Titel Logo
Aktuelles aus der VG Betzdorf-Gebhardshain, Ausgabe Betzdorf
Ausgabe 1/2025
Ortsgemeinde Alsdorf
Zurück zur vorigen Seite
Zurück zur ersten Seite der aktuellen Ausgabe

Widmungsverfügung Hellerstraße

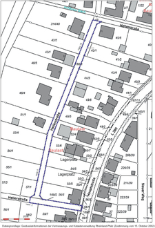
Aufgrund des § 36 des Landesstraßengesetzes für das Land Rheinland-Pfalz (LStrG-RP) und des Beschlusses des Ortsgemeinderates der Ortsgemeinde Alsdorf vom 12.12.2024 wird folgende Straße in der Ortsgemeinde Alsdorf als Gemeindestraße dem öffentlichen Verkehr gewidmet und erstreckt sich auf folgendes Flurstück: Gemarkung Alsdorf, Flur 2, Flurstück 168/3 (teilweise), 169/2 (teilweise), „Hellerstraße“

Ohne Beschränkung der Nutzungsart

Durch diese Widmung erhalten die vorerwähnten Verkehrsanlagen die Eigenschaft einer öffentlichen Straße i.S. des § 1 Abs. 2 LStrG. Der Gebrauch der Straße ist nach § 34 LStrG jedermann im Rahmen dieser Widmung und der Verkehrsvorschriften gestattet (Gemeingebrauch).

Die Verkehrsanlage „Hellerstraße“ ist entsprechend ihrer Verkehrsbedeutung eine Gemeindestraße, die überwiegend dem örtlichen Verkehr dient (§ 3 Nr. 3a LStrG).

Der Träger der Straßenbaulast ist nach § 14 LStrG die Ortsgemeinde Alsdorf.

Die Verkehrsfläche ist in einem Lageplan, welcher Bestandteil dieser Widmung ist, mit einer gepunkteten Linie markiert und nachfolgend abgebildet.

Die Widmungsverfügung mit dem zugehörigen Lageplan, aus dem die Lage der gewidmeten Flächen ersichtlich ist, liegt im Zeitraum von Montag 13. Januar bis Freitag 24. Januar 2025, bei der Verbandsgemeindeverwaltung Betzdorf-Gebhardshain, Rathausplatz 1, 57580 Gebhardshain, Fachbereich Bauen, während der Dienstzeiten vormittags: Montag bis Freitag von 9 Uhr bis 12 Uhr und nachmittags: Montag bis Donnerstag von 14 Uhr bis 16 Uhr, oder aber auch nach einer besonderen Vereinbarung, zu jedermanns Einsicht öffentlich aus.

Rechtsbehelfsbelehrung:

Gegen diese Allgemeinverfügung kann innerhalb eines Monats nach Bekanntgabe Widerspruch erhoben werden. Der Widerspruch ist bei der Verbandsgemeindeverwaltung Betzdorf-Gebhardshain, Hellerstraße 2, 57518 Betzdorf (hilfsweise kann dies auch im Rathaus Gebhardshain, Rathausplatz 1, 57580 Gebhardshain erfolgen) einzulegen. Der Widerspruch kann

  1. schriftlich oder zur Niederschrift sowie
  2. durch E-Mail mit qualifizierter elektronischer Signatur an: vg-bg@poststelle.rlp.de erhoben werden.

Bei der Verwendung der elektronischen Form sind besondere technische Rahmenbedingungen zu beachten, die im Internet unter https://www.vg-bg.de/buergernah/verwaltung/elektronische-kommunikation/ aufgeführt sind.

Betzdorf, den 13.12.2024

Verbandsgemeindeverwaltung

Betzdorf-Gebhardshain

Joachim Brenner, Bürgermeister