Titel Logo
Aktuelles aus der VG Betzdorf-Gebhardshain, Ausgabe Betzdorf
Ausgabe 30/2023
Stadt Betzdorf
Zurück zur vorigen Seite
Zurück zur ersten Seite der aktuellen Ausgabe

Widmungsverfügung Birkenstraße

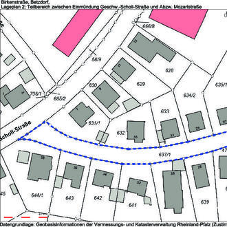
Birkenstraße

Aufgrund des § 36 des Landesstraßengesetzes für das Land Rheinland-Pfalz (LStrG-RP) und des Beschlusses des Stadtrates Betzdorf vom 12.07.2023 wird folgende Straße in der Stadt Betzdorf als Gemeindestraße dem öffentlichen Verkehr gewidmet: „Birkenstraße“

Die Widmung erstreckt sich auf folgende Flurstücke: Ohne Beschränkung der Nutzungsart

-Gemeindestraße-

Gemarkung Betzdorf,Flur 9, Flurstücke 77/4, 77/5 (teilweise), 78 (teilweise), 83/1, 84/2,100 (teilweise), 162, 166/1, 167/1, 171, 174/1, 178, 179, 182, 183,186, 187 (teilweise), 304/1 (teilweise), 311/2, 314 (teilweise), und 637/1, = Birkenstraße.

Durch diese Widmung erhält die vorerwähnte Verkehrsanlage die Eigenschaft einer öffentlichen Straße i.S. des § 1 Abs. 2 LStrG. Der Gebrauch der Straße ist nach § 34 LStrG jedermann im Rahmen dieser Widmung und der Verkehrsvorschriften gestattet (Gemeingebrauch).

Die Verkehrsanlage „Birkenstraße“ ist entsprechend ihrer Verkehrsbedeutung eine Gemeindestraße, die überwiegend dem örtlichen Verkehr dient (§ 3 Nr. 3a LStrG).

Der Träger der Straßenbaulast ist nach § 14 LStrG die Stadt Betzdorf.

Die Verkehrsfläche ist in zwei Lageplänen, welche Bestandteil dieser Widmung sind, gestrichelt markiert und nachfolgend abgebildet.

Die Widmungsverfügung mit den zugehörigen Lageplänen, aus denen die Lage der gewidmeten Flächen ersichtlich ist, liegt im Zeitraum von Montag 31.07.2023, bis Freitag 11. August 2023, bei der Verbandsgemeindeverwaltung Betzdorf-Gebhardshain, Rathausplatz 1, 57580 Gebhardshain, Fachbereich Bauen, während der Dienstzeiten vormittags: Montag bis Freitag von 9 Uhr bis 12 Uhr und nachmittags: Montag bis Donnerstag von 14 Uhr bis 16 Uhr, oder aber auch nach einer besonderen Vereinbarung, zu jedermanns Einsicht öffentlich aus.

Hinweis:

Zur Einsichtnahme in die Planunterlagen bitten wir um eine vorherige Terminvereinbarung mit Herrn Ulrich Peter, Telefon 02741/291-320, E-Mail ulrich.peter@vg-bg.de oder Herrn Martin Schäfer, Telefon 02741/291-310, E-Mail martin.schaefer@vg-bg.de.

Rechtsbehelfsbelehrung:

Gegen diese Allgemeinverfügung kann innerhalb eines Monats nach Bekanntgabe Widerspruch erhoben werden. Der Widerspruch ist bei der Verbandsgemeindeverwaltung Betzdorf-Gebhardshain, Hellerstraße 2, 57518 Betzdorf (hilfsweise kann dies auch im Rathaus Gebhardshain, Rathausplatz 1, 57580 Gebhardshain erfolgen) einzulegen. Der Widerspruch kann

  1. schriftlich,
  2. in elektronischer Form nach § 3 a Absatz 2 des Verwaltungsverfahrensgesetzes, oder
  3. zur Niederschrift

erhoben werden.

Betzdorf, den 24.07.2023
Verbandsgemeindeverwaltung Betzdorf-Gebhardshain
Bernd Brato, Bürgermeister