Titel Logo
Aktuelles aus der VG Betzdorf-Gebhardshain, Ausgabe Betzdorf
Ausgabe 23/2024
Ortsgemeinde Alsdorf
Zurück zur vorigen Seite
Zurück zur ersten Seite der aktuellen Ausgabe

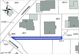
Widmungsverfügung Finkenweg sowie Verbindungsweg Finkenweg-Lerchenweg

Aufgrund des § 36 des Landesstraßengesetzes für das Land Rheinland-Pfalz (LStrG-RP) und des Beschlusses des Ortsgemeinderates der Ortsgemeinde Alsdorf vom 06.05.2024 wird folgende Straße in der Ortsgemeinde Alsdorf als Gemeindestraße/Gehweg dem öffentlichen Verkehr gewidmet und erstreckt sich auf folgende Flurstücke:

Gemarkung Alsdorf,

Flur 6, Flurstück 303/5 (teilweise), 305/1,

„Finkenweg“

Ohne Beschränkung der Nutzungsart

(gemäß § 3 Nr. 3a des Landesstraßengesetzes Rheinland-Pfalz)

Gemarkung Alsdorf,

Flur 6, Flurstück 303/5 (teilweise).

„Verbindungsweg Finkenweg-Lerchenweg“

Mit Beschränkung auf die Nutzungsart Gehweg

(gemäß § 3 Nr. 3b aa des Landesstraßengesetzes Rheinland-Pfalz).

Durch diese Widmung erhalten die vorerwähnten Verkehrsanlagen die Eigenschaft einer öffentlichen Straße i.S. des § 1 Abs. 2 LStrG. Der Gebrauch der Straße ist nach § 34 LStrG jedermann im Rahmen dieser Widmung und der Verkehrsvorschriften gestattet (Gemeingebrauch).

Die Verkehrsanlage „Finkenweg“ sowie „Verbindungsweg Finkenweg-Lerchenweg“ ist entsprechend ihrer Verkehrsbedeutung eine Gemeindestraße/Gehweg und dienen überwiegend dem örtlichen Verkehr.

Der Träger der Straßenbaulast ist nach § 14 LStrG die Ortsgemeinde Alsdorf.

Die Verkehrsflächen sind in zwei Lageplänen, welche Bestandteil dieser Widmung sind, gestrichelt markiert und nachfolgend abgebildet.

Die Widmungsverfügung mit dem zugehörigen Lageplan, aus dem die Lage der gewidmeten Flächen ersichtlich ist, liegt im Zeitraum von Dienstag 11. Juni bis Montag 24. Juni 2024, bei der Verbandsgemeindeverwaltung Betzdorf-Gebhardshain, Rathausplatz 1, 57580 Gebhardshain, Fachbereich Bauen, während der Dienstzeiten vormittags: Montag bis Freitag von 9 Uhr bis 12 Uhr und nachmittags: Montag bis Donnerstag von 14 Uhr bis 16 Uhr, oder aber auch nach einer besonderen Vereinbarung, zu jedermanns Einsicht öffentlich aus.

Rechtsbehelfsbelehrung:

Gegen diese Allgemeinverfügung kann innerhalb eines Monats nach Bekanntgabe Widerspruch erhoben werden. Der Widerspruch ist bei der Verbandsgemeindeverwaltung Betzdorf-Gebhardshain, Hellerstraße 2, 57518 Betzdorf (hilfsweise kann dies auch im Rathaus Gebhardshain, Rathausplatz 1, 57580 Gebhardshain erfolgen) einzulegen. Der Widerspruch kann

  1. schriftlich oder zur Niederschrift sowie
  2. durch E-Mail mit qualifizierter elektronischer Signatur an: vg-bg@poststelle.rlp.de erhoben werden.

Bei der Verwendung der elektronischen Form sind besondere technische Rahmenbedingungen zu beachten, die im Internet unter https://www.vg-bg.de/buergernah/verwaltung/elektronische-kommunikation/ aufgeführt sind.

Betzdorf, den 27. Mai 2024

Verbandsgemeindeverwaltung Betzdorf-Gebhardshain

i.V. Joachim Brenner, Erster Beigeordneter