Titel Logo
Informationen aus dem Amt Kirchspielslandgemeinden Eider
Ausgabe 5/2026
Amtlicher Teil
Zurück zur vorigen Seite
Zurück zur ersten Seite der aktuellen Ausgabe

Örtliche Bekanntmachung der Gemeinde Tellingstedt

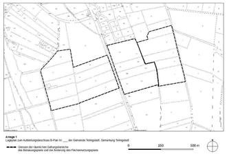
Öffentlichkeitsbeteiligung und Beteiligung von Kindern und Jugendlichen zur Aufstellung der 15. Änderung des Flächennutzungsplanes der Gemeinde Tellingstedt (Solarpark Südermühle) für das Gebiet "östlich des Mühlenbaches, südlich der Straße Südermühle sowie des Gewerbegebietes, nördlich des Vorranggebietes für Windkraft sowie westlich der Weide Oesterborstel"

Die Gemeinde Tellingstedt beabsichtigt die Aufstellung der 15. Änderung des Flächennutzungsplanes der Gemeinde Tellingstedt (Solarpark Südermühle) für das Gebiet "östlich des Mühlenbaches, südlich der Straße Südermühle sowie des Gewerbegebietes, nördlich des Vorranggebietes für Windkraft sowie westlich der Weide Oesterborstel".

Ziel der Planung ist die Ausweisung eines Sondergebietes zur Errichtung einer Photovoltaikfreiflächenanlage.

Gemäß § 3 Baugesetzbuch ist die Öffentlichkeit möglichst frühzeitig über die allgemeinen Ziele und Zwecke der Planung zu unterrichten; ihnen ist Gelegenheit zur Äußerung und Erörterung zu geben. Die Gemeinde Tellingstedt lädt daher alle an der Bauleitplanung Interessierten (hierzu zählen nicht nur Erwachsene sondern auch Kinder und Jugendliche) zu einer öffentlichen Versammlung am

Donnerstag, den 19. März 2026, um 19.00 Uhr,

im Cafe Snövit, Hauptstraße 20, 25782 Tellingstedt

ein.

Im Rahmen dieser Versammlung wird nach Darlegung der Ziele und Zwecke der Planvorstellungen der Gemeinde Tellingstedt allen Interessierten Gelegenheit zur Äußerung und Erörterung gegeben. Erste Planungsunterlagen können bei dieser Versammlung eingesehen werden. Es wird darauf aufmerksam gemacht, dass diese Bürgerbeteiligung nur einmal durchgeführt wird. Nach entsprechender Beschlussfassung durch die Gemeindevertretung schließt sich zu einem späteren Zeitpunkt das öffentliche Auslegungsverfahren an, in dem ebenfalls Anregungen von jedermann vorgebracht werden können.

Hennstedt, 03.02.2026

Amt Kirchspielslandgemeinden Eider
Der Amtsdirektor
Im Auftrag
Gez. Hans Maaßen

Veröffentlicht im Info-Blatt des Amtes KLG Eider Nr. 5 am 06.03.2026 sowie auf der Internetseite des Amtes KLG – Amtliche Bekanntmachungen