Titel Logo
Züssower Amtsblatt
Ausgabe 8/2024
Amtliche Bekanntmachungen und Informationen
Zurück zur vorigen Seite
Zurück zur ersten Seite der aktuellen Ausgabe

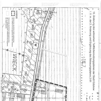
Bekanntmachung über die 10. Änderung des wirksamen Teilflächennutzungsplanes der Stadt Gützkow i. V. m. der 2. Änderung und Ergänzung des Bebauungsplanes Nr. 2-91 des Gewerbegebietes Greifswalder Straße der Stadt Gützkow

Die Stadtvertretung der Stadt Gützkow hat in ihrer öffentlichen Sitzung am 03.07.2024 den Beschluss gefasst, die 10. Änderung des wirksamen Teilflächennutzungsplanes der Stadt Gützkow aufzustellen.

1.

Geltungsbereich und Größe

Der Plangeltungsbereich umfasst folgende Flurstücke:

Stadt

Gützkow

Gemarkung

Wieck C

Flur

1

Flurstücke

4, 5/1, 215/1 und 8/24 (tw.)

Die Größe des räumlichen Geltungsbereiches beträgt 30.585 m². Der räumliche Geltungsbereich der 10. Änderung des wirksamen Teilflächennutzungsplanes der Stadt Gützkow ist identisch mit Plangebiet der 2. Änderung und Ergänzung des Bebauungsplanes Nr. 2-91 des Gewerbegebietes Greifswalder Straße der Stadt Gützkow.

Der Plangeltungsbereich der 10. Änderung des wirksamen Teilflächennutzungsplanes der Stadt Gützkow kann dem beigefügten Übersichtsplan entnommen werden.

2.

Anlass der Planänderung und Planungsziele

Bebauungspläne sind aus dem wirksamen Flächennutzungsplan der Stadt zu entwickeln.

Die Darstellungen im wirksamen Teilflächennutzungsplan der Stadt Gützkow stehen nicht im Einklang mit den gemeindlichen Zielsetzungen, die im räumlichen Geltungsbereich der 2. Änderung und Ergänzung des Bebauungsplanes Nr. 2-91 ausgewiesen sind.

In Verbindung mit der Aufstellung der Satzung der 2. Änderung und Ergänzung des Bebauungsplanes Nr. 2-91 ist es deshalb erforderlich, die 10. Änderung des wirksamen Teilflächennutzungsplanes der Stadt Gützkow vorzunehmen. Die im räumlichen Geltungsbereich der 2. Änderung und Ergänzung des Bebauungsplanes Nr. 2-91 festgesetzte Art der baulichen Nutzung als Sonstiges Sondergebiet gemäß § 11 BauNVO ist auch für den Änderungsbereich im wirksamen Teilflächennutzungsplan der Stadt Gützkow auszuweisen. Derzeit ist der Bereich im wirksamen Teilflächennutzungsplan überwiegend als Fläche für die Landwirtschaft festgesetzt. Ein geringer Teil ist als Verkehrsfläche festgelegt. Dieser verläuft parallel zur ausgewiesenen Straßenverkehrsfläche für die Greifswalder Straße.

Der Teilflächennutzungsplan wird in einem separaten Bauleitplanverfahren parallel zur 2. Änderung und Ergänzung des Bebauungsplanes Nr. 2-91 des Gewerbegebietes Greifswalder Straße der Stadt Gützkow geändert.

Die Stadt Gützkow möchte unter Berücksichtigung der Anforderungen an Naturschutz und Landschaftspflege das folgende Planungsziel erreichen:

-

Schaffung der Rechtsgrundlagen für die Errichtung einer Feuerwehrtechnische Zentrale einschließlich erforderlichen Nebenanlagen und Infrastruktur.

Die gemeindlichen Zielsetzungen werden in Übereinstimmung mit der vorgesehenen städtebaulichen Entwicklung gebracht.

3.

Verfahrenshinweise

Bei der Aufstellung des vorbereitenden Bauleitplanes werden insbesondere die Belange des Umweltschutzes, des Naturschutzes und der Landschaftspflege gemäß § 1 Abs. 6 Nr. 7 BauGB berücksichtigt.

Die Planung wird nach §§ 2 ff. BauGB aufgestellt. Eine Umweltprüfung ist durchzuführen und ein Umweltbericht zu erarbeiten.

Die 10. Änderung des wirksamen Teilflächennutzungsplanes der Stadt Gützkow erfolgt im Regelverfahren.

Im Regelverfahren wird eine zweimalige Beteiligung der Öffentlichkeit, der Behörden und sonstigen Träger öffentlicher Belange sowie der Nachbargemeinden vorgenommen.

Die im Zusammenhang mit der Planung und Erschließung entstehenden Kosten trägt der Vorhabenträger

4.

Bekanntmachung

Der Beschluss wird gemäß § 2 Abs. 1 Satz 2 BauGB ortsüblich bekanntgemacht.

Zusätzlich kann die Bekanntmachung des Aufstellungsbeschlusses auf der Homepage des Amtes Züssow unter www.amt-zuessow.de eingesehen werden.

Gützkow, den 29.07.2024

Verfahrensvermerk:

Bekannt gemacht entsprechend der Hauptsatzung der Stadt Gützkow im „Züssower Amtsblatt“ am 14.08.2024.