Titel Logo
Wäller Blättchen - Verbandsgemeinde Bad Marienberg
Ausgabe 24/2025
Aus den Gemeinden
Zurück zur vorigen Seite
Zurück zur ersten Seite der aktuellen Ausgabe

Widmungsverfügung der Verbandsgemeinde Bad Marienberg

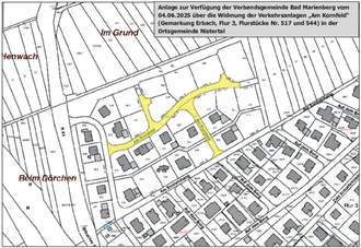
Widmung der Verkehrsanlage „Am Kornfeld“ in der Ortsgemeinde Nistertal für den öffentlichen Verkehr gemäß Landesstraßengesetz Rheinland-Pfalz

1. Der Gemeinderat der Ortsgemeinde Nistertal hat in seiner Sitzung am 20.02.2025 beschlossen, die Verkehrsanlage „Am Kornfeld“ (Gemarkung Erbach, Flur 3, Flurstücke Nr. 517 und 544) in der Ortsgemeinde Nistertal gemäß § 36 des Landesstraßengesetzes für Rheinland-Pfalz vom 01.08.1977 (GVBl. Seite 273), in der derzeit geltenden Fassung, dem öffentlichen Verkehr zu widmen.

2. Die Verkehrsanlage „Am Kornfeld“ (Gemarkung Erbach, Flur 3, Flurstücke Nr. 517 und 544) in der Ortsgemeinde Nistertal erhalten die Eigenschaft einer öffentlichen Gemeindestraße im Sinne des § 3 Ziffer 3 a Landesstraßengesetz Rheinland-Pfalz.

3. Gegen Nr. 2 dieser Verfügung kann innerhalb eines Monats nach Bekanntgabe Widerspruch bei der Verbandsgemeindeverwaltung Bad Marienberg, Kirburger Straße 4, 56470 Bad Marienberg erhoben werden.

Hinweis: Die genaue Lage und der genaue Verlauf der gewidmeten Verkehrsanlagen sind auf dem beigefügten Lageplan, der Bestandteil dieser Verfügung ist, farblich markiert.

56470 Bad Marienberg, den 04.06.2025
Andreas Heidrich
Bürgermeister