Titel Logo
Uns Amtsblatt
Ausgabe 3/2023
Amt Schönberger Land
Zurück zur vorigen Seite
Zurück zur ersten Seite der aktuellen Ausgabe

Amtliche Bekanntmachung der Stadt Schönberg

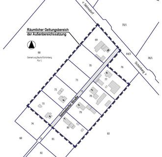
Räumlicher Geltungsbereich der Außenbereichssatzung (ohne Maßstab)

Außenbereichssatzung der Stadt Schönberg für den Bereich Bauhof West gemäß § 35 Abs. 6 BauGB

hier:

Bekanntmachung des Aufstellungsbeschlusses gemäß § 2 Abs. 1 BauGB, Bekanntmachung der Öffentlichkeitsbeteiligung gemäß § 35 Abs. 6 BauGB i.V.m. § 13 Abs. 2 Satz 1 Nr. 2 und § 3 Abs. 2 BauGB

Aufstellungsbeschluss

Die Stadtvertretung der Stadt Schönberg hat in ihrer Sitzung am 10.11.2022 den Beschluss über die Aufstellung der Außenbereichssatzung der Stadt Schönberg für den Bereich Bauhof West gemäß § 35 Abs. 6 BauGB gefasst.

Der räumliche Geltungsbereich der Außenbereichssatzung umfasst die bebauten Grundstücke beidseits der Selmsdorfer Straße Nr. 4 bis Nr. 10 sowie die unbebauten Grundstücke zwischen der Selmsdorfer Straße Nr. 9 und Nr. 10.

Die Grenzen des räumlichen Geltungsbereiches der Außenbereichssatzung sind dem nachfolgenden Übersichtsplan zu entnehmen.

Der Aufstellungsbeschluss wird hiermit gemäß § 2 Abs. 1 Satz 2 BauGB ortsüblich bekannt gemacht.

Übersichtsplan

Quelle: Auszug aus ALKIS-2021-03, Zweckverband Grevesmühlen

Öffentlichkeitsbeteiligung

Der von der Stadtvertretung der Stadt Schönberg in der Sitzung am 23.02.2023 gebilligte und zur Auslegung bestimmte Entwurf der Außenbereichssatzung für den Bereich Bauhof West und der Entwurf der Begründung liegen gemäß § 35 Abs. 6 i.V.m. § 13 Abs. 2 Satz 1 Nr. 2 und § 3 Abs. 2 BauGB in der Zeit

vom 13.04.2023 bis einschließlich 16.05.2023

im Amt Schönberger Land, Dassower Straße 4, Fachbereich IV - Bauen und Gemeindeentwicklung, 1. OG, an der Aushangtafel, 23923 Schönberg während folgender Öffnungszeiten:

-

Montag - Donnerstag:

von 09:00 Uhr bis 12:00 Uhr

-

Dienstag und Donnerstag:

von 14:00 Uhr bis 18:00 Uhr.

sowie nach vorheriger Vereinbarung zu anderen Zeiten zur Einsichtnahme öffentlich aus.

Während dieser Auslegungsfrist können die Planunterlagen eingesehen sowie Stellungnahmen hierzu schriftlich abgeben werden. Darüber hinaus besteht die Möglichkeit, Stellungnahmen während der angegebenen Zeiten bei oben genannter Stelle zur Niederschrift vorzubringen.

-

Postanschrift des Amtes: Amt Schönberger Land, Dassower Straße 4 in 23923 Schönberg

-

E-Mail: g.kortas-holzerland@schoenberger-land.de oder s.mueller@schoenberger-land.de

-

Telefonnummer: 038828 330-1411 (Frau Müller)

-

Fax: 038828 330-2400 oder 038828 330-2411

Es wird darauf hingewiesen, dass gemäß § 3 Abs. 2 Satz 2 BauGB nicht fristgerecht abgegebene Stellungnahmen bei der Beschlussfassung über die Außenbereichssatzung der Stadt Schönberg unberücksichtigt bleiben können, sofern die Stadt Schönberg deren Inhalt nicht kannte und nicht hätte kennen müssen und deren Inhalt für die Rechtmäßigkeit der Außenbereichssatzung nicht von Bedeutung ist.

Gemäß § 3 Abs. 1 Satz 2 BauGB wird darauf hingewiesen, dass auch Kinder und Jugendliche Teil der Öffentlichkeit sind.

Zusätzlich sind gemäß § 4a Abs. 4 BauGB der Inhalt dieser Bekanntmachung und die nach § 3 Abs. 2 Satz 1 BauGB auszulegenden Unterlagen in das Internet unter der Adresse www.schoenberger-land.de/Bekanntmachungen/Auslegungen und in das zentrale Internetportal des Landes Mecklenburg-Vorpommern (Bau- und Planungsportal M-V) zur Einsichtnahme für den Zeitraum der Öffentlichkeitsbeteiligung eingestellt und der Öffentlichkeit zugänglich gemacht.

Hinweise zum Datenschutz

Auf die Datenschutzerklärung des Amtes Schönberger Land wird hingewiesen http://www.schoenberger-land.de/Datenschutzerklärung.

Diese Bekanntmachung ist auch auf der Internetseite des Amtes Schönberger Land unter https://www.schoenberger-land.de/Bekanntmachungen einsehbar.

Schönberg, den 21.03.2023

gez. Stephan Korn

(Siegel)

Bürgermeister der Stadt Schönberg

Im Internet unter www.schoenberger-land.de/Bekanntmachungen mit Ablauf des 23.03.2023 bekannt gemacht.