Titel Logo
Aktuell - Mitteilungsblatt für die VG Kirchen (Sieg)
Ausgabe 22/2024
Amtliche Bekanntmachungen
Zurück zur vorigen Seite
Zurück zur ersten Seite der aktuellen Ausgabe

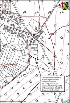
Öffentliche Bekanntmachung Aufstellung eines vorhabenbezogenen Bebauungsplans Nr. 18 „Glückaufstraße 64“ der Ortsgemeinde Brachbach

Skizze Übersichtsplan Geltungsbereich Bebauungsplan „Glückaufstraße 64“

Aufstellung eines vorhabenbezogenen Bebauungsplans Nr. 18 „Glückaufstraße 64“ der Ortsgemeinde Brachbach

Ortsübliche Bekanntmachung des Aufstellungsbeschlusses gemäß § 2 Abs. 1 Baugesetzbuch (BauGB)

Der Rat der Ortsgemeinde Brachbach hat am 16.05.2024 in öffentlicher Sitzung aufgrund von § 2 Abs. 1 BauGB i.V.m. § 12 Abs. 2 BauGB auf Antrag eines Vorhabenträgers die Aufstellung des oben genannten vorhabenbezogenen Bebauungsplans beschlossen und die Verwaltung beauftragt die erforderlichen Verfahrensschritte einzuleiten. Die Aufstellung erfolgt im Regelverfahren.

Planbereich:

Der Planbereich liegt im südlichen Bereich der Glückaufstraße in Brachbach, angrenzend an die Hausnummer 64. Im seit dem 16.12.2016 wirksamen Flächennutzungsplan der Verbandsgemeinde Kirchen (Sieg) ist die Parzelle 1/6 als Wohnbaufläche (W) dargestellt und der Bebauungsplan wird dahingehend aus dem Flächennutzungsplan im Sinne des § 8 Abs. 2 BauGB entwickelt. Lediglich die Parzelle 1/5 ist als landwirtschaftliche Fläche ausgewiesen. Dies kann aber dahinstehen, da diese Parzelle als nicht überbaubare Fläche ausgewiesen werden soll.

Verfahren:

Es ist beabsichtigt, den Bebauungsplan im Regelverfahren durchzuführen.

Ziel des Bebauungsplans:

Die Antragsteller beabsichtigen, auf dem ca. 680 m² großen Flurstück 1/6 eine Garage zu errichten. Die Garage soll sich in den Zusammenhang der bereits angrenzend vorhandenen Bebauung und in das vorhandene Gelände einfügen.

Das Grundstück wird derzeit als Gartenanlage des Wohnhauses Glückaufstraße Nr. 64 genutzt und liegt ca. 3 m über dem Straßenniveau. Der Garagenbaukörper soll in den Hang gebaut und begrünt werden, damit sich die Gartenanlage später wieder so darstellt, wie im jetzigen Bestand.

Hinweis:

Es wird ferner mitgeteilt, dass bei Durchführung der Beteiligung der Öffentlichkeit und Behörden sowie sonstigen Träger öffentlicher Belange im Sinne von §§ 3 Abs. 1 u. 2 u. 4 Abs. 1 u. 2 BauGB ein entsprechender Hinweis im Mitteilungsblatt erfolgt.

Der Beschluss zur Aufstellung des Bebauungsplans „Glückaufstraße 64“ wird hiermit gemäß § 2 Abs. 1 Satz 2 BauGB ortsüblich bekannt gemacht.

Brachbach, den 23.05.2024
Steffen Kappes, Ortsbürgermeister