Titel Logo
Aktuell - Mitteilungsblatt für die VG Kirchen (Sieg)
Ausgabe 24/2025
Amtliche Bekanntmachungen
Zurück zur vorigen Seite
Zurück zur ersten Seite der aktuellen Ausgabe

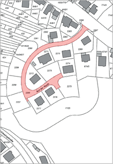
Bekanntmachung zur Widmung der Gemeindestraße „Auf der Harth“ in der Ortsgemeinde Niederfischbach

Die Gemeindestraße „Auf der Harth“, welche in der Straßenparzellen Gemarkung Fischbach, Flur 7, Parzelle 2268 liegt, wird, aufgrund des Beschlusses des Ortsgemeinderates Niederfischbach vom 19.05.2025, gemäß § 36 LStrG als Gemeindestraße im Sinne von § 3 Ziffer 3 Buchstrabe a LStrG dem öffentlichen Verkehr gewidmet. Verkehrsbeschränkungen werden nicht festgesetzt.

Die Verkehrsfläche ist in einem Lageplan, welcher Bestandteil dieser Widmung ist, rot markiert und nachfolgend dargestellt:

Rechtsbehelfsbelehrung:

Gegen diese Widmung kann innerhalb eines Monats nach Bekanntgabe Widerspruch bei der Verbandsgemeindeverwaltung Kirchen (Sieg), Lindenstraße 1, 57548 Kirchen (Sieg) oder bei der Kreisverwaltung Altenkirchen -Kreisrechtsausschuss-, Parkstraße 1, 57610 Altenkirchen, schriftlich, in elektronischer Form nach § 3 a Abs. 2 des Verwaltungsverfahrensgesetzes oder zur Niederschrift erhoben werden.

Verbandsgemeindeverwaltung Kirchen (Sieg), 05.06.2025