Titel Logo
Aktuell - Mitteilungsblatt für die VG Kirchen (Sieg)
Ausgabe 12/2026
Amtliche Bekanntmachungen
Zurück zur vorigen Seite
Zurück zur ersten Seite der aktuellen Ausgabe

Öffentliche Bekanntmachung – Aufstellung eines Bebauungsplans Nr. 34

Entwurf des Bebauungsplans Nr. 34 „Waldkindergarten Niederfischbach“

„Waldkindergarten Niederfischbach“ der Ortsgemeinde Niederfischbach

Förmliche Öffentlichkeitsbeteiligung gem. § 3 Abs. 2 Baugesetzbuch (BauGB)

Die Ortsgemeinde Niederfischbach beabsichtigt den Bebauungsplan Nr. 34 "Waldkindergarten Niederfischbach" aufzustellen. Gemäß § 3 Abs. 2 Baugesetzbuch (BauGB), sowie § 4 Abs. 2 BauGB wird die Öffentlichkeit über die allgemeinen Ziele und Zwecke der Planung, die voraussichtlichen Auswirkungen sowie über alternative Planungsmöglichkeiten informiert und bietet die Gelegenheit, sich zur Planung zu äußern und Anregungen vorzubringen.

Da die bestehende Darstellung im wirksamen Flächennutzungsplan der Verbandsgemeinde Kirchen der geplanten Nutzung nicht entspricht, erfolgt eine Anpassung des Flächennutzungsplans im Parallelverfahren gemäß § 8 Abs. 3 BauGB.

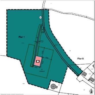
Planbereich:

Das Plangebiet befindet sich im Norden der Ortsgemeinde Niederfischbach, nördlich des Wohngebiets „Schulwäldchen“ und umfasst eine ehemalige Fichtenfläche, die infolge Absterbens mittlerweile mit jungen unterschiedlichen Gehölzen bewachsen ist. Südlich endet die Straße „Betzelseifen“ in einen Waldwirtschaftsweg, der künftig zur Erschließung des Plangebiets herangezogen werden soll.

Maßgebend ist der konkrete Geltungsbereich des Bebauungsplans:

Ziel des Bebauungsplans:

Mit der Aufstellung des Bebauungsplans sollen die planungsrechtlichen Voraussetzungen für die Errichtung eines Waldkindergartens in Blockhüttenbauweise geschaffen werden.

Hintergrund ist die Umsetzung des Kindertagesstättengesetzes (KiTaG), dass eine bedarfsgerechte und verlässliche Betreuung ab dem zweiten Lebensjahr vorsieht. Die Ortsgemeinde Niederfischbach möchte durch die Bereitstellung des Waldkindergartens das Wegfallen von bestehenden Plätzen zu verhindern und ein neues Angebot schaffen.

Die geplante Einrichtung soll ein naturbezogenes Betreuungsangebot bilden, bei dem sich die Betreuung und pädagogische Arbeit stärker an den Möglichkeiten und Erfahrungen orientieren, die eine naturnahe Umgebung bietet. Dabei können Elemente wie Bewegung im Freien, das Erleben von Naturkreisläufen oder kreativen Aktivitäten im Außenbereich eine Rolle spielen.

Geplant ist zunächst die Unterbringung einer Kindergartengruppe in einer Blockhütte. Der Bebauungsplan schafft außerdem die städtebauliche Grundlage, mittelfristig bei entsprechendem Bedarf eine zweite Blockhütte für eine weitere Gruppe zu ermöglichen. Die meiste Zeit sollen die Aktivitäten jedoch im Freien stattfinden.

Folgende Arten umweltbezogener Informationen sind gemäß § 3 Abs. 2 Satz 2 BauGB verfügbar:

1) Behördliche Eingaben:

Stellungnahme des Landesamtes für Geologie und Bergbau in Mainz mit Hinweisen auf die mögliche Betroffenheit des Plangebiets durch eine Überdeckung von den bereits erloschenen Bergwerksfeldern "Lust", "Nestor" und "Frohsinn II"; kein dokumentierter Altbergbau, jedoch Fundpunkt im südöstlichen Abschnitt, welcher außerhalb des Plangebietes liegt

Stellungnahme des Landesbetriebs Mobilität aus Diez mit Aussagen zu der verkehrlichen Erschließung über die Gemeindestraße „Betzelseifen“, welche über einen Waldwirtschaftsweg das Gelände anschließt und mit Aussagen bezüglich des Schutzes vor schädlichen Umwelteinwirkungen im Sinne des Bundesimmissionsschutzgesetzes und zu möglichen Lärmschutzmaßnahmen.

Stellungnahme der Kreisverwaltung Altenkirchen mit allgemeinen Ausführungen zur landesplanerischen, ortsplanerischen, abfallrechtlichen sowie naturschutzfachlichen Sichtweise auf das Bebauungsplanverfahren (keine grundsätzlichen Bedenken), Ausführungen zur Löschwasserversorgung, Hinweis der Denkmalschutzbehörde zur weiteren Beteiligung, sowie Hinweisen der Wasserbehörde bzgl. der Beseitigung von Oberflächenwasser und der Beachtung des Starkregenvorsorgekonzeptes (geringe bis mäßige Abflusskonzentration bei Starkregenereignissen).

2) Stellungnahmen aus der Öffentlichkeit:

Es liegen bislang keine Stellungnahmen aus der Öffentlichkeit vor.

3) Gutachten:

Entwurf; Begründung zum Bebauungsplan, Büro: Loth Städtebau und Stadtplanung, Siegen mit grundlegender Beschreibung der Ausgangssituation inklusive den umweltbezogenen Themen Schmutzwasser und Oberflächenwasser, Brandschutz, Natur, Landschaft und Umwelt im Plangebiet und in dessen Umfeld und Landschaftsplanung.

Artenschutzrechtliche Vorprüfung, Büro: Schmidt Freiraumplanung aus Hachenburg und MP.PLAN aus Betzdorf mit Aussagen zu den gegebenen ökologisch relevanten Strukturen, den vorkommenden Tieren und Pflanzen, bestehenden Lebensräumen, einer Entwicklungsprognose, der Beschreibung des geplanten Vorhabens und dessen Auswirkungen.

Natura 2000-Vorprüfung Büro: Schmidt Freiraumplanung aus Hachenburg und MP.PLAN aus Betzdorf mit einer Einschätzung, ob das geplante Vorhaben zu Beeinträchtigungen der Natura 2000-Gebieten führen kann.

Bewertung Biotyptypen, Büro: Schmidt Freiraumplanung aus Hachenburg und MP.PLAN aus Betzdorf mit einer Ausführung zu Biotoptypen, Ermittlung der Eingriffswirkung, Ausgleichs- und Kompensationskonzept und Vermeidungsmaßnahmen

Umweltbericht, Büro: Schmidt Freiraumplanung aus Hachenburg und MP.PLAN aus Betzdorf mit Ausführungen zur Beschreibung und Bewertung des Bestandes und voraussichtliche Umweltauswirkungen einschließlich der Maßnahmen zur Vermeidung, Verringerung und zum Ausgleich etc.

Formelle Öffentlichkeitsbeteiligung

Im Zuge der formellen Öffentlichkeitsbeteiligung nach § 3 Abs. 2 BauGB wird der Entwurf des Bebauungsplans Nr. 34 „Waldkindergarten Niederfischbach“ mit Begründung sowie mit den wesentlichen bereits vorliegenden Gutachten (ASP I- Artschutzprüfung, Natura 2000-Vorprüfung und der Fachbeitrags Naturschutz, sowie der Umweltbericht und den umweltbezogenen Informationen) in der Zeit von von Montag, den 23.03.2026 bis Montag, den 27.04.2026 während der üblichen Öffnungszeiten bei der nachfolgenden Stelle im Eingangsbereich des Rathauses ausgelegt und kann von der Öffentlichkeit eingesehen werden.

Verbandsgemeindeverwaltung Kirchen, Lindenstraße 1, 57548 Kirchen, Telefonnummer: 02741/688-0, Faxnummer: 02741/688-255, E-Mail-Adresse: vg-kirchen@kirchen-sieg.de

Die Öffnungszeiten belaufen sich üblicherweise montags bis donnerstags von 8:00 Uhr bis 12:00 Uhr und von 14:00 Uhr bis 16:00 Uhr sowie freitags von 8:00 Uhr bis 12:00 Uhr.

Neben der Möglichkeit der Einsichtnahme im Rathaus der Verbandsgemeinde Kirchen ist der Inhalt der ortsüblichen Bekanntmachung sowie die auszulegenden Unterlagen zusätzlich im Internet auf der Homepage der Verbandsgemeinde Kirchen unter der Internetadresse

https://www.kirchen-sieg.de/verwaltung-gremien/gemeinden/ortsgemeinde-niederfischbach abrufbar. („Beteiligungsverfahren der Bauleitplanung und der Satzung nach dem BauGB“)

Der Inhalt der ortsüblichen Bekanntmachung sowie die auszulegenden Unterlagen sind zudem gemäß § 4a Abs. 4 BauGB über das zentrale Internetportal des Landes Rheinland-Pfalz („Geoportal RLP“) abrufbar. Die auszulegenden Unterlagen sind über folgenden Link zugänglich: https://www.geoportal.rlp.de/mapbender/php/mod_showMetadata.php?languageCode=de&resource=wmc&layout=tabs&id=209 38

Stellungnahmen können während der o.a. Veröffentlichungs- bzw. Auslegungsfrist abgegeben werden. Sie sollen elektronisch übermittelt werden (E-Mail-Adresse der Verbandsgemeindeverwaltung Kirchen: beteiligungen@kirchen-sieg.de), können aber auch bei der Verbandsgemeindeverwaltung Kirchen, Fachbereich 5 Kommunalentwicklung schriftlich eingereicht oder zur Niederschrift vorgetragen werden.

Stellungnahmen die nicht fristgerecht abgegeben worden sind, können bei der Beschlussfassung über den Bebauungsplan unberücksichtigt bleiben (vgl. § 4a Abs. 5 BauGB).

Die Informationen zum Datenschutz können unter folgendem Link abgerufen werden: https://www.kirchen-sieg.de/datenschutz

Niederfischbach, den 16.03.2026

gez. Dominik Schuh
Ortsbürgermeister