Titel Logo
Warener Wochenblatt
Ausgabe 5/2024
Aus der Stadt und den Ortsteilen
Zurück zur vorigen Seite
Zurück zur ersten Seite der aktuellen Ausgabe

300-Ausschreibung WGAR Tief 12

Angebot eines Erbbaurechtes über 50 Jahre für eine Nutzung als Erholungsgarten

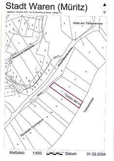
Die Stadt Waren (Müritz) schreibt folgendes Grundstück in Waren (Müritz),

„Tiefwarensee“ gelegen, öffentlich im Rahmen eines Erbbaurechtsvertrages aus:

Gemarkung Waren,

Flur 9, Flurstück 65/1,

(siehe anliegender Lageplan)

Größe: ca. 580 m²

Der Grundstückswert des, mit einem Erbbaurecht zu vergebenem Garten mit separatem Wasserzugang, wird mit 58.000,00 € bewertet.

Das Mindestgebot für den jährlichen Erbbauzins des Grundstücks beträgt 2,5 %:

1.450,00 €. Die Nutzung des Grundstückes ist ausschließlich als Erholungsgarten zulässig.

Der Zuschlag wird dem Höchstgebot erteilt.

Die Flächen am und auf dem Wasser (inklusive Stegnutzung) können über einen separaten Nutzungsvertrag angemietet werden.

Das Grundstück ist bebaut mit einem kleinen Bungalow von ca. 20 m² Nutzfläche, mit einer überdachten Terrasse von ca. 13 m², sowie zwei Geräteschuppen. Ein Stromanschluss liegt über einen Einzelanschluss an. Ein Wasser- und Abwasseranschluss ist nicht vorhanden.

Das Erbbaurecht wird für 50 Jahre übertragen. Es ist vererb- und veräußerbar.

Die Erschließung des Grundstückes ist nur über einen fußläufigen Weg von der Richard-Wossidlo-Straße gegeben.

Angebote sind in Form von Euro oder % in einem verschlossenen und als solchen kenntlich gemachten Briefumschlag („Angebot zur öffentlichen Ausschreibung – Am Tiefwarensee – Garten Nr. 12 – bitte nicht öffnen!“) an die Stadt Waren (Müritz), Hauptamt, Sachgebiet Grundstücks- und Gebäudemanagement, zu richten.

Besichtigungsanfragen und sonstige Verständnisfragen richten Sie an: Telefon 03991-177-192; FAX: 03991-1774190;

E-Mail: liegenschaften@waren-mueritz.de

Die Bewerbungsfrist beginnt am 05.02.2024 und endet am 05.04.2024 um 12:00 Uhr.

Waren (Müritz), den 02.02.2024

N. Möller
Bürgermeister