Titel Logo
Amtsblatt Sternberger Seenlandschaft
Ausgabe 2/2024
Öffentliche Bekanntmachungen
Zurück zur vorigen Seite
Zurück zur ersten Seite der aktuellen Ausgabe

Bekanntmachung der Stadt Brüel

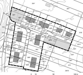
unmaßstäblicher Auszug aus der Planzeichnung

Stadt Brüel

- Der Bürgermeister –

Bekanntmachung der Stadt Brüel

Beschluss der Satzung der Stadt Brüel über die Klarstellung des im Zusammenhang bebauten Ortsteils und die Einbeziehung von Außenbereichsflächen (Klarstellungs- und Einbeziehungssatzung) nach § 34 Abs. 4 Satz 1 Nr. 1 und 3 BauGB für den Bereich „Golchener Weg“

Die Stadtvertretung der Stadt Brüel hat in der Sitzung am 19.12.2023 die Klarstellung des im Zusammenhang bebauten Ortsteils und die Einbeziehung von Außenbereichsflächen (Klarstellungs- und Einbeziehungssatzung), bestehend aus der Planzeichnung und dem Satzungstext, als Satzung beschlossen. Dies wird hiermit gem. § 10 Abs. 3 BauGB bekannt gemacht.

Die Satzung gilt für den folgenden abgebildeten Bereich:

Die Satzung tritt mit dieser Bekanntmachung in Kraft (vgl. § 10 Abs. 3 BauGB).

Alle Interessierten können die Satzung von diesem Tage im Amt Sternberger Seenlandschaft, Amt Markt 3 in 19406 Sternberg, Zimmer 207, während der Öffnungszeiten für den Publikumsverkehr einsehen und über den Inhalt Auskunft erhalten. Zusätzlich wurde die Satzung ins Internet unter der Adresse „www.amt-ssl.de“ sowie in das zentrale Landesportal des Landes Mecklenburg-Vorpommern unter der Adresse https://bplan.geodaten-mv.de/Bauleitplaene ins Internet eingestellt.

Auf die Geltendmachung der Verletzung von Verfahrens- und Formvorschriften und von Mängeln der Abwägung sowie auf Rechtsfolgen des § 215 Abs. 1 BauGB wird hingewiesen.

Gemäß § 215 Abs. 1 BauGB werden unbeachtlich:

  1. eine nach § 214 Abs. 1 Satz 1 Nr. 1 bis 3 BauGB beachtliche Verletzung der dort bezeichneten Verfahrens- und Formvorschriften,

  2. eine unter Berücksichtigung des § 214 Abs. 2 BauGB beachtliche Verletzung der Vorschriften über das Verhältnis des Bebauungsplans und des Flächennutzungsplans und

  3. nach § 214 Abs. 3 Satz 2 BauGB beachtliche Mängel des Abwägungsvorganges, wenn sie nicht innerhalb eines Jahres seit Bekanntmachung der Satzung schriftlich gegenüber der Stadt Brüel unter Darlegung des die Verletzung begründenden Sachverhalts geltend gemacht worden sind.

Auf die Vorschriften des § 44 Abs. 3 Satz 1 und 2 sowie Abs. 4 BauGB über die fristgemäße Geltendmachung etwaiger Entschädigungsansprüche für Eingriffe durch diese 1. Änderung der Satzung in eine bisher zulässige Nutzung und das Erlöschen von Entschädigungsansprüchen bei nicht fristgemäßer Geltendmachung wird hingewiesen.

Ein Verstoß gegen Verfahrens- und Formvorschriften der Kommunalverfassung für das Land Mecklenburg-Vorpommern (KV M-V), die in diesem Gesetz enthalten oder aufgrund dieses Gesetzes erlassen worden sind, sind nach § 5 Abs. 5 und 7 KV M-V unbeachtlich, wenn der Verstoß nicht innerhalb eines Jahres seit dieser Bekanntmachung schriftlich unter Bezeichnung der verletzten Vorschrift und der Tatsache, aus der sich der Verstoß ergibt, gegenüber der Stadt Brüel geltend gemacht wird. Eine Verletzung von Anzeige-, Genehmigungs- oder Bekanntmachungsvorschriften kann stets geltend gemacht werden.

Sternberg, 31.01.2024

gez. B. Liese
Bürgermeister