Titel Logo
Amtsblatt Sternberger Seenlandschaft
Ausgabe 7/2023
Öffentliche Bekanntmachungen
Zurück zur vorigen Seite
Zurück zur ersten Seite der aktuellen Ausgabe

Bekanntmachung der Stadt Brüel

Stadt Brüel

- Der Bürgermeister -

Bekanntmachung der Stadt Brüel

Bekanntmachung der öffentlichen Auslegung des Entwurfs der Satzung nach § 34 Abs. 4 Satz 1 Nr. 1 und 3 BauGB für einen Siedlungsbereich „Golchener Weg" in der Stadt Brüel

Betr.:

Öffentliche Auslegung des Entwurfs der Satzung nach § 34 Abs. 4 Satz 1 Nr. 1 und 3 BauGB (Klarstellungs- und Einbeziehungssatzung) für den Siedlungsbereich „Golchener Weg" in der Stadt Brüel nach § 13 Abs. 2 Satz 1 Nr. 2 BauGB i. V. m. § 3 Abs. 2 BauGB.

Der von der Stadtvertretung in der Sitzung am 23.05.2023 gebilligte und zur Auslegung bestimmte Entwurf der Satzung nach § 34 Abs. 4 Satz 1 Nr. 1 und 3 BauGB der Stadt Brüel für den Siedlungsbereich „Golchener Weg" und die Begründung liegen vom

24.07. bis einschließlich 25.08.2023

im Amt für Bau- und Liegenschaften des Amtes Sternberger Seenlandschaft, Am Markt 3 (ehem. Postgebäude), 19406 Sternberg, Zimmer 206, während folgender Zeiten

Dienstag:

09:00 bis 12:00 Uhr und 13:30 bis 18:00 Uhr

Mittwoch:

09:00 bis 12:00 Uhr

Donnerstag:

09:00 bis 12.00 Uhr und 13:30 bis 17:00 Uhr

Freitag:

09:00 bis 12:00 Uhr

öffentlich aus.

Zusätzlich ist der Inhalt dieser Bekanntmachung und die nach § 3 Abs. 2 Satz 1 BauGB auszulegenden Unterlagen im Internet unter folgender Adresse https://amt-ssl.de/downloads/bauleitplanung_-hoch--und-tiefbau.html eingestellt.

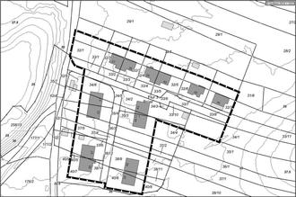
Der Geltungsbereich der Satzung ist im nachstehenden Lageplan dargestellt:

Auf den Satzungsteil nach § 34 Abs. Satz 1 Nr. 3 BauGB (hier: Einbeziehungssatzung) ist § 1 a Abs. 2 und 3 BauGB und § 9a Abs. 1 a BauGB angewendet worden. Folgende umweltrelevanten Informationen sind hierzu verfügbar:

  • Belange von Natur, Landschaft und Umwelt nebst Karte 1 - Bestand und Planung sowie artenschutzrechtlicher Begutachtung

Diese Unterlagen liegen ebenfalls mit aus.

Während der Auslegungsfrist können alle an der Planung Interessierten die Planunterlagen einsehen sowie Stellungnahmen hierzu schriftlich oder auf elektronischem Wege per E-Mail an bruemmer@stadt-sternberg.de oder während der Dienststunden zur Niederschrift abgeben.

Nicht fristgerecht abgegebene Stellungnahmen können bei der Beschlussfassung über die Klarstellung - und Einbeziehungssatzung unberücksichtigt bleiben, wenn die Gemeinde deren Inhalt nicht kannte und nicht hätte kennen müssen und deren Inhalt für die Rechtmäßigkeit der Klarstellung - und Einbeziehungssatzung nicht von Bedeutung ist.

Die Verarbeitung personenbezogener Daten erfolgt auf Grundlage der Art. 6 Abs. 1 Buchstabe e Datenschutz-Grundverordnung (DSGVO) und dem Datenschutzgesetz für das Land Mecklenburg-Vorpommern (DSG M-V). Sofern Sie Ihre Stellungnahme ohne Absender abgeben, erhalten Sie keine Mitteilung über das Ergebnis der Prüfung.

Sternberg, 21.06.2023

gez. B. Liese

(Siegel)

Bürgermeister