Titel Logo
Krakower Seen-Kurier
Ausgabe 4/2025
Amtliche Bekanntmachungen
Zurück zur vorigen Seite
Zurück zur ersten Seite der aktuellen Ausgabe

für die Stadt Krakow am See, Gemeinde Hoppenrade, Kuchelmiß und Dobbin-Linstow

- Flurneuordnungsbehörde -

Az.: 30a/5433.3-72-31283

Flurneuordnungsverfahren „Bellin“

Gemeinden:

Stadt Krakow am See, Zehna

Landkreis:

Rostock

Öffentliche Bekanntmachung

1. Änderung der vorläufigen Besitzregelung vom 13.01.2022 gemäß § 61a Landwirtschaftsanpassungsgesetz (LwAnpG) in der Fassung der Bekanntmachung vom 3. Juli 1991 (BGBl. I S. 1418) mit späteren Änderungen

I. Anordnung

1.

Im Flurneuordnungsverfahren „Bellin“, Landkreis Rostock wird gemäß § 61a Landwirtschaftsanpassungsgesetz (LwAnpG) in der Fassung der Bekanntmachung vom 3. Juli 1991 (BGBl. I S. 1418) mit späteren Änderungen die 1. Änderung der vorläufigen Besitzregelung mit Wirkung zum

26. März 2025, 00.00 Uhr,

mit folgender Änderung angeordnet:

1.

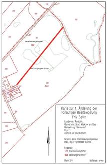
Die Besitzflurstücke 144 und 145, Flur 2, Gemarkung Bellin werden der ONR 3 zugeteilt.

2.

Das Besitzflurstück 394, Flur 3, Gemarkung Bellin wird der ONR 3 und das Besitzflurstück 306, Flur 3, Gemarkung Bellin der ONR 102 zugeteilt.

3.

Das Besitzflurstück 298, Flur 1, Gemarkung Marienhof wird der ONR 3 und das Besitzflurstück 301, Flur 1, Gemarkung Marienhof der ONR 102 zugeteilt.

4.

Das Besitzflurstück 316, Flur 3, Gemarkung Bellin wird an die ONR 111 zugeteilt.

Die betroffenen Beteiligten mit den Ord.-Nrn. 3, 102 und 111 werden hiermit in den Besitz der neuen Grundstücke (Abfindungsgrundstücke) vorläufig eingewiesen.

Die endgültigen Nachweise für Fläche und Wert der neuen bzw. geänderten Flurstücke liegen vor.

Sie können im Staatlichen Amt für Landwirtschaft und Umwelt Mittleres Mecklenburg, Dienststelle Bützow bzw. im Vermessungs- und Ingenieurbüro A. Golnik, Lise-Meitner-Ring 7, 18059 Rostock nach vorheriger Terminabsprache eingesehen werden.

II. Begründung

Mit der 1. Änderung der vorläufigen Besitzregelung wird den vorgetragenen Arrondierungswünschen der ONR 102 auf Verlegung der Wirtschaftsflächen (Besitzflurstücke 144 und 145, Flur 2, Gemarkung Bellin) auf die östliche Kreistraßenseite entsprochen. In der vorläufigen Besitzregelung vom 13.01.2022 wurden diese Besitzflurstücke noch westlich der Kreisstraße zugeteilt.

Die Ord.-Nrn. 3 und 102 einigten sich bedingungslos auf die neue Zuteilung (Verlegung der Besitzflurstücke der ONR 102 auf die östliche Kreistraßenseite mit Flächenausgleich südlich des Weges nach Steinbeck).

Mit der 1. Änderung der vorläufigen Besitzregelung wird weiterhin die Grundlage zur Bewirtschaftung des Besitzflurstücks 316, Flur 3, Gemarkung Bellin durch die ONR 111 nach Rücknahme der Klage der ONR 111 vor dem OVG Greifswald geschaffen.

Am 19.12.2024 wurde der Ord.-Nrn. 111 die neue Feldeinteilung Vor-Ort erläutert und angezeigt.

Die ONR 3 und 102 verzichteten auf eine Anzeige der neuen Feldeinteilung.

Die 1. Änderung umfasst nur Teile des Flurneuordnungsgebietes und beeinträchtigt die Wertgleichheit der Neuzuteilung der restlichen Beteiligten nicht.

Hinweis:

Die rechtlichen Wirkungen der 1. Änderung der vorläufigen Besitzregelung enden mit der Ausführung des Flurneuordnungsplanes (§ 61 FlurbG), die den Zeitpunkt bestimmt, an dem der im Flurneuordnungsplan vorgesehene neue Rechtszustand an die Stelle des bisherigen tritt.

III. Überleitungsbestimmungen

Die Nutzung des bzgl. des Eigentums geänderten Besitzflurstücks 316, Flur 3, Gemarkung Bellin erfolgt als Grünland. Es ist daher nicht notwendig, den tatsächlichen Besitz durch eine Überleitungsbestimmung zu verschieben.

Für alle weiteren, von der 1. Änderung der vorläufigen Besitzregelung betroffenen Besitzflurstücke regeln die nachstehenden Überleitungsbestimmungen die tatsächliche Überleitung in den neuen Zustand, namentlich den neuen Übergang des Besitzes und der Nutzung der neuen Grundstücke.

Diese Bestimmungen können, soweit sie nicht auf zwingenden Gesetzesbestimmungen beruhen, durch abweichende Vereinbarungen unter den Beteiligten ersetzt werden. Diese Vereinbarungen sind der Flurneuordnungsbehörde anzuzeigen. In besonderen Fällen können von Amts wegen oder auf Antrag Ausnahmen von den Überleitungsbestimmungen angeordnet, namentlich die darin festgesetzten Fristen abgeändert werden.

Unbeschadet der Widersprüche, die gegen den Flurneuordnungsplan bzw. seiner Nachträge innerhalb der Widerspruchsfristen (§ 59 Abs. 2 und 5 FlurbG) vorgebracht werden und wurden, verlieren die Beteiligten den Besitz, die Verwaltung und die Nutzung ihrer Einlagegrundstücke, sobald die darauf stehenden Früchte abgeerntet bzw. die Grundstücke geräumt sind.

Als spätester Zeitpunkt für die Aberntung oder Räumung der Grundstücke werden folgende Tage bestimmt:

für frühräumendes Getreide (Sommergetreide, Hafer, Wintergerste) 31.08.2025

für späträumendes Getreide (Weizen, Triticale, Dinkel, Roggen) 30.09.2025

für Hackfrüchte und Feldfutterbau 30.11.2025

für Mais 15.11.2025

für Wiesen und Weiden 01.01.2026

für Ölsaaten 31.08.2025

Die Aberntung bzw. Räumung der Grundstücke muss am Abend der vorgenannten Termine beendet sein, soweit keine abweichenden Vereinbarungen zwischen den Beteiligten getroffen wurden.

An dem darauffolgenden Tag kann der Empfänger der Flächen mit deren Bestellung beginnen.

Die Flurneuordnungsbehörde kann auf Antrag nach entsprechender Androhung die noch nicht abgeräumten Reste der Ernte auf Gefahr und Kosten des bisherigen Eigentümers fortschaffen lassen.

Die zeitweiligen Einschränkungen des Eigentums (Veränderungssperre gem. § 34 Flurbereinigungsgesetz) bestehen weiterhin, da der Flurneuordnungsplan noch nicht unanfechtbar ist!

1.

Das bedeutet:

Bis zur Ausführung des Flurneuordnungsplanes (§ 61 LwAnpG) gelten auch noch nach Erlass der vorläufigen Besitzregelung (§ 61a LwAnpG) oder der vorzeitigen Ausführungsanordnung (§ 63 FlurbG) weiterhin folgende Einschränkungen, sofern in diesen Überleitungsbestimmungen nichts Anderes festgesetzt ist:

1.1

In der Nutzungsart der Grundstücke dürfen ohne Zustimmung der Flurneuordnungsbehörde nur Änderungen vorgenommen werden, wenn sie zum ordnungsgemäßen Wirtschaftsbetrieb gehören.

1.2

Bauwerke, Brunnen, Gräben, Einfriedungen, Hangterrassen und ähnliche Anlagen dürfen nur mit Zustimmung der Flurneuordnungsbehörde errichtet, hergestellt, wesentlich verändert oder beseitigt werden.

1.3

Baumgruppen, einzelne Bäume, Feld- und Ufergehölze, Hecken, Obstbäume und Beerensträucher dürfen nur in Ausnahmefällen und mit Zustimmung der Flurneuordnungsbehörde beseitigt werden.

1.4

Holzeinschläge, die den Rahmen einer ordnungsgemäßen Bewirtschaftung übersteigen, bedürfen der Zustimmung der Flurneuordnungsbehörde. Die Zustimmung darf nur im Einvernehmen mit der Forstaufsichtsbehörde erteilt werden.

2.

Sind Eingriffe entgegen der Vorschrift Nr. 1.3 vorgenommen worden, so muss die Flurneuordnungsbehörde Ersatzpflanzungen anordnen.

3.

Sind entgegen den Vorschriften zu Nrn. 1.1 und 1.2 Änderungen vorgenommen oder Anlagen hergestellt oder beseitigt worden, so können sie im Flurneuordnungsverfahren unberücksichtigt bleiben. Die Flurneuordnungsbehörde kann den früheren Zustand nach § 137 FlurbG wiederherstellen lassen, wenn dies der Flurneuordnung dienlich ist.

4.

Sind Holzeinschläge entgegen der Vorschrift zu Nr. 1.4 vorgenommen worden, so kann die Flurneuordnungsbehörde anordnen, dass derjenige, der das Holz gefällt hat, die abgeholzte Fläche wieder ordnungsmäßig aufzuforsten hat.

5.

Zuwiderhandlungen gegen die Vorschriften Nrn. 1.2, 1.3 und 1.4 sind Ordnungswidrigkeiten, die mit Geldbußen geahndet werden können (§ 154 FlurbG).

Rechtsbehelfsbelehrung:

Gegen die 1. Änderung der vorläufigen Besitzregelung kann innerhalb eines Monats nach Bekanntgabe Widerspruch beim Staatlichen Amt für Landwirtschaft und Umwelt Mittleres Mecklenburg, An der Jägerbäk 3, 18069 Rostock erhoben werden.