Titel Logo
Uns Pütt
Ausgabe 7/2025
Amtliche Mitteilungen
Zurück zur vorigen Seite
Zurück zur ersten Seite der aktuellen Ausgabe

Bekanntmachung des Satzungsbeschlusses für die 1. Änderung des Bebauungsplans Nr. 41 „Vietingshof Nord“ der Stadt Parchim

Die Stadtvertretung der Stadt Parchim hat mit Beschluss vom 11.06.2025 die 1. Änderung des Bebauungsplans Nr. 41 „Vietingshof Nord“ in der Fassung vom Juni 2025 als Satzung beschlossen. Es erfolgte ein Vereinfachtes Verfahren nach § 13 BauGB.

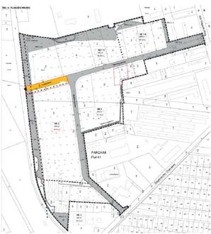
Der Geltungsbereich der 1. Änderung ist dem Übersichtsplan zu entnehmen.

Der Beschluss wird hiermit gemäß § 10 Abs. 3 des Baugesetzbuchs (BauGB) ortsüblich bekannt gemacht.

Mit Ablauf des Tages dieser Bekanntmachung tritt die 1. Änderung des Bebauungsplans in Kraft.

Jedermann kann den Bebauungsplan mit der Begründung bei der Stadt Parchim (Stadtverwaltung Parchim, Sachgebiet Stadtplanung, Blutstraße 5, 19370 Parchim) während der Dienststunden im Raum A 107 bzw. A 111 einsehen und über deren Inhalt Auskunft verlangen. Andernfalls sind die Unterlagen auf der Internetseite der Stadt Parchim

(https://www.parchim.de/de/buergerservice-1/buergerservice/planen-bauen-undwohnen/

stadtplanung/bauleitplanung/verbindliche-bebauungsplaene/) sowie dem Bauleitplanserver M-V

(https://bplan.geodaten-mv.de/bauportal/)zu jeder Zeit einsehbar.

Hinweise:

1.

Auf die Voraussetzungen für die Geltendmachung der Verletzung von Verfahrens- und Formvorschriften und von Mängeln der Abwägung sowie die Rechtsfolgen des § 215 Abs. 1 BauGB wird hingewiesen.

Unbeachtlich werden demnach

1.

eine nach § 214 Abs. 1 Satz 1 Nr. 1 bis 3 BauGB beachtliche Verletzung der dort bezeichneten Verfahrens- und Formvorschriften,

2.

eine unter Berücksichtigung des § 214 Abs. 2 BauGB beachtliche Verletzung der Vorschriften über das Verhältnis des Bebauungsplans und des Flächennutzungsplans und

3.

nach § 214 Abs. 3 Satz 2 BauGB beachtliche Mängel des Abwägungsvorgangs, wenn sie nicht innerhalb eines Jahres seit Bekanntmachung des Bebauungsplans schriftlich gegenüber der Gemeinde geltend gemacht worden sind; der Sachverhalt, der die Verletzung oder den Mangel begründen soll ist darzulegen.

2.

Zudem wird auf die Vorschriften des § 44 Abs. 3 Satz 1 und 2 sowie Abs. 4 BauGB hingewiesen. Danach erlöschen Entschädigungsansprüche für nach den §§ 39 bis 42 BauGB eingetretene Vermögensnachteile, wenn nicht innerhalb von drei Jahren nach Ablauf des Kalenderjahres, in dem die Vermögensnachteile eingetreten sind, die Fälligkeit des Anspruches herbeigeführt wird.

3.

Außerdem kann gemäß § 5 Abs. 5 der Kommunalverfassung Mecklenburg-Vorpommern (KV M-V) ein Verstoß gegen Verfahrens- und Formvorschriften, die in der KV M-V enthalten oder aufgrund der KV M-V erlassen worden sind, nach Ablauf eines Jahres seit der öffentlichen Bekanntmachung nicht mehr geltend gemacht werden. Diese Folge tritt nicht ein, wenn der Verstoß innerhalb der Jahresfrist schriftlich unter Bezeichnung der verletzten Vorschrift und der Tatsache, aus der sich der Verstoß ergibt, gegenüber der Stadt Parchim geltend gemacht wird. Eine Verletzung von Anzeige-, Genehmigungs- oder Bekanntmachungsvorschriften kann abweichend davon stets geltend gemacht werden

Parchim, 11.07.2025

Flörke
Bürgermeister

Übersichtsplan: Geltungsbereich der 1. Änderung des Bebauungsplans Nr. 41 „Vietingshof Nord“