Titel Logo
Aktuell - Mitteilungsblatt für die VG Kirchen (Sieg)
Ausgabe 13/2025
Amtliche Bekanntmachungen
Zurück zur vorigen Seite
Zurück zur ersten Seite der aktuellen Ausgabe

Öffentliche Bekanntmachung

Berichtigungen des Flächennutzungsplanes der Verbandsgemeinde Kirchen (Sieg)

Nachfolgende Berichtigungen wurden dem Rat der Verbandsgemeinde in öffentlicher Sitzung am 18.03.2025 vorgestellt und werden hiermit ortsüblich bekannt gemacht:

1) Stadt Kirchen - Nr. 48 – Wehbach Süd, In Kraft getreten am: 23.05.2014

Im Flächennutzungsplan sind die betroffenen Flächen als „Grünflächen“ und als „Gemischte Bauflächen“ dargestellt.

Der Bebauungsplan Wehbach Süd setzt gewerbliche Bauflächen fest. Daher ist die Berichtigung zugunsten der gewerblichen Bauflächen vorzunehmen.

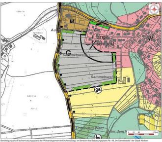
2) Stadt Kirchen - Nr. 49 – Im Sametswald; In Kraft getreten am: 21.12.2018

Im Flächennutzungsplan sind die betroffenen Flächen als „Gewerbliche Bauflächen“ dargestellt.

Berichtigung: Der Flächennutzungsplan weist zukünftig an dieser Stelle „Wohnbauflächen“ aus.

3) OG Mudersbach - Nr. 10.7 - Im Wald, 7. Änderung; In Kraft getreten am: 12.06.2020

Im Flächennutzungsplan sind die betroffenen Flächen als „Fläche für den Gemeindedarf-Schule“ und „Grünfläche Friedhof“ dargestellt.

Berichtigung: Der Flächennutzungsplan weist zukünftig an dieser Stelle „Fläche für den Gemeinbedarf“ bzw. „Grünfläche“ aus:

4) OG Niederfischbach - Nr. 28 – Ortseingang Ost, In Kraft getreten am: 03.12.2021, sowie Nr. 28.1 – Ortseingang Ost, 1. Änderung, In Kraft getreten am: 09.02.2024

Im Flächennutzungsplan sind die betroffenen Flächen als „Wohnbauflächen“ dargestellt.

Berichtigung: Der Flächennutzungsplan weist zukünftig an dieser Stelle „Gemischte Baufläche“, sowie „Fläche für den Straßenverkehr“ aus:

5) Stadt Kirchen - Bebauungsplan Nr. 8.1 „Kreiskrankenhaus und Umgebung“, In Kraft getreten am: 23.09.2022

Im Flächennutzungsplan sind die betroffenen Flächen als „Gemischte Baufläche“, sowie „Grünfläche“ dargestellt.

Berichtigung: Der Flächennutzungsplan weist zukünftig an dieser Stelle „Gemischte Baufläche“, sowie „Sondergebiet Klinik“ aus:

6) OG Brachbach - Nr. 11 – Zechenwaldplatz, In Kraft getreten am: 09.12.2022

Im Flächennutzungsplan sind die betroffenen Flächen als „Gemischte Baufläche“ („M“) dargestellt.

Berichtigung: Der Flächennutzungsplan weist zukünftig an dieser Stelle „Wohnbaufläche“ („W“) aus:

7) OG Brachbach - Nr. 4.3 – 3. Änderung Häslich II, In Kraft getreten am: 17.11.2023

Im Flächennutzungsplan ist die betroffene Fläche als „Grünfläche Friedhof“ dargestellt.

Berichtigung: Der Flächennutzungsplan weist zukünftig an dieser Stelle eine „Fläche für den Gemeinbedarf“ aus:

8) OG Mudersbach - Nr. 24 – Wohnanlage Barbarastraße, In Kraft getreten am: 10.01.2025

Im Flächennutzungsplan ist die betroffene Fläche bisher als „Gemischte Baufläche“ („M“) dargestellt.

Berichtigung: Der Flächennutzungsplan weist zukünftig an dieser Stelle eine „Fläche für Wohnbebauung“ („W) aus:

Verfahren:

Nach § 13 a Baugesetzbuch kann die Aufstellung eines Bebauungsplans, der die Wiedernutzbarmachung von Flächen, die Nachverdichtung oder andere Maßnahmen der Innenentwicklung zum Ziel hat, im beschleunigten Verfahren durchgeführt werden. Die geordnete städtebauliche Entwicklung darf dabei nicht beeinträchtigt werden. Die dem Bebauungsplan entgegenstehenden Darstellungen im Flächennutzungsplan werden mit Inkrafttreten des Bebauungsplans obsolet. Der Flächennutzungsplan muss daher im Wege der Berichtigung angepasst werden.

Die Berichtigung stellt einen redaktionellen Vorgang dar, auf den die Vorschriften über die Aufstellung von Bauleitplänen keine Anwendung finden. Sie erfolgt ohne Öffentlichkeits- und Behördenbeteiligung, beinhaltet keinen Umweltbericht und bedarf nicht der Genehmigung.

Mit dieser Bekanntmachung treten die vorgenannten Berichtigungen in Kraft und werden in entsprechender Anwendung des § 6 Abs. 5 Baugesetzbuch (BauGB) zur Einsicht bereitgehalten. Der Flächennutzungsplan wird in Zimmer 429, dem Fachbereich 5 der Verbandsgemeindeverwaltung Kirchen, Lindenstraße 1 während der Dienstzeiten (Mo.- Do. 08:00 bis 12:00 Uhr und 13:30 bis 16:00 Uhr, Fr. 08:00 bis 12:00 Uhr) zur Einsicht bereitgehalten. Jedermann kann den Flächennutzungsplan sowie seine Bestandteile (Begründung, Ziele, textliche Festsetzungen) einsehen und über ihren Inhalt Auskunft verlangen.

Kirchen, den 19.03.2025
Gez. Andreas Hundhausen
Bürgermeister der Verbandsgemeinde Kirchen (Sieg)