Titel Logo
Uns Pütt
Ausgabe 1/2024
Amtliche Mitteilungen
Zurück zur vorigen Seite
Zurück zur ersten Seite der aktuellen Ausgabe

Bauleitplanung der Stadt Parchim - Vorentwurf zur Satzung der Stadt Parchim über den Bebauungsplan Nr. 49 „Schweriner Chaussee“

Bekanntmachung der frühzeitigen Öffentlichkeitsbeteiligung gemäß § 3 Abs. 1 Baugesetzbuch (BauGB)

Die Stadtvertretung der Stadt Parchim hat in ihrer Sitzung am 06.07.2016 den Beschluss zur Aufstellung des Bebauungsplanes Nr. 49 „Schweriner Chaussee“ sowie die 9. Änderung des Flächennutzungsplans (im Parallelverfahren) gefasst.

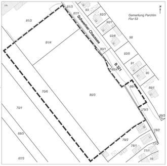
Das Plangebiet befindet sich im Stadtgebietsteil Nordstadt, südwestlich der Schweriner Chaussee. Der Geltungsbereich des o.g. Vorentwurfs des Bebauungsplanes ist der Anlage 1 zu entnehmen.

Anlass für die Aufstellung des Bebauungsplanes Nr. 49 ist das Interesse an der Sicherung der städtebaulichen Ordnung und planerischen Konfliktbewältigung aufgrund der geänderten Nutzungsansprüche. Das Ziel der Planung besteht darin, eine brachliegende Fläche in wohnbauliche Nutzungen zu überführen. Die ehemaligen Kleingartenflächen, inmitten angrenzender Siedlungsstruktur, erfahren eine dem Ortsbild entsprechende Nachnutzung. Der steigenden Nachfrage nach Wohnbauflächen in der Stadt Parchim wird entsprochen.

Der räumliche Geltungsbereich des Bebauungsplanes umfasst eine Fläche von ca. 1,72 ha und beläuft sich auf die Flurstücke 80/3, 81/4 und Teilstücke der Flurstücke 70/6, 79/3, 88/1 der Flur 53 in der Gemarkung Parchim.

Der wirksame Flächennutzungsplan der Stadt Parchim stellt das Plangebiet als Grünfläche entsprechend § 5 Abs. 2 Nr. 5 BauGB dar und wird daher im Parallelverfahren zur 9. Änderung des Flächennutzungsplans im Sinne der neuen städtebaulichen Ziele geändert. Das Plangebiet des Vorentwurfs zur o.g. Flächennutzungsplanänderung ist der Anlage 2 zu entnehmen.

Hiermit werden Sie von der frühzeitigen Beteiligung zum Vorentwurf des Bebauungsplanes Nr. 49 der Stadt Parchim für das Gebiet,,Schweriner Chaussee“ sowie zum Vorentwurf der 9. Änderung des Flächennutzungsplans der Stadt Parchim gemäß § 3 Abs. 1 BauGB unterrichtet.

Zur Darlegung und Erörterung der allgemeinen Ziele und Zwecke der Planung, sich wesentlich unterscheidende Lösungen, die für die Neugestaltung oder Entwicklung eines Gebietes in Betracht kommen, und die voraussichtlichen Auswirkungen der Planungen wird gemäß § 3 Abs. 1 BauGB die frühzeitige Öffentlichkeitsbeteiligung mit Auslegung der Planungsunterlagen sowie mit der Veröffentlichung im Internet gewährleistet.

Der Öffentlichkeit wird Gelegenheit gegeben, sich zu der Planung zu äußern. Parallel dazu wird die frühzeitige Beteiligung der berührten Behörden und sonstigen Träger öffentlicher Belange gemäß § 4 Abs. 1 BauGB sowie die Abstimmung mit den Nachbargemeinden gemäß § 2 Abs. 2 BauGB durchgeführt.

Der Inhalt dieser Bekanntmachung und der Vorentwurf des Bebauungsplans Nr. 49 „Schweriner Chaussee“ der Stadt Parchim sowie der Vorentwurf zur 9. Änderung des Flächennutzungsplans der Stadt Parchim einschließlich der dazugehörigen Begründung mit Planungsstand Januar 2024 werden im Internet unter der Adresse:

https://www.parchim.de/de/politik-verwaltung/verwaltung/buergerbeteiligung/oeffentliche-auslegung/

und

www.parchim.de/bekanntmachungen

in der Zeit vom 05.02.2024 bis zum 18.03.2024 eingestellt.

Der Vorentwurf des Bebauungsplanes Nr. 49 „Schweriner Chaussee“ der Stadt Parchim sowie der Vorentwurf zur 9. Änderung des Flächennutzungsplans der Stadt Parchim einschließlich der dazugehörigen Begründung liegen darüber hinaus als Informationsangebot

vom 05.02.2024 bis zum 18.03.2024

bei der Stadtverwaltung Parchim im Stadthaus, Blutstraße 5, 19370 Parchim, Fachbereich 6 Bau und Stadtentwicklung im Raum A111 während folgender Zeiten:

Montag

8:00 - 12:00 Uhr und 13:00 - 16:00 Uhr

Dienstag

8:00 - 12:00 Uhr und 13:00 - 17:00 Uhr

Mittwoch

8:00 - 12:00 Uhr und 13:00 - 16:00 Uhr

Donnerstag

8:00 - 12:00 Uhr und 13:00 - 16:00 Uhr

Freitag

8:00 - 12:00 Uhr

sowie nach vorheriger Vereinbarung zu anderen Zeiten zu jedermanns Einsicht öffentlich aus.

Während der Veröffentlichungs- und Auslegungsfrist können alle an der Planung Interessierten Stellungnahmen schriftlich, per E-Mail (stadtplanung@parchim.de) oder während der o.g. Dienststunden zur Niederschrift vorbringen. Es wird darauf hingewiesen, dass nicht fristgerecht abgegebene Stellungnahmen bei der Beschlussfassung über die o.g. Bauleitplanung der Stadt Parchim unberücksichtigt bleiben, wenn die Stadt Parchim deren Inhalt nicht kannte und nicht hätte kennen müssen und deren Inhalt für die Rechtmäßigkeit des Bauleitplanes nicht von Bedeutung ist.

Die Veröffentlichung im Internet und die Auslegung des Vorentwurfes des Bebauungsplanes Nr. 49 „Schweriner Chaussee“ sowie des Vorentwurfs zur 9. Änderung des Flächennutzungsplans der Stadt Parchim wird hiermit ortsüblich - entsprechend der Hauptsatzung der Stadt Parchim - bekannt gemacht.

Parchim, den 19.01.2024

Flörke
Bürgermeister

Anlage 1

Geltungsbereich des Bebauungsplanes Nr. 49 „Schweriner Chaussee“

Anlage 2

Plangebiet der 9. Änderung des Flächennutzungsplans