Titel Logo
Tessiner Land
Ausgabe 5/2025
Informationen aus dem Rathaus
Zurück zur vorigen Seite
Zurück zur ersten Seite der aktuellen Ausgabe

Ausschreibung der Gemeinde Gnewitz

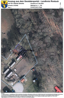
Die Gemeinde Gnewitz schreibt ab 01.01.2026 nachstehende Teilflächen mit dem darauf befindlichen Stallgebäude zur Pacht aus:

Gemarkung

Flur

Flurstück

Größe in m2

1. Gnewitz

1

90

ca. 150 m2 mit Stallhälfte (rot markiert)

2. Gnewitz

1

90

ca. 350 m2 (lila markiert)

Die Nutzung kann zur Kleintierhaltung und zum gärtnerischen Zweck erfolgen.

Mindestgebot Pachtzins:

zu 1.

50,00 EUR/jährlich

zu 2.

45,50 EUR/jährlich

Pachtangebote richten Sie bitte in einem verschlossenen Umschlag mit dem Vermerk „Ausschreibung Pacht Stall/Garten Gnewitz" bis zum 30.10.2025 an:

Amt Tessin

Gemeinde Gnewitz

Alter Markt 1

18195 Tessin

Informationen unter:

Tel.: 038205/78132

Fax: 038205/78150

E-Mail: steuern@tessin.de

Die Gemeinde Gnewitz behält sich vor, von einer Verpachtung der Liegenschaften abzusehen oder sie erneut anzubieten.

Die Verpachtung bedarf der Zustimmung der Gemeindevertretung und für den Inhalt und der Richtigkeit der obigen Angaben wird keine Haftung übernommen.