hier: Erneute Beteiligung der Öffentlichkeit gem. § 4a Abs. 3 i.V.m. § 3 Abs. 2 Baugesetzbuch (BauGB)
Der Stadtrat Daaden hat in seiner öffentlichen Sitzung am 11.10.2023 beschlossen, eine erneute Beteiligung der Öffentlichkeit gem. § 4a Abs. 3 i.V.m. § 3 Abs. 2 BauGB durchzuführen.
Die Durchführung der erneuten Öffentlichkeitsbeteiligung ist erforderlich, da die Planunterlagen nach der ersten Offenlage, die im Zeitraum vom 06.03.2023 bis einschließlich 05.04.2023 durchgeführt wurde, hinsichtlich der Lage der externen Ausgleichsflächen geändert wurden.
Ziel der Planaufstellung:
Mit der vorliegenden Aufstellung des Bebauungsplanes sollen die planungsrechtlichen Voraussetzungen zur Errichtung einer Photovoltaik-Freiflächenanlage geschaffen werden.
Geltungsbereich des Bebauungsplanes:
Der Geltungsbereich des Bebauungsplanes befindet sich nordöstlich des „Hofes Silberberg“ und wird im Norden, Osten und Süden von einem Waldgürtel umschlossen, der die weiter östlich liegende Wohnbebauung von dem Vorhaben abgrenzt. Direkt westlich an das Plangebiet schließt eine Baumhecke an.
Das Änderungsgebiet betrifft ausschließlich das Grundstück in der Gemarkung Daaden, Flur 16, Flurstück-Nr. 3/3. Der Geltungsbereich des Bebauungsplanes ist im beigefügten Übersichtsplan dick gestrichelt umrandet.
Darüber hinaus werden im Rahmen der vorliegenden Aufstellung des Bebauungsplanes auf externen Flächen erforderliche Kompensationsmaßnahmen umgesetzt, um die mit den baulichen Maßnahmen einhergehenden erheblichen Beeinträchtigungen des Landschaftsbildes und/oder der Leistungs- und Funktionsfähigkeit des Naturhaushaltes zu kompensieren (§1a BauGB).
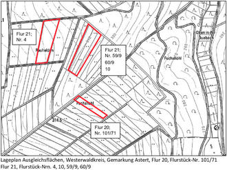
Der erforderliche Ausgleich erfolgt auf den nachfolgenden Grundstücken:
• Gemarkung Daaden, Flur 2, Flurstück-Nr. 119/49
• Gemarkung Daaden, Flur 16, Flurstück-Nr. 4/2
• Gemarkung Astert, Flur 20, Flurstück-Nrn. 19, 97/51, 101/71
• Gemarkung Astert, Flur 21, Flurstück-Nrn. 4, 10, 59/9, 60/9
Die jeweilige Lage der externen Flächen kann den beigefügten Übersichtsplänen entnommen werden.
Veröffentlichung der Planunterlagen:
Die Planunterlagen (Satzung nebst Übersichtsplänen, Planurkunde nebst Textlichen Festsetzungen, Vorhaben- und Erschließungsplan, Begründung, Umweltbericht mit integriertem landschaftspflegerischen Planungsbeitrag, Bestands- und Konfliktplan, Maßnahmenplan, Natura 2000-Vorprüfung, Faunistische Untersuchungen und Fachbeitrag Artenschutz) werden gemäß § 4a Abs. 3 S. 1 i.V.m. § 3 Abs. 2 BauGB von Montag, 06.11.2023, bis Montag, 20.11.2023 (einschließlich), im Internet unter www.daaden-herdorf.de (Bürgerservice > Bauen & Umwelt > Bebauungspläne > Bebauungspläne im Verfahren) veröffentlicht.
Darüber hinaus werden die Planunterlagen durch eine öffentliche Auslegung bei der Verbandsgemeindeverwaltung Daaden-Herdorf, Bahnhofstraße 4, 57567 Daaden (Fachbereich 3 - Bauen und Umwelt, 1. OG, Zimmer 106, von
Montag bis Mittwoch 08:00 Uhr bis 12:00 Uhr
und 13:30 Uhr bis 16:00 Uhr,
Donnerstag 08:00 Uhr bis 12:00 Uhr
und 14:00 Uhr bis 18:00 Uhr,
Freitag 08:00 Uhr bis 12:00 Uhr,
zu jedermanns Einsicht zugänglich gemacht (§ 3 Abs. 2 S. 2 BauGB).
Um unnötige Wartezeiten zu vermeiden, wird eine vorherige Terminvereinbarung empfohlen. Diesbezüglich können Sie sich gerne an den Fachbereich 3 - Bauen und Umwelt, wenden (Tel.: 02743-929 131).
Bestandteil der ausgelegten Unterlagen sind auch die bereits vorliegenden umweltbezogenen Stellungnahmen. Folgende Arten umweltbezogener Informationen i.S.d. § 3 Abs. 2 S. 3 BauGB sind verfügbar:
| Art der Umweltinformation/ Schutzgut | Quelle |
| 1. Begründung (Stand: Oktober 2023) mit Aussagen zu Maßnahmen und Flächen zum Schutz, zur Pflege und zur Entwicklung von Boden, Natur und Landschaft, Umweltprüfung, Immissionsschutz, Wald- und Forstwirtschaft, Wasserwirtschaft, Örtliche Gebietsprägungen und Klimaschutz 2. Umweltbericht (Stand: Oktober 2023) mit Aussagen zur Berücksichtigung umweltbezogener Auswirkungen auf die Schutzgüter Mensch, Tiere, Pflanzen inkl. biologischer Vielfalt, Biotope, Boden, Wasser, Fläche, Klima, Luft, Landschaft, Kultur- und sonstige Sachgüter sowie Wirkungsgefüge und Wechselwirkungen zwischen den Schutzgütern; Aussagen zu Schutzgebieten und gesetzlichem Biotopschutz; Darstellung der Umweltauswirkungen; Aussagen zum Artenschutz allgemein sowie Darstellung der naturschutzfachlichen Eingriffsregelung mit Darlegung der externen Ausgleichsflächen | Planunterlagen arrela Erneuerbare Energien Ulrike Günther Landschaftsarchitektur, Netphen-Deuz |
| 3. Naturschutz, Landschaftsbild Bestands- und Konfliktplan (Stand: August 2021) mit Darstellung des Zustandes von Natur und Landschaft Maßnahmenplan (Stand: August 2022) mit Darstellung der naturschutzfachlichen Maßnahmen zur Minimierung und zum Ausgleich der Eingriffsfläche Natura 2000-Vorprüfung (Stand: September 2021) mit Aussagen zu den Untersuchungen und Datengrundlagen, zur Biotopstruktur sowie der Avifauna des Gebietes; Auswirkungen der Planung | Planunterlagen Ulrike Günther Landschaftsarchitektur, Netphen-Deuz Ulrike Günther Landschaftsarchitektur, Netphen-Deuz Ulrike Günther Landschaftsarchitektur, Netphen-Deuz |
| Stellungnahmen mit Aussagen zum Umfang der Untersuchungen, Bewertung der Flächen, Ausgleichsflächen | Stellungnahmen Kreisverwaltung Altenkirchen vom 29.12.2020 und 03.04.2023, Dienstleistungszentrum Ländlicher Raum vom 27.01.2021 und 31.03.2023, Industrie- und Handelskammer Koblenz vom 14.01.2021, Naturschutzinitiative e.V. vom 08.01.2021, NABU Ortsgruppe Daaden vom 04.01.2021, Landwirtschaftskammer Rheinland-Pfalz vom 23.12.2020 und 28.03.2023, Forstamt Altenkirchen vom 16.12.2020, Verbandsgemeindeverwaltung Hachenburg vom 03.04.2023, Verbandsgemeindewerke Daaden vom 13.03.2023, Stellungnahme aus der Öffentlichkeit vom 21.03.2023 |
| 4. Artenschutz Fachbeitrag Artenschutz (Stand: November 2021) mit Darstellung der Wirkfaktoren und einer Relevanzprüfung, Maßnahmen zur Vermeidung, Bestandsdarstellung sowie Darlegung der Betroffenheit der relevanten Arten Faunistische Untersuchungen (Stand: November 2021) mit Untersuchung der Arten Vögel, Fledermäuse, Haselmaus und andere Bilche, Ringelnatter, Erdkröte sowie Darstellung der jeweiligen Untersuchungsergebnisse | Planunterlagen Dr. René Kristen, Plan Ö, Biebertal Dr. René Kristen, Plan Ö, Biebertal |
| Stellungnahmen Kreisverwaltung Altenkirchen vom 29.12.2020 und 03.04.2023, Naturschutzinitiative e.V. vom 08.01.2021, NABU Ortsgruppe Daaden vom 04.01.2021 |
| 5. Immissionen und Emissionen Umweltbericht (Stand Oktober 2023) mit Aussagen zur Art und Menge sowie Vermeidung von Emissionen, Schadstoffen, Lärm, Erschütterung, Licht, Wärme und Strahlung | Planunterlagen Ulrike Günther Landschaftsarchitektur, Netphen-Deuz |
| Stellungnahmen Kreisverwaltung Altenkirchen vom 29.12.2020 und 03.04.2023, Dienstleistungszentrum Ländlicher Raum vom 27.01.2021, NABU Ortsgruppe Daaden vom 04.01.2021, Stellungnahme aus der Öffentlichkeit vom 05.01.2021 |
| 6. Boden, Baugrund, Altlasten | Stellungnahmen Kreisverwaltung Altenkirchen vom 29.12.2020 und 03.04.2023, Landesamt für Geologie und Bergbau vom 01.02.2021, Dienstleistungszentrum Ländlicher Raum vom 27.01.2021 und 31.03.2023, Naturschutzinitiative e.V. vom 08.01.2021, Struktur- und Genehmigungsdirektion Nord - Regionalstelle Wasserwirtschaft, Abfallwirtschaft, Bodenschutz vom 04.01.2021, Landwirtschaftskammer RLP vom 23.12.2020, Generaldirektion Kulturelles Erbe, Direktion Landesarchäologie, Außenstelle Koblenz vom 21.12.2020 und 20.03.2023 |
| 7. Wasserwirtschaft | Stellungnahmen Kreisverwaltung Altenkirchen vom 29.12.2020 und 03.04.2023, Naturschutzinitiative e.V. vom 08.01.2021, Struktur- und Genehmigungsdirektion Nord - Regionalstelle Wasserwirtschaft, Abfallwirtschaft, Bodenschutz vom 04.01.2021, Verbandsgemeindewerke Daaden vom 07.12.2020 und 13.03.2023 |
| 8. Forst / Wald | Stellungnahmen Kreisverwaltung Altenkirchen vom 29.12.2020, Naturschutzinitiative e.V. vom 08.01.2021, Forstamt Altenkirchen vom 16.12.2020 und 20.03.2023 |
| 9. Landschaftsbild | Stellungnahmen Industrie- und Handelskammer, Regionalstelle Altenkirchen vom 06.03.2023 |
| 10. Klima / Klimaschutz | Stellungnahmen Kreisverwaltung Altenkirchen vom 29.12.2020, Naturschutzinitiative e.V. vom 08.01.2021, Westerwald-Verein e.V. vom 05.04.2023 |
In Anwendung des § 3 Abs. 2 S. 3 BauGB sind der Inhalt der ortsüblichen Bekanntmachung und die nach § 3 Abs. 2 S. 1 BauGB zu veröffentlichen Unterlagen ebenso über das zentrale Internetportal des Landes „GeoPortal.rlp“ zugänglich.
Hinweise:
| • | Alle DIN-Normen und Vorschriften (Gesetze, Verordnungen, Erlasse), auf die in den Planunterlagen verwiesen wird, werden bei der Verbandsgemeindeverwaltung Daaden-Herdorf zu jedermanns Einsicht bereitgehalten. |
| • | Während der Dauer der Veröffentlichungsfrist können Stellungnahmen nur in Bezug auf die Änderung bzw. Ergänzung der Planunterlagen und ihre möglichen Auswirkungen abgegeben werden (§ 4a Abs. 3 S. 2 BauGB). Gemäß § 3 Abs. 2 S. 4 Nr. 2 BauGB sollen Stellungsnahmen elektronisch abgegeben werden (bauleitplanung@daaden-herdorf.de). Bei Bedarf können Stellungnahmen jedoch auch schriftlich, mündlich, zur Niederschrift oder in sonstiger geeigneter Textform (z.B. Fax) bei der Verbandsgemeindeverwaltung Daaden-Herdorf abgegeben werden. |
| • | Gemäß § 4a Abs. 3 S. 3 BauGB wird die Frist zur Abgabe einer Stellungnahme angemessen verkürzt. |
• Datenschutz:
Die Verarbeitung personenbezogener Daten erfolgt auf der Grundlage der Art. 6 Abs. 1 Buchstabe e DSGVO i. V. mit § 3 BauGB und dem LDSG RLP. Sofern Sie Ihre Stellungnahme ohne Absenderangaben abgeben, erhalten Sie keine Mitteilung über das Ergebnis der Prüfung Ihrer Stellungnahme.
• Nicht fristgerecht abgegebene Stellungnahmen können bei der Beschlussfassung über den Bebauungsplan unberücksichtigt bleiben, sofern die Stadt/Verbandsgemeinde deren Inhalt nicht kannte und nicht hätte kennen müssen und deren Inhalt für die Rechtmäßigkeit des Bauleitplans nicht von Bedeutung ist (§ 3 Abs. 2 Satz 4 Nr. 3 BauGB, § 4a Abs. 5 BauGB).