Titel Logo
Marlow-Kurier
Ausgabe 4/2025
Amtliche Mitteilungen
Zurück zur vorigen Seite
Zurück zur ersten Seite der aktuellen Ausgabe

Immobilienangebote der Stadt Marlow

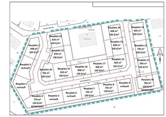
22 Wohngrundstücke im Ortsteil Gresenhorst /B-Plan-Gebiet Nr. 27 „An der Schule“

Die Stadt Marlow verkauft 22 voll erschlossene Baugrundstücke zur Wohnbebauung ohne Bauträgerbindung im Ortsteil Gresenhorst.Die Baugrundstücke befinden sich im Ortskern von Gresenhorst. In der direkten Nachbarschaft zum Baugebiet befindet sich die gerade durch einen Neubau vergrößerte Kindertagesstätte mit Betreuungsangeboten für Krippen- und Kindergartenkinder. Die örtlich zuständige Grundschule befindet sich in Marlow, die weiterführende Schule in Ribnitz-Damgarten.

Ebenfalls in direkter Nachbarschaft befindet sich die kommunale Sporthalle, die für den Freizeitsport zur Verfügung steht, sowie das Dorfbegegnungszentrum mit öffentlichem Spielplatz.

Der Ortsteil Gresenhorst verfügt über eine günstige Verkehrsanbindung über die L191 nach Ribnitz-Damgarten (ca. 11 km) und nach Sanitz (ca. 9 km) sowie über die L182 nach Rostock.

Die Bebauung richtet sich nach den Festsetzungen und örtlichen Bauvorschriften der 1. Änderung des Bebauungsplanes Nr. 27 „An der Schule“ im Ortsteil Gresenhorst. Einzusehen auf der Homepage der Stadt Marlow (https://www.stadt-marlow.de/b-plan-nr.-27-an-der-schule-ortsteil-gresenhorst.html) oder direkt in der Stadtverwaltung Marlow.

Grundstücksgröße:

750 m² bis 870 m²

Verkaufspreis:

105 € / m² bis 120 € / m²

inkl.

Ablösebetrag für die Erschließungskosten (Straßenbau)

zzgl.

Kanalanschlussbeitrag für den Anschluss an die zentrale Schmutz- und Niederschlagswasserbeseitigungsanlage gemäß Beitragssatzung Abwasserzweckverbandes Marlow Bad-Sülze

zzgl.

Baukostenzuschuss für die Herstellung des Trinkwasserhausanschlusses

zzgl.

Baukostenzuschuss für die Herstellung des Stromhausanschlusses

zzgl.

Erwerbsnebenkosten (u. a. Grunderwerbsteuer, Notar- und Grundbuchkosten)

Sonstige Bedingungen

Der Verkauf erfolgt nur an Privatpersonen unter Vereinbarung einer Bauverpflichtung (Errichtung eines Wohnhauses) innerhalb von 3 Jahren nach Beurkundung und einem entsprechenden Rücktrittsrecht für die Stadt Marlow bei Nichterfüllung sowie einer Mehrerlösklausel für den Fall, dass ein erworbenes Grundstück im unbebauten Zustand innerhalb von 3 Jahren ab Beurkundung zu einem höheren Preis weiter veräußert wird.

Erbbaupacht

Alternativ zum Kauf ist der Abschluss eines Erbbaupachtvertrages möglich.

Inhalte eines möglichen Erbbaurechtes sind u. a.

Laufzeit bis zu 99 Jahre ab Beurkundung

Entschädigung beim Heimfall oder Zeitablauf

2,60 €/m² bis 3,05 €/m² jährlicher Erbbauzins gekoppelt an den Verbraucherpreisindex

Verfahren

Interessenten reichen ihren Erwerbsantrag / ihre Interessensbekundung bitte schriftlich oder per E-Mail ein.

Ansprechpartner

Frau Funk - Sachbearbeitung Liegenschaften

(a.funk@stadtmarlow.de, Tel. 038221 41022)

Frau Gabriel - Amtsleitung Bau- und Ordnungsamt

(a.gabriel@stadtmarlow.de, Tel. 038221 41011)

5 Wohngrundstücke im Ortsteil Kneese

Die Stadt Marlow verkauft 5 Baugrundstücke zur Wohnbebauung ohne Bauträgerbindung im Ortsteil Kneese.

Die Baugrundstücke befinden sich im Ortskern von Kneese. Der Ortsteil Kneese zeichnet sich durch seine verkehrsgünstige Lage an der L19 (ca. 16 km nach Sanitz) sowie die Anbindung an den ÖPNV nach Rostock aus.

Die zulässige Bebauung richtet sich nach § 34 Baugesetzbuch und den Festsetzungen der Innenbereichssatzung Kneese; einzusehen auf der Homepage der Stadt Marlow (https://www.stadtmarlow.de/innenbereichssatzung-kneese.html) oder direkt in der Stadtverwaltung Marlow.Die Grundstücke sind verkehrlich durch die Birkenallee bzw. die Straße Am Gutshaus erschlossen. Die Festsetzungen der Innenbereichssatzung zur Lage der noch zu errichtenden Grundstückszufahrten sind zu beachten. Die Ver- und Entsorgungsmedien (Strom, Wasser und Schmutzwasser) liegen an. Vom Erwerber sind die Kosten für die Anbindung und Herstellung der Hausanschlüsse zu tragen. Ebenso ist der noch zu erhebende Kanalanschlussbeitrag (Schmutzwasser) vom Erwerber zu entrichten. Eine zentrale Niederschlagswasserbeseitigung existiert im Ortsteil Kneese nicht. Das anfallende Niederschlagswasser ist auf dem Grundstück zu versickern.

Grundstücksgröße:

Grundstück 1 - ca. 814 m²

Grundstück 2 - ca. 791 m²

Grundstück 3 - ca. 868 m³

Grundstück 4 - ca. 831 m²

Grundstück 5 - ca. 844 m²

Die Grundstücke sind noch nicht vermessen. Die angegebenen Größen können daher noch variieren.

Verkaufspreis:

60 € / m²

zzgl.

Kanalanschlussbeitrag für den Anschluss an die zentrale Schmutzwasserbeseitigungsanlage gemäß Beitragssatzung Abwasserzweckverbandes Marlow Bad-Sülze

zzgl.

Herstellung der jeweiligen Versorgungsleistungen und Hausanschlüsse für Strom, Wasser und Telekommunikation sowie die Herstellung der Grundstückszufahrt

zzgl.

Erwerbsnebenkosten (u. a. Grunderwerbsteuer, Notar- und Grundbuchkosten)

Nachlässe

Für Bauherren mit nachgewiesenem familiärem Bezug bzw. Wohnsitz in der Stadt Marlow wird ein Kaufpreisnachlass in Höhe von 3.000,00 € gewährt.

Für Familien mit Kindern bis zu einem Alter von 14 Jahren wird ein Kaufpreisnachlass von 2.500,00 € pro Kind gewährt. Der Kaufpreisnachlass ist auf maximal 4 Kinder je Grundstück begrenzt.

Sonstige Bedingungen

Der Verkauf erfolgt nur an Privatpersonen unter Vereinbarung einer Bauverpflichtung (Errichtung eines Wohnhauses) innerhalb von 5 Jahren nach Beurkundung und einem entsprechenden Rücktrittsrecht für die Stadt Marlow bei Nichterfüllung sowie einer Mehrerlösklausel für den Fall, dass ein erworbenes Grundstück im unbebauten Zustand innerhalb von 5 Jahren ab Beurkundung zu einem höheren Preis weiter veräußert wird.

Verfahren

Interessenten reichen ihren Erwerbsantrag / ihre Interessensbekundung bitte schriftlich oder per E-Mail ein.

Ansprechpartner

Frau Funk - Sachbearbeitung Liegenschaften

(a.funk@stadtmarlow.de, Tel. 038221 41022)

Frau Gabriel - Amtsleitung Bau- und Ordnungsamt

(a.gabriel@stadtmarlow.de, Tel. 038221 41011)

Gewerbeflächen im Gewerbegebiet Marlow

Die Stadt Marlow bietet noch verfügbare Flächen im Gewerbegebiet Marlow an.

Das Gewerbegebiet in Marlow liegt im Norden der Stadt an der Landesstraße 181, am Ortsausgang in Richtung Ribnitz-Damgarten mit folgenden Anbindungen:

15 km zur B 105 (Anschluss Ribnitz-Damgarten)

15 km zur A 20 (Anschluss Sanitz)

40 km zur A 19 (Anschluss Rostock)

15 km zum nächsten Bahnhof (Ribnitz-Damgarten)

40 km bis zum Seehafen Rostock

50 km bis zum Hafen Stralsund

Mit einer Netto-Grundfläche von 160.000 m² ist dieses Gebiet das größte Gewerbegebiet der Stadt Marlow. Im Gewerbegebiet sind u. a. ein Möbelhersteller, ein Metallbauunternehmen, ein Elektrofachbetrieb und ein Sonderpostenmarkt angesiedelt.

Es stehen noch freie Flächen (ca. 33.000 m²) für die Ansiedlung weiterer Gewerbebetriebe zur Verfügung. Die Vermarktung erfolgt direkt durch die Stadt Marlow.

Die Grundstücke sind voll erschlossen. Die zulässige Bebauung und Nutzung richten sich nach dem Bebauungsplan Nr. 1 „Gewerbegebiet“; einzusehen auf der Homepage der Stadt Marlow oder direkt in der Stadtverwaltung Marlow.

Verfügbare Fläche:

ca. 33.000 m²

Die Grundstücke sind noch nicht vermessen. Eine individuelle Teilung ist daher noch möglich.

Verkaufspreis:

auf Anfrage

Sonstige Bedingungen

Der Verkauf erfolgt unter Vereinbarung einer Bauverpflichtung innerhalb von 5 Jahren nach Beurkundung und einem entsprechenden Rücktrittsrecht für die Stadt Marlow bei Nichterfüllung sowie einer Mehrerlösklausel für den Fall, dass ein erworbenes Grundstück im unbebauten Zustand innerhalb von 5 Jahren ab Beurkundung zu einem höheren Preis weiter veräußert wird.

Erbbaupacht

Alternativ zum Kauf ist der Abschluss eines Erbbaupachtvertrages möglich.Inhalte eines möglichen Erbbaurechtes sind u. a.• Laufzeit bis zu 99 Jahre ab Beurkundung• Entschädigung beim Heimfall oder Zeitablauf• jährlicher Erbbauzins gekoppelt an den Verbraucherpreisindex

Verfahren

Interessenten reichen ihren Erwerbsantrag / ihre Interessensbekundung bitte schriftlich oder per E-Mail ein.

Ansprechpartner

Frau Funk - Sachbearbeitung Liegenschaften

(a.funk@stadtmarlow.de, Tel. 038221 41022)

Frau Gabriel - Amtsleitung Bau- und Ordnungsamt

(a.gabriel@stadtmarlow.de, Tel. 038221 41011)