Titel Logo
Havel-Quelle
Ausgabe 5/2023
Amtliche Bekanntmachungen
Zurück zur vorigen Seite
Zurück zur ersten Seite der aktuellen Ausgabe

Bekanntmachung der Gemeinde Möllenhagen

über den Aufstellungsbeschluss des vorhabenbezogenen Bebauungsplans „Einzelhandel mit Tank- und Rastanlage Industriestraße" als selbständigen Änderungsplan des Bebauungsplans Nr. 1/92 „Gewerbegebiet" der Gemeinde Möllenhagen

Die Gemeindevertretung der Gemeinde Möllenhagen hat in Ihrer Sitzung am 02.05.2023 den Aufstellungsbeschluss für die Satzung über den vorhabenbezogenen Bebauungsplan „Einzelhandel mit Tank- und Rastanlage Industriestraße" als selbständigen Änderungsplan des Bebauungsplans Nr. 1/92 „Gewerbegebiet" der Gemeinde Möllenhagen gefasst und damit das verbundene Bauleitverfahren eingeleitet. Der Aufstellungsbeschluss wird gemäß § 2 Abs. 1 BauGB hiermit bekannt gemacht.

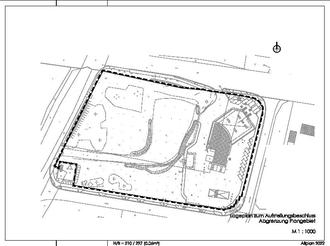
Das Plangebiet umfasst ca. 15.300 m2 und befindet sich im Gewerbegebiet der Gemeinde Möllenhagen.

Es wird wie folgt begrenzt:

  • im Norden durch die Bundesstraße B 192

  • im Süden durch die Straße "Industriegelände"

  • im Westen von der an die Bahnlinie zum Betonwerk angrenzende Straße „Industriegelände"

  • im Osten durch die Landesstraße MSE 30

Der Geltungsbereich umfasst die Flurstücke 19/34, 19/35, 19/56 und 19/59 der Flur 3 der Gemarkung Möllenhagen.

Planungsziel ist die Festsetzung eines Sondergebietes „Großflächiger Einzelhandel" gemäß § 11 Abs. 3 BauNVO. Der vorhabenbezogene Bebauungsplan wird als selbständiger Änderungsplan aufgestellt, weil dieser Teilbereich der Ursprungsfassung des Plans Nr. 1/92 umfassend überplant wird. Für den Änderungsbereich entsteht somit ein eigenständiges Änderungsgeflecht, das für sich betrachtet auch ohne den Ursprungsplan eine eigenständige Gültigkeit erreicht, indem er die städtebauliche Entwicklung und Ordnung in seinem Geltungsbereich auch ohne den Hintergrund des Ursprungsplans sicherstellen kann. Der Ursprungsplan gilt dementsprechend nur für den übrigen, von diesem Änderungsplan nicht erfassten Bereich weiter. Der vorhabenbezogene Bebauungsplan gilt für die Flurstücke Nr. 19/34, 19/35, 19/56 und 19/59 und ersetzt für seinen Geltungsbereich die Ursprungsfestsetzungen.

Es ist vorgesehen, den Bebauungsplan in seiner bestehenden Form für den Bereich des Vorhabens zu ändern. Die Planänderung soll in Form der Aufstellung eines vorhabenbezogenen Bebauungsplans gern. § 12 BauGB erfolgen, der für seinen Geltungsbereich die bisher hier geltenden Festsetzungen überlagert und damit ersetzt. Der vorhabenbezogene Bebauungsplan soll als Bebauungsplan der Innenentwicklung gemäß § 13a BauGB im beschleunigten Verfahren aufgestellt werden, da die Voraussetzungen, die das Baugesetzbuch an dieses Verfahren stellt, sämtlich erfüllt werden können. Die Grundzüge des neu zu erstellenden vorhabenbezogenen Bebauungsplanes sind die Festsetzungen für einen großflächigen Einzelhandel mit bis zu 1.200 m2 Verkaufsfläche, der Festsetzung der Grundflächenzahl von 0,8, das bedeutet, das Bebauungsplangebiet mit 80% zu überbauen. Weiterhin ist eine Erweiterung des Hoyer Autohofes um eine überdachte Tankanlage für LKW/Busse sowie bis zu 10 LKW Stellplätzen vorgesehen.

Penzlin, den 11.05.2023

Anlage:

Ausgrenzung des Geltungsbereiches