Titel Logo
Züssower Amtsblatt
Ausgabe 2/2023
Amtliche Bekanntmachungen und Informationen
Zurück zur vorigen Seite
Zurück zur ersten Seite der aktuellen Ausgabe

Öffentliche Bekanntmachung

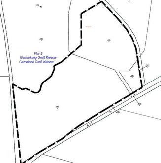
Geltungsbereich

Bebauungsplan Nr. 4 „PV-Anlage südlich der Sandgrube“ der Gemeinde Groß Kiesow

hier:

Bekanntmachung der öffentlichen Auslegung des Entwurfs gemäß § 3 Abs. 2 BauGB

Der Geltungsbereich wurde um die von der Forstbehörde als Wald deklarierte Fläche verkleinert. Der Entwurf des Bebauungsplanes Nr. 4 „PV-Anlage südlich der Sandgrube“ sowie die Begründung wurden gebilligt und nach § 3 Abs. 2 sowie § 4 Abs. 2 BauGB zur Beteiligung der Öffentlichkeit und der Behörden und sonstigen Trägern öffentlicher Belange bestimmt.

Gemäß § 3 Abs. 2 BauGB erfolgt die Beteiligung der Öffentlichkeit mittels öffentlicher Auslegung.

Der Entwurf des Bebauungsplanes Nr. 4 „PV-Anlage südlich der Sandgrube“ sowie die Begründung liegen in der Zeit vom

20. Februar 2023 bis 24. März 2023

im Amt Züssow, BB Gützkow, Fachbereich Bau- und Grundstücksmanagement, Pommersche Straße 27, 17506 Gützkow, zu folgenden Zeiten

dienstags

8:00 - 12:00 Uhr und 13:00 - 18:00 Uhr,

donnerstags

8:00 - 12:00 Uhr und 13:00 - 16:00 Uhr und

freitags

8:00 - 12:00 Uhr

aus.

Das ca. 2,2 ha große Gebiet umfasst das Flurstücke 179/3 (teilweise), 180/3 und 180/4 (teilweise) der Flur 2 Gemarkung Groß Kiesow. Der Planbereich liegt nördlich der Kreisstraße VG 11 nahe der nördlichen Gemeindegrenze von Groß Kiesow.

Der Geltungsbereich wird wie folgt umgrenzt:

Im Norden:

durch Brachflächen der ehemaligen Sandgrube und Deponie sowie Wald (Flurstücke 179/3 und 180/4),

im Osten:

durch den örtlichen Weg nach Diedrichshagen (Flurstück 180/1)

im Süden:

durch die Kreisstraße VG 11 (Flurstücke 179/4, 180/6, 180/7 und 199) und

im Westen:

durch Brachflächen (Flurstück 193/1).

Folgende umweltrelevanten Informationen sind verfügbar:

1. Umweltbericht als Bestandteil der Begründung

Bestandsaufnahme
Schutzgut Mensch:

Das ca. 2,2 ha große Plangebiet liegt nordöstlich der Ortschaft Groß Kiesow unmittelbar nördlich der Kreisstraße VG 11 auf dem Gelände einer Schutt- und Fahrsiloanlage. Über den nordwestlichen Plangebietsrand hinweg verläuft eine Freileitung. Die Fläche liegt brach und der Boden enthält Altlasten. Das Plangebiet ist aufgrund der geringen Entfernung zur Kreis-straße durch Immissionen sowie durch Stoffeinträge vorbelastet. Das Plangebiet hat aufgrund des Brachecharakters keinen Erholungswert.

Schutzgut Flora:

Das Plangebiet ist flächig mit Land-Reitgras bewachsen ist. Weiterhin wachsen Siedlungsgebüsche heimischer Gehölzarten, Sträucher und Einzelgehölze auf dem Gelände. Diese setzen sich überwiegend aus Schlehen, Traubenkirschen, Weiden, Holunder und Brombeeren zusammen. An der südlichen Grenze des Plangebietes befinden sich Fahrsiloanlagen, die an den Rändern aufgeschüttet und teilweise mit Sträuchern bewachsen sind. Im westlichen Fahrsilo werden Altreifen gelagert. Im Süd- und Nordwesten verlaufen unversiegelte Wirtschaftswege. Im Nordosten steht ein gem. § 20 NatSchAG M-V gesetzlich geschütztes Holundergebüsch.

Schutzgut Fauna:

Das Plangebiet enthält einzelne dickstämmige und einige dünnstämmige Bäume ohne Höhlen sowie Strauchbewuchs. Quartiersmöglichkeiten für Fledermäuse existieren im Plangebiet nicht.

Die Gehölze und Bodenflächen des Plangebietes sind nachgewiesene Habitate für Vögel. Es wurden festgestellt: 2Brutreviere (BR) Amsel, 1 BR Buchfink, 4 BR Bluthänfling, 2 BR Dorn-grasmücke, 3 BR Fitis, 3 BP Goldammer, 6 BR Grauammer, 2 BR Kohlmeise, 2 BR Neuntöter, 3 BR Schwarzkehlchen, 2 BR Stieglitz.

Schutzgut Wasser:

Das B- Plangebiet beinhaltet keine Oberflächengewässer. Das mit 5 m bis mehr als 10 m unter Flur anstehende Grundwasser ist aufgrund des bindigen Deckungssubstrates und des relativ großen Flurabstandes gegenüber flächenhaft eindringenden Schadstoffen vermutlich geschützt. Das Plangebiet befindet sich ca. 35 m östlich eines Trinkwasserschutzgebietes. Wasser ist kein Wert- und Funktionselement besonderer Bedeutung.

Schutzgut Boden:

Der natürliche Baugrund des Untersuchungsgebietes setzt sich hauptsächlich aus sickerwasserbestimmten Lehmen/Tieflehmen zusammen. Der Boden des Plangebietes ist aufgrund der Fremdstoffeinträge vorbelastet. Er ist kein Wert- und Funktionselement besonderer Bedeutung.

Schutzgut Klima/Luft:

Die kleinklimatischen Bedingungen im Plangebiet sind durch die Gehölze und die unterschiedlichen Höhen geprägt. Gehölze üben eine wirksame Sauerstoffproduktions-, Windschutz- und Staubbindungsfunktion aus. Die exponierten Stellen wärmen sich tagsüber auf und fließen bei abfallenden Temperaturen in die flachen Lagen ab. Dadurch entsteht ein lokaler Luftaustausch, der besondere Klimaverhältnisse -und Erscheinungen schaffen kann z.B. Nebelbildung oder wärmebegünstigte- und unbegünstigte Bereiche. Die Luftreinheit ist aufgrund der straßennahen Lage vermutlich leingeschränkt.

Schutzgut Landschaftsbild:

Das Plangebiet weist im Bereich des Silos Höhenunterschiede bis 2 m auf und ist ansonsten eben. Es ist vorwiegend mit Landreitgras und Aufwüchsen von Schlehen, Traubenkirschen, Weiden und Holunder bewachsen. Große Bereiche sind mit Schutt übersät. Sichtversperren-de Elemente sind der Gehölzbestand im Norden sowie die Siloanlagen. Seitens der Kreisstraße im Süden sowie der davon abzweigenden Wirtschaftswege im Osten und Westen bestehen Blickbeziehungen zwischen Plangebiet und Landschaft.

Natura 2000-Gebiete

Die nächstgelegenen Natura-Gebiete befinden sich mindestens 580 m vom Plangebiet entfernt und sind durch Acker-, Wald- und Moorflächen von diesem getrennt. Die geringen Auswirkungen der Planung können die Natura-Gebiete nicht erreichen.

Prognose
Fläche

Eine anthropogen vorbelastete ca. 2,2 ha große Fläche nordöstlich der Ortschaft Groß Kiesow im Außenbereich wird einer neuen Nutzung zugeführt. Neue Zufahrten werden nicht geschaffen.

Flora

Die geplante Anlage überdeckt 49% des Plangebietes. Die bestehende Staudenflur und die eingestreuten Gehölze, werden in extensives Grünland umgewandelt. Ein Gehölzbiotop im Norden bleibt erhalten. Im Osten und Süden entstehen einreihige Hecken. Gehölzfällungen und Biotopveränderungen werden innerhalb des Plangebiets durch eine Streuobstwiese und durch Hecken sowie außerhalb des Plangebietes durch Ökopunkte multifunktional kompensiert.

Fauna

Betroffene Arten finden nach Realisierung der Planung ein Habitat im Plangebiet. Gemäß Artenschutzfachbeitrag werden bei Umsetzung aller vorgeschlagenen Maßnahmen die Ver-bote des BNatSchG §44 Abs. 1 nicht berührt.

Boden/Wasser

Vorhandene Versiegelungen und Verunreinigungen werden beseitigt. Die Stützen der Module werden in den Untergrund gerammt. Neue Versiegelungen entstehen z.B. für den Trafo. Als Zufahrten werden die Kreisstraße VG11 sowie vorhandene Wirtschaftswege genutzt. Beim Betrieb der Anlage fallen keine Verunreinigungen an. Beeinträchtigungen von Boden und Wasser können vernachlässigt werden.

Biologische Vielfalt

Die biologische Vielfalt wird nicht geringer, da durch die Planung einer Verbuschung entgegengewirkt wird. Das entstehende extensive Grünland wird artenreicher sein als die derzeit dominierende Landreitgrasflur. Sträucher und Obstbäume werden gepflanzt. Ein Gehölzbiotop bleibt erhalten.

2. Fachgutachten, die dem Umweltbericht zugrunde liegen

  • Artenschutzfachbeitrag

Es erfolgten 8 Begehungen zu Brutvogelfauna im Jahr 2022. Die Reptilienkartierungen wurden monatlich von Mai bis September durchgeführt. Die Amphibienkartierungen erfolgten während der Frühjahrs- und Herbstwanderung. Gegenstand der Artenschutzrechtlichen Prüfung ist die durch Aufnahme in den Anhang IV der FFH - Richtlinie streng geschützten Pflanzen und Tierarten sowie die europäischen Vogelarten. Es wurden Vermeidungs-, Kompensations- und CEF-Maßnahmen festgesetzt.

3. Stellungnahmen der Behörden

Stellungnahme der Landesforst vom 20.07.2022

Durch den geplanten Vorentwurf werden Waldflächen in Anspruch genommen.

Nachtrag zur Gesamtstellungnahme des Landkreises Vorpommern-Greifswald vom 21.09.2022

Die Beeinträchtigung des Landschaftsbildes ist zu bewerten. Die Bilanzierung ist zu überarbeiten.

Es ist ein Artenschutzfachbeitrag zu erstellen.

Um die gesetzlichen geschützten Biotope ist ein Pufferstreifen von 20 m einzuhalten. Die Biotopkartierung ist zu überarbeiten.

Stellungnahme des NABU Mecklenburg-Vorpommern vom 04.08.2022

Im Kartenportal des LUNG wird der westliche Teil des Plangebietes als Dauergrünland ausgewiesen. Es sind CEF-Maßnahmen auszuweisen. Die Fläche liegt im Verbreitungsraum des Schreiadlers.

Innerhalb der Auslegungsfrist können Stellungnahmen schriftlich unter Angabe der Bezeichnung des Bebauungsplans abgegeben oder zur Niederschrift gebracht werden. Nicht fristgemäß abgegebene Stellungnahmen können bei der Beschlussfassung über den Bebauungsplan gemäß § 4a Abs. 6 BauGB unberücksichtigt bleiben, wenn die Gemeinde den Inhalt nicht kannte und nicht hätte kennen müssen und deren Inhalt für die Rechtmäßigkeit der Satzung nicht von Bedeutung ist.

Zusätzlich stehen die Bekanntmachung und die Unterlagen, die Gegenstand der Öffentlichkeitsbeteiligung sind, gemäß § 4a Abs. 4 BauGB sowohl auf der Homepage des Amtes Züssow als auch auf dem Bau- und Planungsportal des Landes Mecklenburg-Vorpommern zur Verfügung. Die Unterlagen können während des o. g. Zeitraums wie folgt eingesehen und abgerufen (Download) werden:

Amt Züssow: https://www.amt-zuessow.de/bekanntmachungen/aktuelle-Beteiligungsverfahren

Bau- und Planungsportal M-V: https://bplan.geodaten-mv.de

Groß Kiesow, den 18.01.2023

Bekannt gemacht entsprechend der Hauptsatzung der Gemeinde Groß Kiesow im „Züssower Amtsblatt“ am 08.02.2023