Titel Logo
Wochenblatt der Verbandsgemeinde Montabaur
Ausgabe 25/2023
Montabaur
Zurück zur vorigen Seite
Zurück zur ersten Seite der aktuellen Ausgabe

Widmung von öffentlichen Verkehrsanlagen im Bereich der Stadt Montabaur im Stadtteil Eschelbach

Öffentliche Bekanntmachung

Widmung von öffentlichen Verkehrsanlagen im Bereich der Stadt Montabaur im Stadtteil Eschelbach

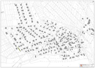
Aufgrund der Bestimmungen des § 36 Landesstraßengesetz Rheinland-Pfalz (LStrG) vom 01.08.1977 (Gesetz- und Verordnungsblatt Seite 273) in der derzeit geltenden Fassung und dem Beschluss des Bauausschusses des Stadtrates der Stadt Montabaur vom 16.05.2023 werden die nachstehend bezeichneten Verkehrsflächen im Ortsbezirk Eschelbach als Gemeindestraße im Sinne von § 3 Nr. 3 Buchstabe b) Unterpunkt aa) LStrG dem öffentlichen Verkehr gewidmet. Die Widmung erstreckt sich auf die nachfolgend bezeichneten Grundstücke; vgl. dazu die entsprechenden Markierungen im Lageplan.

Anlage 1

Lageplan Ortsbezirk Montabaur - Eschelbach inklusive gewidmeter Verkehrsflächen

Tag der Verkehrsübergabe:

Nach dem Tage der öffentlichen Bekanntmachung.

Die Widmung tritt nach dem Tage der öffentlichen Bekanntmachung in Kraft. Ein Plan, aus dem die genaue Lage und der Umfang der gewidmeten Flächen ersichtlich ist, kann während der Dienststunden in den Räumlichkeiten der Beitragsgruppe -SG 3.1-, eingesehen werden.

Rechtsbehelfsbelehrung

Gegen diese Verfügung kann innerhalb eines Monats nach Bekanntgabe Widerspruch erhoben werden. Der Widerspruch kann schriftlich, in elektronischer Form nach § 3 a Absatz 2 des Verwaltungsverfahrensgesetzes oder zur Niederschrift bei der Verbandsgemeindeverwaltung Montabaur, Konrad-Adenauer-Platz 8, 56410 Montabaur erhoben werden.

Für den Fall, dass Sie den Widerspruch in elektronischer Form nach § 3 a Absatz 2 des Verwaltungsverfahrensgesetzes einlegen möchten, beachten Sie bitte, dass der fristgerechte Rechtsbehelf - um Wirksamkeit entfalten zu können - ausschließlich über die E-Mail-Adresse der sogenannten „virtuellen Poststelle“ (VPS):

vg-montabaur@poststelle.rlp.de eingelegt werden kann.

Montabaur, den 15.06.2023
Richter-Hopprich
Bürgermeister der Verbandsgemeinde Montabaur