Titel Logo
Wochenblatt der Verbandsgemeinde Montabaur
Ausgabe 22/2025
Augst
Zurück zur vorigen Seite
Zurück zur ersten Seite der aktuellen Ausgabe

Öffentliche Bekanntmachung: Durchführung der 2. Änderung und Erweiterung des Bebauungsplanes „Eisenköppel-Börnchen“ der Ortsgemeinde Neuhäusel

Öffentliche Bekanntmachung

Durchführung der 2. Änderung und Erweiterung des Bebauungsplanes „Eisenköppel-Börnchen“ der Ortsgemeinde Neuhäusel

I.

Änderungsbeschluss gem. § 2 Abs. 1 i.V.m. § 1 Abs. 8 BauGB

II.

Frühzeitige Beteiligung der Öffentlichkeit gem. § 3 Abs. 1 BauGB von 02.06.2025 bis 04.07.2025

I. Änderungsbeschluss gem. § 2 Abs. 1 i.V.m. § 1 Abs. 8 BauGB

Der Ortsgemeinderat Neuhäusel hat in seiner öffentlichen Sitzung am 06.05.2025 beschlossen, den Bebauungsplan „Eisenköppel-Börnchen“ zu ändern und zu erweitern und hierfür das erforderliche Verfahren nach dem Baugesetzbuch durchzuführen.

In der Sitzung am 06.05.2025 wurden auch die Planentwürfe seitens des Ortsgemeinderates angenommen.

Gemäß § 2 Abs. 1 i.V.m. § 1 Abs. 8 BauGB wird der Änderungsbeschluss hiermit ortsüblich bekanntgemacht.

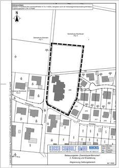
Der Geltungsbereich des Bebauungsplans wird wie folgt begrenzt:

  • Im Norden durch eine Teilfläche des Waldgrundstücks Flurstück 1, Flur 3

  • Im Osten durch eine Teilfläche des Waldgrundstücks Flurstück 1, Flur 3 bzw. durch die rückwärtigen Grundstücksgrenzen der Flurstücke 215, 221/1, 224/1 sowie 224/2, Flur 3

  • Im Süden durch die Straße „Schulfeld“

  • Im Westen durch Straße „Eisenköppel“ und die angrenzende Wirtschaftswegeparzelle 103/1, Flur 3

Der Geltungsbereich umfasst das Flurstück 222 sowie Teilflächen der Flurstücke 105 und 1, Flur 3 in der Gemarkung Neuhäusel, die im beigefügten Übersichtsplan dick gestrichelt umrandet sind.

Externe Ausgleichsflächen:

Die Festsetzung der erforderlichen externen Ausgleichsmaßnahmen erfolgt bis zur Durchführung der Offenlage.

Ziel der Bebauungsplanänderung und Erweiterung:

Die Ortsgemeinde Neuhäusel plant die Erweiterung ihrer bestehenden Kindertagesstätte. Zur Schaffung der bauplanungsrechtlichen Voraussetzungen zur Erweiterung des bestehenden Kita-Gebäudes inkl. Außengelände ist eine Änderung und Erweiterung des rechtskräftigen Bebauungsplanes „Eisenköppel-Börnchen“ erforderlich.

Die geplante Erweiterung der Kindertagesstätte soll in nördliche Richtung auf einem Waldgrundstück vorgesehen werden. Dabei soll ein bestehender Fußweg in die Erweiterungsfläche integriert werden. Der Geltungsbereich misst eine Plangebietsgröße von rund 6.000 m².

II. Frühzeitige Öffentlichkeitsbeteiligung

Gemäß § 3 Abs. 1 Satz 1 BauGB ist die Öffentlichkeit möglichst frühzeitig über die allgemeinen Ziele und Zwecke der Planung, sich wesentlich unterscheidende Lösungen, die für die Neugestaltung oder Entwicklung eines Gebiets in Betracht kommen und die voraussichtlichen Auswirkungen der Planung öffentlich zu unterrichten. Darüber hinaus ist der Öffentlichkeit Gelegenheit zur Äußerung und Erörterung zu geben. Gemäß § 3 Abs. 1 S. 2 BauGB sind auch Kinder und Jugendliche Teil der Öffentlichkeit i.S.d. § 3 Abs. 1 S. 1 BauGB.

In Erfüllung dieser gesetzlichen Vorschrift liegen die Planunterlagen (Übersichtsplan, Planzeichnung, Textliche Festsetzungen, Begründung, Umweltbericht, Lageplan Bestand, Zwischenbericht Fachbeitrag Artenschutz) sowie ein Formblatt über „Datenschutzrechtliche Informationspflichten im Bauleitplanverfahren“ in der Zeit

02.06.2025 bis 04.07.2025 (einschließlich),

bei der Verbandsgemeindeverwaltung Montabaur, Bauamt, Zimmer 223, Konrad-Adenauer-Platz 8, 56410 Montabaur, während der Dienststunden

montags, dienstags

und mittwochs

von 08:00 bis 12:30 Uhr

und 14:00 bis 16:00 Uhr

donnerstags

von 08:00 bis 12:30 Uhr

und 14:00 bis 18:00 Uhr

freitags

von 08:00 bis 12:30 Uhr

zu jedermanns Einsichtnahme öffentlich aus.

Gerne bieten wir Ihnen an, im Vorfeld einen Termin mit der für dieses Bauleitplanverfahren zuständigen Sachbearbeiterin des Sachgebiets 2.1, Planen und Bauen, zu vereinbaren (E-Mail: mboeckling@montabaur.de, Telefonnummer: 02602/126-173).

Die Unterlagen werden im o. g. Zeitraum zusätzlich auf der Internetseite der Verbandsgemeinde Montabaur unter nachfolgender Internetadresse/Rubrik veröffentlicht:

www.vg-montabaur.de {{gt}} Rubrik Leben & Erleben {{gt}} Bauen & Wohnen {{gt}} Laufende Bauleitplanverfahren {{gt}} Bebauungspläne der Ortsgemeinden{{gt}} Ortsgemeinde Neuhäusel {{gt}} 2. Änderung und Erweiterung des Bebauungsplanes „Eisenköppel-Börnchen“

Während dieser Auslegungsfrist wird der Öffentlichkeit Gelegenheit zur Äußerung und Erörterung gegeben. Sollte die Erörterung zu einer Änderung der Planung führen, so findet gem. § 3 Abs. 1 letzter Satz BauGB keine erneute Anhörung statt. In diesem Fall schließt sich die Veröffentlichung gem. § 3 Abs. 2 BauGB an.

Hinweise:

Alle DIN-Normen und Vorschriften (Gesetze, Verordnungen, Erlasse), auf die in den Planunterlagen verwiesen wird, werden bei der Verbandsgemeindeverwaltung Montabaur zu jedermanns Einsicht bereitgehalten.

Während der frühzeitigen Öffentlichkeits- und Behördenbeteiligung können Stellungnahmen zu der Planung bei der Verbandsgemeindeverwaltung Montabaur schriftlich, mündlich, zur Niederschrift oder in sonstiger geeigneter Textform (z.B. Fax an Fax-Nr. 02602/126-297 oder E-Mail an bauleitplanung@montabaur.de) abgegeben werden.

Datenschutz:

Die Verarbeitung personenbezogener Daten erfolgt auf der Grundlage der Art. 6 Abs. 1 Buchstabe e Datenschutz-Grundverordnung (DSGVO) i. V. mit § 3 BauGB und dem Landesdatenschutzgesetz Rheinland-Pfalz (LDSG RLP).

Sofern Sie Ihre Stellungnahme ohne Absenderangaben abgeben, erhalten Sie keine Mitteilung über das Ergebnis der Prüfung Ihrer Stellungnahme. Weitere Informationen entnehmen Sie bitte dem Formblatt „Datenschutzrechtliche Informationspflichten im Bauleitplanverfahren“, das ebenfalls öffentlich ausliegt.

Neuhäusel, 21.05.2025
Barbara Sartor, Ortsbürgermeisterin