Titel Logo
Informationen aus dem Amt Kirchspielslandgemeinden Eider
Ausgabe 6/2024
Amtlicher Teil
Zurück zur vorigen Seite
Zurück zur ersten Seite der aktuellen Ausgabe

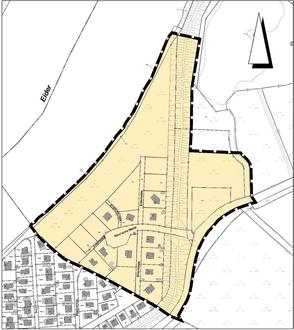
Örtliche Bekanntmachung der Gemeinde Bergewöhrden

Beschluss der 3. Änderung des Bebauungsplanes Nr. 1 der Gemeinde Bergewöhrden

Die Gemeindeversammlung der Gemeinde Bergewöhrden hat in ihrer Sitzung am 12.12.2023 für das Gebiet „Wochenendhausgebiet Bergewöhrden an der Eider – Siemsche Weide“ die 3. Änderung des Bebauungsplanes Nr. 1, bestehend aus dem Text (Teil B), als Satzung beschlossen. Dies wird hiermit bekannt gemacht.

Der Landrat des Kreises Dithmarschen hat mit Bescheid vom 26.02.2024, Az.: 221/31 die von der Gemeindeversammlung in der Sitzung am 12.12.2023 als Satzung beschlossene 3. Änderung des Bebauungsplanes Nr. 1, bestehend aus dem Text (Teil B), genehmigt.

Die Erteilung der Genehmigung wird hiermit bekannt gemacht.

Der Bebauungsplan tritt mit Beginn des 23.03.2024 in Kraft. Alle Interessierten können den Bebauungsplan, die Begründung und die zusammenfassende Erklärung dazu von diesem Tage an in der Amtsverwaltung des Amtes KLG Eider in 25779 Hennstedt, Kirchspielsschreiber-Schmidt-Straße 1, Zimmer 32, während der Öffnungszeiten für den Publikumsverkehr einsehen und über den Inhalt Auskunft erhalten.

Zusätzlich wurden der B-Plan, die Begründung und die zusammenfassende Erklärung ins Internet unter der Adresse „www.amt-eider.de“ eingestellt.

Beachtliche Verletzungen der in § 214 Abs. 1 Nr. 1 bis 3 und Abs. 2 BauGB sowie nach § 214 Abs. 2 a BauGB für Bebauungspläne der Innenentwicklung bezeichneten Vorschriften werden unbeachtlich, wenn sie nicht innerhalb eines Jahres seit dieser Bekanntmachung schriftlich gegenüber dem Amt / der Gemeinde geltend gemacht worden sind. Dasselbe gilt für die nach § 214 Abs. 3 Satz 2 BauGB beachtlichen Mängel des Abwägungsvorgangs. Dabei ist der Sachverhalt, der die Verletzung oder den Mangel begründen soll, darzulegen (§ 215 Abs. 1 BauGB).

Auf die Vorschriften des § 44 Abs. 3 Satz 1 und 2 sowie Abs. 4 BauGB über die fristgemäße Geltendmachung etwaiger Entschädigungsansprüche für Eingriffe durch diesen B-Plan in eine bisher zulässige Nutzung und über das Erlöschen von Entschädigungsansprüchen wird hingewiesen.

Unbeachtlich ist zudem eine Verletzung der in § 4 Abs. 3 GO bezeichneten landesrechtlichen Formvorschriften über die Ausfertigung und Bekanntmachung der B-Plan-Satzung sowie eine Verletzung von Verfahrens- und Formvorschriften der Gemeindeordnung, wenn sie nicht schriftlich innerhalb eines Jahres seit Bekanntmachung der Satzung gegenüber dem Amt / der Gemeinde unter Bezeichnung der verletzten Vorschrift und der Tatsache, die die Verletzung ergibt, geltend gemacht worden ist.

Hennstedt, 04.03.2024

Amt Kirchspielslandgemeinden Eider
Der Amtsdirektor
Im Auftrag
Carsten Johannsen

Veröffentlicht Im Info-Blatt des Amtes KLG Eider Nr. 6 am 22.03.2024 sowie auf der Homepage des Amtes KLG Eider unter Amt KLG Eider – Wirtschaft und Verkehr – Bauen im Amtsbereich – Gemeinde Bergewöhrden – Bebauungspläne.