Titel Logo
Mitteilungsblatt der Verbandsgemeinde Daaden-Herdorf
Ausgabe 50/2023
Daaden
Zurück zur vorigen Seite
Zurück zur ersten Seite der aktuellen Ausgabe

Bekanntmachung - Satzungsbeschluss zum vorhabenbezogenen Bebauungsplan „Solarpark Silberberg“

Satzungsbeschluss zum vorhabenbezogenen Bebauungsplan „Solarpark Silberberg“

Der Stadtrat Daaden hat in seiner Sitzung am 06.12.2023 den vorhabenbezogenen Bebauungsplan „Solarpark Silberberg“ als Satzung beschlossen. Gemäß § 10 Abs. 3 Satz 1 Baugesetzbuch (BauGB) in der Fassung der Bekanntmachung vom 03.11.2017 (BGBl. I S. 3634), in der zur Zeit gültigen Fassung, wird dieser Beschluss hiermit ortsüblich bekanntgemacht.

Mit der heutigen Bekanntmachung tritt der vorhabenbezogene Bebauungsplan gem. § 10 Abs. 3 Satz 4 BauGB in Kraft.

Die Planunterlagen zu o.g. Bebauungsplan (Satzung nebst Übersichtsplänen, Planurkunde nebst Textlichen Festsetzungen, Vorhaben- und Erschließungsplan, Begründung, Umweltbericht mit integriertem landschaftspflegerischen Planungsbeitrag, Bestands- und Konfliktplan, Maßnahmenplan, Natura 2000-Vorprüfung, Faunistische Untersuchungen, Fachbeitrag Artenschutz und Zusammenfassende Erklärung) können während der Dienststunden von jedermann beim Fachbereich 3 (Bauen und Umwelt) der Verbandsgemeindeverwaltung Daaden-Herdorf, Bahnhofstraße 4, 57567 Daaden, Zimmer 108, eingesehen werden. Jede Person kann über den Inhalt des Bebauungsplanes Auskunft verlangen.

In Anwendung des § 10a Abs. 2 BauGB wird der in Kraft getretene Bebauungsplan mit der Begründung und zusammenfassenden Erklärung ergänzend auf der Homepage der Verbandsgemeinde Daaden-Herdorf unter www.daaden-herdorf.de (Bürgerservice > Bauen- und Umwelt > Bebauungspläne > Bebauungspläne rechtsverbindlich), eingestellt und darüber hinaus künftig auf dem zentralen Internetportal des Landes Rheinland-Pfalz „GeoPortal.rlp“ zugänglich gemacht.

Alle DIN-Normen und Vorschriften (Gesetze, Verordnungen, Erlasse), auf die in den Planunterlagen verwiesen wird, werden bei der Verbandsgemeindeverwaltung Daaden-Herdorf zu jedermanns Einsicht bereitgehalten.

Geltungsbereich des Bebauungsplanes:

Der Geltungsbereich des Bebauungsplanes befindet sich nordöstlich des „Hofes Silberberg“ und wird im Norden, Osten und Süden von einem Waldgürtel umschlossen, der die weiter östlich liegende Wohnbebauung von dem Vorhaben abgrenzt. Direkt westlich an das Plangebiet schließt eine Baumhecke an.

Das Änderungsgebiet betrifft ausschließlich das Grundstück in der Gemarkung Daaden, Flur 16, Flurstück-Nr. 3/3. Der Geltungsbereich des Bebauungsplanes ist im beigefügten Übersichtsplan dick gestrichelt umrandet.

Anmerkung:

Die zum Ausgleich der Eingriffe in Natur und Landschaft erforderlichen Ausgleichsflächen befinden sich auch außerhalb des Geltungsbereiches des vorhabenbezogenen Bebauungsplanes „Solarpark Silberberg“ (gem. § 1a Abs. 3 S. 4 BauGB).

Der erforderliche Ausgleich erfolgt auf den nachfolgenden Grundstücken:

  • Gemarkung Daaden, Flur 2, Flurstück-Nr. 119/49
  • Gemarkung Daaden, Flur 16, Flurstück-Nr. 4/2
  • Gemarkung Astert, Flur 20, Flurstück-Nrn. 19, 97/51, 101/71
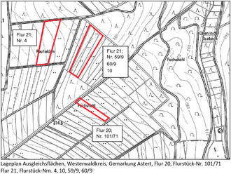
  • Gemarkung Astert, Flur 21, Flurstück-Nrn. 4, 10, 59/9, 60/9

Die jeweilige Lage der externen Flächen kann den beigefügten Übersichtsplänen entnommen werden.

Hinweise:

1.

Auf die Vorschriften des § 44 Abs. 3 Sätze 1 und 2 sowie Abs. 4 BauGB wird hingewiesen. Hiernach können Entschädigungsansprüche verlangt werden, wenn infolge des Bebauungsplanes die in den §§ 39 - 42 BauGB bezeichneten Vermögensnachteile eingetreten sind. Die Fälligkeit des Anspruches kann dadurch herbeigeführt werden, dass die Leistung der Entschädigung schriftlich beim Entschädigungspflichtigen (§ 44 Abs. 1 und 2 BauGB) beantragt wird. Der Entschädigungsanspruch erlischt, wenn nicht innerhalb von 3 Jahren nach Ablauf des Kalenderjahres, in dem der Vermögensnachteil eingetreten ist, die Fälligkeit des Anspruches herbeigeführt wird (§ 44 Abs. 4 BauGB).

2.

Nach § 215 Abs. 1 BauGB werden unbeachtlich:

a) eine nach § 214 Abs. 1 Satz 1 Nr. 1 bis 3 BauGB beachtliche Verletzung der dort bezeichneten Verfahrens- und Formvorschriften,

b) eine unter Berücksichtigung des § 214 Abs. 2 BauGB beachtliche Verletzung der Vorschriften über das Verhältnis des Bebauungsplanes und des Flächennutzungsplanes und

c) nach § 214 Abs. 3 Satz 2 BauGB beachtliche Mängel des Abwägungsvorgangs, wenn sie nicht innerhalb eines Jahres seit Bekanntmachung der Satzung schriftlich gegenüber der Verbandsgemeindeverwaltung Daaden, Bahnhofstraße 4, 57567 Daaden oder der Stadt Daaden (Anschrift wie Verbandsgemeindeverwaltung) unter Darlegung des die Verletzung begründenden Sachverhalts geltend gemacht worden sind. Satz 1 gilt entsprechend, wenn Fehler nach § 214 Abs. 2 a BauGB beachtlich sind.

3.

Gemäß § 24 Abs. 6 Gemeindeordnung für Rheinland-Pfalz (GemO) vom 31.01.1994 (GVBl. S. 153) einschl. der erfolgten Änderungen wird auf folgendes hingewiesen:

Satzungen, die unter Verletzung von Verfahrens- oder Formvorschriften dieses Gesetzes oder auf Grund dieses Gesetzes zustande gekommen sind, gelten ein Jahr nach der Bekanntmachung als von Anfang an gültig zustande gekommen. Dies gilt nicht, wenn

1.

die Bestimmungen über die Öffentlichkeit der Sitzung, die Genehmigung, die Ausfertigung oder die Bekanntmachung der Satzung verletzt worden sind, oder

2.

vor Ablauf der in Satz 1 genannten Frist die Aufsichtsbehörde den Beschluss beanstandet oder jemand die Verletzung der Verfahrens- oder Formvorschriften gegenüber der Verbandsgemeindeverwaltung Daaden-Herdorf, Bahnhofstraße 4, 57567 Daaden, unter Bezeichnung des Sachverhaltes, der die Verletzung begründen soll, schriftlich geltend gemacht hat.

Hat jemand eine Verletzung nach Satz 2 Nr. 2 geltend gemacht, so kann nach Ablauf der in Satz 1 genannten Frist jedermann diese Verletzung geltend machen.

Daaden, 14.12.2023  —  Stadt Daaden
Walter Strunk  —  Stadtbürgermeister