Titel Logo
Informationen aus dem Amt Kirchspielslandgemeinden Eider
Ausgabe 8/2023
Amtlicher Teil
Zurück zur vorigen Seite
Zurück zur ersten Seite der aktuellen Ausgabe

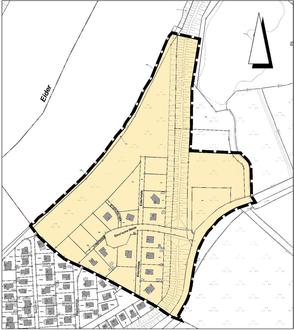
Aufstellung der 3. vereinfachten Änderung des Bebauungsplanes Nr. 1 der Gemeinde Bergewöhrden

Örtliche Bekanntmachung der Gemeinde Bergewöhrden

Aufstellung der 3. vereinfachten Änderung des Bebauungsplanes Nr. 1 der Gemeinde Bergewöhrden

Die Gemeindeversammlung der Gemeinde Bergewöhrden hat in ihrer Sitzung am 16.03.2023 beschlossen, für das Gebiet „Wochenendhausgebiet Bergewöhrden an der Eider - Siemsche Weide“ die 3. Vereinfachte Änderung des Bebauungsplanes Nr. 1 aufzustellen. Es ist beabsichtigt, die Grundflächenzahl für Wochenendhäuser von 60 qm auf 70 qm zuzulassen und den Höhenbezugspunkt zu verändern.

Dieser Beschluss wird hiermit bekanntgemacht.

Hennstedt, 28.03.2023

Amt Kirchspielslandgemeinden Eider
Der Amtsdirektor
Im Auftrag
Hans Maaßen

Veröffentlicht Im Info-Blatt des Amtes KLG Eider Nr. 8 am 21.04.2023 sowie auf der Homepage des Amtes KLG Eider - Amtliche Bekanntmachungen