Titel Logo
Aktuelles aus der VG Betzdorf-Gebhardshain, Ausgabe Betzdorf
Ausgabe 21/2025
Ortsgemeinde Alsdorf
Zurück zur vorigen Seite
Zurück zur ersten Seite der aktuellen Ausgabe

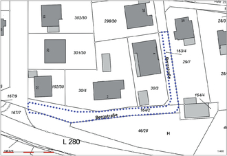
Widmungsverfügung Bergstraße

Aufgrund des § 36 des Landesstraßengesetzes für das Land Rheinland-Pfalz (LStrG-RP) und des Beschlusses des Ortsgemeinderates der Ortsgemeinde Alsdorf vom 29.04.2025 wird folgende Straße in der Ortsgemeinde Alsdorf als Gemeindestraße dem öffentlichen Verkehr gewidmet:

„Bergstraße“

Die Widmung erstreckt sich auf folgende Flurstücke:

Gemarkung Alsdorf, Flur 2 Flurstücke 163/4 (teilweise), 164/2 (teilweise), 167/6 (teilweise),

Ohne Beschränkung der Nutzungsart

Durch diese Widmung erhalten die vorerwähnten Verkehrsanlagen die Eigenschaft einer öffentlichen Straße i.S. des § 1 Abs. 2 LStrG. Der Gebrauch der Straße ist nach § 34 LStrG jedermann im Rahmen dieser Widmung und der Verkehrsvorschriften gestattet (Gemeingebrauch).

Die Verkehrsanlage „Bergstraße“ ist entsprechend ihrer Verkehrsbedeutung eine Gemeindestraße, die überwiegend dem örtlichen Verkehr dient (§ 3 Nr. 3a LStrG).

Der Träger der Straßenbaulast ist nach § 14 LStrG die Ortsgemeinde Alsdorf.

Die Verkehrsfläche ist in einem Lageplan, welcher Bestandteil dieser Widmung ist, gepunktet markiert und nachfolgend abgebildet.

Die Widmungsverfügung mit dem zugehörigen Lageplan, aus dem die Lage der gewidmeten Flächen ersichtlich ist, liegt im Zeitraum von Montag 26. Mai 2025 bis Freitag 06. Juni 2025, bei der Verbandsgemeindeverwaltung Betzdorf-Gebhardshain, Rathausplatz 1, 57580 Gebhardshain, Fachbereich Bauen, während der Dienstzeiten vormittags: Montag bis Freitag von 9 Uhr bis 12 Uhr und nachmittags: Montag bis Donnerstag von 14 Uhr bis 16 Uhr, oder aber auch nach einer besonderen Vereinbarung, zu jedermanns Einsicht öffentlich aus.

Rechtsbehelfsbelehrung:

Gegen diesen Bescheid kann innerhalb eines Monats nach Bekanntgabe Widerspruch bei der Verbandsgemeindeverwaltung Betzdorf-Gebhardshain, Hellerstraße 2, 57518 Betzdorf, schriftlich, in elektronischer Form nach § 3a Abs. 2 Verwaltungsverfahrensgesetz (VwVfG), schriftformersetzend nach § 3a Abs. 3. VwVfG und § 9a Abs. 5 Onlinezugangsgesetz (OZG) oder zur Niederschrift erhoben werden.

Bei der Verwendung der elektronischen Form sind besondere technische Rahmenbedingungen zu beachten, die im Internet unter https://www.vg-bg.de/buergernah/verwaltung/elektronische-kommunikation/ aufgeführt sind.

Betzdorf, den 12.05.2025
Verbandsgemeindeverwaltung
Betzdorf-Gebhardshain
Joachim Brenner, Bürgermeister