13a Absatz 2 Satz 2 BauGB von weniger als 10.000 Quadratmetern, durch die die Zulässigkeit von Wohnnutzungen auf Flächen begründet wird, die sich an im Zusammenhang bebaute Ortsteile anschließen.“

Das Verfahren zur Aufstellung eines Bebauungsplans nach § 13b BauGB kann somit nur bis zum Ablauf des 31.12.2022 förmlich eingeleitet werden. Der Satzungsbeschluss nach § 10 Absatz 1 BauGB ist bis zum Ablauf des 31.12.2024 zu fassen.

Auf Grundlage der aktuellen Gesetzgebung soll der Bebauungsplan Nr. 19 nach § 13b BauGB - Einbeziehung von Außenbereichsflächen in das beschleunigte Verfahren - durchgeführt werden.

Zulässigkeitsvoraussetzungen

Die Voraussetzungen für die Durchführung eines beschleunigten Verfahrens gemäß § 13b BauGB nach den Vorgaben gemäß § 13a Abs. 1 BauGB i. V. m. § 13b BauGB liegen vor:

-

Das Vorhaben ordnet sich in die gemäß § 13b BauGB vorgegebenen Fristen ein. Der Aufstellungsbeschluss zum Bebauungsplan Nr. 19 erfolgte mit Beschlussfassung vom 07.12.2022 und damit vor dem 31.12.2022. Das Verfahren soll im Jahr 2023, und damit zeitlich weit vor dem im § 13b BauGB vorgegebenen spätesten Termin des Satzungsbeschlusses, abgeschlossen werden.

-

Für Bebauungspläne nach § 13b BauGB wird abweichend von § 13a Absatz 2 Satz 2 BauGB eine Obergrenze der Grundfläche von weniger als 10.000 Quadratmetern zugelassen.

Der Geltungsbereich des Bebauungsplanes umfasst nur eine Gesamtfläche von rd. 0,9 ha.

-

Durch den Bebauungsplan Nr. 19 wird ausschließlich die Zulässigkeit von Dauerwohnnutzungen begründet. Dies wird im Text (Teil B) durch den Ausschluss der Nutzungen gemäß § 3 Abs. 3 Nr. 1 und 2 BauNVO sichergestellt.

-

Nach den Vorschriften des Gesetzes über die Umweltverträglich-keitsprüfung besteht für die geplante Entwicklung eines Reinen Wohngebietes mit der Gesamtkapazität von maximal 10 Wohneinheiten keine Pflicht zur Durchführung einer Umweltverträglichkeitsprüfung.

Im Wirkbereich des Plangebietes befinden sich keine EU- Vogelschutzgebiete und FFH- Gebiete als Bestandteile der Schutzgebietskulissen eines Natura-2000-Gebietes.

Somit wird nachgewiesen, dass durch die Umsetzung des Planvorhabens mit keinen erheblichen Umweltauswirkungen zu rechnen ist und Anhaltspunkte für eine Beeinträchtigung der in § 1 Abs. 6 und 7 Buchstabe b) des BauGB genannten Schutzgüter ausgeschlossen werden können.

Die Notwendigkeit zur Durchführung einer Umweltverträglichkeitsprüfung nach den §§ 3b bis 3f UVPG besteht daher nicht.

Die Voraussetzungen zur Durchführung eines beschleunigten Verfahrens nach § 13b BauGB sind gegeben.

4. Belange des Natur- und Umweltschutzes

Entsprechend § 13 Abs. 3 Nr. 1 BauGB wird im beschleunigten Verfahren nach § 13b BauGB von der Umweltprüfung nach § 2 Abs. 4 BauGB, von dem Umweltbericht nach § 2a BauGB und von der Angabe nach § 3 Abs. 2 Satz 2 BauGB, welche Arten umweltbezogener Informationen verfügbar sind sowie von der zusammenfassenden Erklärung nach § 10a Abs. 1 BauGB abgesehen; § 4c (Überwachung) BauGB ist nicht anzuwenden.

Das Kataster des Landes weist für das Plangebiet keine gemäß § 20 NatSchAG M-V gesetzlich geschützten Biotope aus. Das Plangebiet liegt außerhalb von Vorbehalts- und Vorranggebieten Naturschutz und Trinkwassersicherung. Es berührt keine Schutzgebietskulissen eines Natura 2000- Gebietes.

Mit Anwendung des § 13b BauGB wird auch das Erfordernis des Ausgleiches für Eingriffe in Natur und Landschaft ausgesetzt.

Zur Einschätzung möglicher artenschutzrechtlicher Befindlichkeiten wird ein Artenschutzrechtlicher Fachbeitrag erstellt. Er beinhaltet die Prüfung, ob durch das Planvorhaben die artenschutzrechtlichen Verbote des § 44 BNatSchG berührt werden. Grundlage dafür sind die Ermittlung und Bestandsaufnahme der im Planbereich vorhandenen geschützten Arten (alle wildlebenden Vogelarten, Arten des Anhangs IV der FFH- Richtlinie).

5. Kostenübernahme

Alle im Zusammenhang mit der Überplanung des Gebietes entstehenden Kosten sind durch die Grundstückseigentümer zu tragen.

Hierzu schließt die Gemeinde mit den Grundstückseigentümern einen Städtebaulichen Vertrag ab.

6. Betroffenenbeteiligung

Gemäß § 13 Abs. 2 BauGB wird von der frühzeitigen Unterrichtung und Erörterung nach § 3 Abs. 1 und § 4 Abs. 1 BauGB abgesehen.

Die Öffentlichkeit wird im Rahmen der öffentlichen Auslegung gemäß § 13 Abs. 2 Nr. 2 BauGB i.V.m. § 3 Abs. 2 BauGB beteiligt.

Die von der Planung berührten Behörden und sonstigen Träger öffentlicher Belange werden gemäß § 13 Abs. 2 Nr. 3 BauGB i.V.m. § 4 Abs. 2 BauGB sowie die Nachbargemeinden gemäß § 2 Abs. 2 BauGB zur Stellungnahme aufgefordert.

7. Bekanntmachung des Beschlusses

Der Beschluss wird gemäß § 2 Abs. 1 Satz 2 BauGB ortsüblich bekanntgemacht.

Trassenheide, den 21.04.2023

Anlage
  • Übersichtsplan

Die Bekanntmachung ist auch im Internet auf der Homepage www.amtusedomnord.de veröffentlicht.