Titel Logo
Uns Dörper
Ausgabe 15/2023
Gemeinde Groß Rönnau
Zurück zur vorigen Seite
Zurück zur ersten Seite der aktuellen Ausgabe

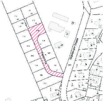
Widmungsverfügung

Gemäß § 6 Absatz 1 des Straßen- und Wegegesetzes des Landes Schleswig-Holstein (StrWG) vom 25.11.2003 in der derzeit geltenden Fassung wird nach Beschlussfassung der Gemeindevertretung Groß Rönnau vom 15.06.2023 nachstehende Verkehrsfläche dem öffentlichen Verkehr gewidmet:

Die bezeichnete Fläche ist in dem dieser Widmungsverfügung beigefügten Lageplan dargestellt.

Die Einstufung der vorgenannten Straße erfolgt gemäß § 3 Abs. 1, Ziffer 3 a StrWG als Gemeindestraße (Ortsstraße).

Die Widmungsverfügung wird am Tage nach der Bekanntmachung wirksam.

Rechtsbehelfsbelehrung

Gegen diese Verfügung kann innerhalb eines Monats nach Bekanntgabe beim Amtsvorsteher des Amtes Trave-Land, Waldemar-von-Mohl-Str. 10, 23795 Bad Segeberg Widerspruch erhoben werden.

Gemeinde Groß Rönnau, 11.07.2023

Die Bürgermeisterin
gez. Hamann

Anlage zur Widmungsverfügung vom 11.07.2023