Titel Logo
Mitteilungsblatt der Verbandsgemeinde Daaden-Herdorf
Ausgabe 36/2025
Friedewald
Zurück zur vorigen Seite
Zurück zur ersten Seite der aktuellen Ausgabe

2. Änderung des Bebauungsplanes „Gewerbegebiet Nisterberger Weg“ der Ortsgemeinde Friedewald im Vereinfachten Verfahren gem. § 13 BauGB

I. Planänderungsbeschluss

II. Öffentliche Auslegung gem. § 3 Abs. 2 Baugesetzbuch (BauGB)

von Montag, 08.09.2025 bis Montag, 13.10.2025 (einschließlich)

I. Planänderungsbeschluss

Der Ortsgemeinderat Friedewald hat in seiner Sitzung am 01.03.2023 die 2. Änderung des Bebauungsplanes „Gewerbegebiet Nisterberger Weg“ im Vereinfachten Verfahren gem. § 13 BauGB beschlossen. Gemäß § 2 Abs. 1 Satz 2 BauGB wird dieser Änderungsbeschluss hiermit ortsüblich bekanntgemacht.

Ziel der Planänderung:

Auf dem Grundstück Gemarkung Friedewald, Flur 3, Flurstück-Nr. 131/17 (tlw.) soll durch einen Investor eine Mobilfunkanlage mit der dazugehörigen Versorgungseinheit errichtet werden. Mit der vorliegenden

2. Änderung des Bebauungsplanes sollen die planungsrechtlichen Voraussetzungen hierfür geschaffen werden. Die 2. Änderung des Bebauungsplanes sieht die Verlegung einer 629 m² großen Teilfläche der

im Bebauungsplan „Gewerbegebiet Nisterberger Weg“ festgesetzten Ausgleichsfläche „E III 3“ in der Gemarkung Friedewald, Flur 3, Flurstück 131/17 vor, die durch die geplante Mobilfunkanlage beansprucht wird.

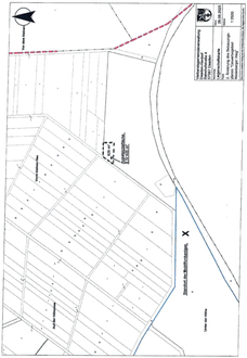
Geltungsbereich des Bebauungsplanes:

Der räumliche Geltungsbereich der 2. Änderung des Bebauungsplanes „Gewerbegebiet Nisterberger Weg“ umfasst die im Übersichtsplan umgrenzte Fläche.

II. Öffentliche Auslegung

Im vereinfachten Verfahren kann von der frühzeitigen Unterrichtung und Erörterung nach § 3 Abs. 1 und § 4 Abs. 1 BauGB abgesehen werden. In Anwendung des Vereinfachten Verfahrens erfolgt zudem keine Umweltprüfung und es wird kein Umweltbericht verfasst.

Gemäß § 3 Abs. 2 BauGB sind die Entwürfe der Bauleitpläne mit der Begründung und den nach Einschätzung der Gemeinde wesentlichen, bereits vorliegenden umweltbezogenen Stellungnahmen für die Dauer eines Monats, mindestens jedoch für die Dauer von 30 Tagen, oder bei Vorliegen eines wichtigen Grundes für die Dauer einer angemessenen längeren Frist zu veröffentlichen. Die entsprechend zu veröffentlichen Unterlagen sind in das Internet (Homepage der Verbandsgemeinde

Daaden-Herdorf) eingestellt und ebenso über das zentrale Internetportal des Landes „GeoPortal.rlp“ zugänglich. Auf der Homepage der Verbandsgemeinde Daaden-Herdorf sind die Planunterlagen (alle

im PDF- Format) unter www.daaden-herdorf.de (Bürgerservice {{gt}} Bauen & Umwelt {{gt}} Bebauungspläne {{gt}} Bebauungspläne im Verfahren) hinterlegt.

Im Zuge der Öffentlichen Auslegung liegen die Planunterlagen (Satzung nebst Übersichtsplan, Planzeichnung, Textliche Festsetzungen, Begründung, Eingriffs- und Ausgleichsplanung, FFH-Vorprüfung) zusätzlich in der Zeit von Montag, 08.09.2025 bis einschließlich Montag, 13.10.2025, bei der Verbandsgemeindeverwaltung Daaden-Herdorf, Bahnhofstraße 4, 57567 Daaden (Fachbereich 3 - Bauen und Umwelt, 1. OG, Zimmer 106), von Montag bis Mittwoch 08:00 Uhr bis 12:00 Uhr und 13:30 Uhr bis 16:00 Uhr, Donnerstag 08:00 Uhr bis 12:00 Uhr und 14:00 Uhr bis 18:00 Uhr, Freitag 08:00 Uhr bis 12:00 Uhr, zu jedermanns Einsicht öffentlich aus.

Alle DIN-Normen und Vorschriften (Gesetze, Verordnungen, Erlasse), auf die in den Planunterlagen verwiesen wird, werden bei der Verbandsgemeindeverwaltung Daaden-Herdorf zu jedermanns Einsicht bereitgehalten.

Hinweise:

Während der öffentlichen Auslegung können Stellungnahmen zu der Planung schriftlich, mündlich, zur Niederschrift oder in sonstiger geeigneter Textform (z.B. Fax oder E-Mail) bei der Verbandsgemeindeverwaltung Daaden-Herdorf abgegeben werden. Vorzugsweise wird um Abgabe einer Stellungnahme auf elektronischem Wege gebeten.

Datenschutz:

Die Verarbeitung personenbezogener Daten erfolgt auf der Grundlage der Art. 6 Abs. 1 Buchstabe e DSGVO i. V. mit § 3 BauGB und dem LDSG RLP. Sofern Sie Ihre Stellungnahme ohne Absenderangaben abgeben, erhalten Sie keine Mitteilung über das Ergebnis der Prüfung Ihrer Stellungnahme.

Auf § 4a Abs. 5 BauGB wird hingewiesen, wonach Stellungnahmen, die im Verfahren der Öffentlichkeits- und Behördenbeteiligung nicht rechtzeitig abgegeben worden sind, grundsätzlich bei der Beschlussfassung über den Bebauungsplan unberücksichtigt bleiben können, sofern die Gemeinde/die Verbandsgemeinde deren Inhalt nicht kannte und nicht hätte kennen müssen und deren Inhalt für die Rechtmäßigkeit des Bauleitplans nicht von Bedeutung ist.

Friedewald, 04.09.2025
Ortsgemeinde Friedewald
Karl-Heinz Buhl
Ortsbürgermeister