Titel Logo
Wochenblatt der Verbandsgemeinde Montabaur
Ausgabe 26/2025
Ahrbachgemeinden
Zurück zur vorigen Seite
Zurück zur ersten Seite der aktuellen Ausgabe

Bekanntmachung Umlegungsbeschluss

Ortsgemeinde Boden
Geschäftsstelle:

- Umlegungsausschuss -

Vermessungs- und

Katasteramt

Westerwald-Taunus

Bekanntmachung

nach § 50 Abs. 1 des Baugesetzbuchs (BauGB) in der Fassung der Bekanntmachung vom 3. November 2017 (BGBI. I S. 3634) in der jeweils geltenden Fassung.

I. Umlegungsbeschluss

Der Umlegungsausschuss der Ortsgemeinde Boden hat am 26. Mai 2025 folgenden Beschluss gefasst:

Nach § 47 des Baugesetzbuchs (BauGB) in der Fassung der Bekanntmachung vom 03. November 2017 (BGBL. I S. 3634) in seiner jeweils geltenden Fassung in Verbindung mit § 1 Abs. 1 der Umlegungsausschussverordnung wird aufgrund der Umlegungsanordnung (§ 46 Abs. 1 BauGB) der Gemeinde Boden vom 11.03.2025 und nach erfolgter Anhörung der Eigentümer (§ 47 Abs. 1 BauGB) die Umlegung eingeleitet.

Das Umlegungsverfahren erhält die Bezeichnung „Mühlweg II".

In das Umlegungsverfahren sind folgende Flurstücke einbezogen:

Gemarkung:

Boden

Grundbuchbezirk:

Boden

Flur:

18

Flurstücke Nr.:

1324/1 tlw. (1324/A), 1325 tlw. (1325/A), 1326/1 tlw. (1326/A), 1358, 1359, 1360, 1361, 1362, 1363, 1364, 1365, 1366, 1367, 1368/1, 1370, 1371, 1372, 1373, 1374, 1375, 1376, 1436 tlw. (1436/A), 1614 tlw. (1614/A)

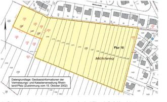
Der beigefügte Auszug aus der Liegenschaftskarte mit der Gebietsabgrenzung ist Bestandteil dieses Beschlusses.

Im Folgenden wird der Umlegungsausschuss als „durchführende Stelle" bezeichnet.

II. Beteiligte im Umlegungsverfahren und Aufforderung zur Anmeldung von Rechten

Nach § 48 BauGB sind im Umlegungsverfahren Beteiligte:

1.

die Eigentümerinnen und Eigentümer der im Umlegungsgebiet gelegenen Grundstücke,

2.

die Inhaberinnen und Inhaber eines im Grundbuch eingetragenen oder durch Eintragung gesicherten Rechts an einem im Umlegungsgebiet gelegenen Grundstücks oder an einem das Grundstück belastenden Recht,

3.

die Inhaberinnen und Inhaber eines nicht im Grundbuch eingetragenen

- Rechts an dem Grundstück oder an einem das Grundstück belastenden Recht,

- Anspruchs mit dem Recht auf Befriedigung aus dem Grundstück,

- persönlichen Rechts, das zum Erwerb, Besitz oder zur Nutzung des Grundstücks berechtigt oder den Verpflichteten in der Benutzung des Grundstücks beschränkt,

4.

die Gemeinde Boden,

5.

Bedarfsträger / Erschließungsträger nach § 48 Abs. 1 Nr. 5+6 BauGB.

Die unter 3. bezeichneten Personen werden zu dem Zeitpunkt Beteiligte, in dem die Anmeldung ihres Rechts der durchführenden Stelle zugeht. Die Anmeldung kann bis zur Beschlussfassung über den Umlegungsplan (§ 66 Abs. 1 BauGB) erfolgen.

Bestehen Zweifel an einem angemeldeten Recht, wird die durchführende Stelle der anmeldenden Person unverzüglich eine Frist zur Glaubhaftmachung ihres Rechts setzen. Nach fruchtlosem Ablauf der Frist ist die anmeldende Person bis zur Glaubhaftmachung ihres Rechts nicht mehr zu beteiligen (§ 48 Abs. 3 BauGB).

Rechte, die aus dem Grundbuch nicht ersichtlich sind, aber zur Beteiligung am Umlegungsverfahren berechtigen, sind binnen einem Monat nach der Bekanntmachung des Umlegungsbeschlusses bei der durchführenden Stelle anzumelden.

Werden Rechte erst nach Ablauf eines Monats angemeldet oder nach Ablauf der durch den Durchführende Stelle gesetzten Frist glaubhaft gemacht, muss die berechtigte Person die bisherigen Verhandlungen und Festsetzungen gegen sich gelten lassen, wenn die durchführende Stelle dies bestimmt.

Die Inhaberin oder der Inhaber eines im Grundbuch nicht ersichtlichen Rechts, das zur Beteiligung am Umlegungsverfahren berechtigt, muss die Wirkung eines vor der Anmeldung eingetretenen Fristablaufs ebenso gegen sich gelten lassen, wie die beteiligte Person, der gegenüber die Frist durch diese Bekanntmachung zuerst in Lauf gesetzt worden ist.

Wechselt die Person einer Beteiligten oder eines Beteiligten während des Umlegungsverfahrens, so tritt seine Rechtsnachfolgerin oder sein Rechtsnachfolger in das Verfahren in dem Zustand ein, in dem es sich im Zeitpunkt des Übergangs des Rechts befindet (§ 49 BauGB).

III. Verfügungs- und Veränderungssperre

Nach § 51 BauGB dürfen von der Bekanntmachung des Umlegungsbeschlusses bis zur Bekanntmachung der Unanfechtbarkeit des Umlegungsplans (§ 71 BauGB) im Umlegungsgebiet nur mit schriftlicher Genehmigung der durchführenden Stelle

1.

ein Grundstück geteilt oder Verfügungen über ein Grundstück und über Rechte an einem Grundstück getroffen oder Vereinbarungen abgeschlossen werden, durch die einem anderen ein Recht zum Erwerb, zur Nutzung oder Bebauung eines Grundstücks oder Grundstücksteils eingeräumt wird,

2.

Baulasten neu begründet, geändert oder aufgehoben werden,

3.

erhebliche Veränderungen der Erdoberfläche oder wesentlich wertsteigernde sonstige Veränderungen der Grundstücke vorgenommen werden,

4.

nicht genehmigungs-, zustimmungs- oder anzeigepflichtige, aber wertsteigernde bauliche Anlagen errichtet oder wertsteigernde Änderungen solcher Anlagen vorgenommen werden,

5.

genehmigungs-, zustimmungs- oder anzeigepflichtige bauliche Anlagen errichtet oder geändert werden.

Vorhaben, die vor dieser Bekanntmachung baurechtlich genehmigt worden sind, Unterhaltungsarbeiten und die Fortführung einer bisher ausgeübten Nutzung werden von der Verfügungs- und Veränderungssperre nicht berührt.

IV. Geschäftsstelle

Die Geschäftsstelle der durchführenden Stelle ist bei dem Vermessungs- und Katasteramt Westerwald-Taunus, Jahnstraße 5, 56457 Westerburg eingerichtet.

V. Auslegung von Bestandskarte und Bestandsverzeichnis

Das Bestandsverzeichnis und die Bestandskarte, in denen der Nachweis des Grundbuchs und Liegenschaftskatasters für alle Grundstücke des Umlegungsgebiets aufgeführt ist, liegen vom 18.07.2025 bis einschließlich 18.08.2025 bei der Verbandsgemeindeverwaltung Montabaur, während der Dienststunden öffentlich aus.

VI. Vorbereitende Maßnahmen

Den Beauftragten der zuständigen Behörden ist nach § 209 BauGB zur Vorbereitung der von ihnen nach diesem Gesetzbuch zu treffenden Maßnahmen das Recht eingeräumt, alle dem Verfahren unterworfenen Grundstücke zu betreten, um Vermessungen, Abmarkungen, Bewertungen oder ähnliche Arbeiten auszuführen, nachdem den Eigentümerinnen, Eigentümern, Erbbauberechtigten und Besitzern die Absicht, solche Arbeiten auszuführen, rechtzeitig bekannt gegeben worden ist.

VII. Rechtsbehelfsbelehrung

Gegen den Umlegungsbeschluss kann innerhalb eines Monats nach Bekanntgabe Widerspruch erhoben werden. Die Monatsfrist beginnt zwei Wochen nach der öffentlichen Bekanntmachung.

Der Widerspruch kann

1.

in elektronischer Form nach § 3a Abs. 2 des Verwaltungsverfahrensgesetzes oder

2.

schriftlich oder zur Niederschrift bei dem Umlegungsausschuss der Ortsgemeinde Boden, Geschäftsstelle: Vermessungs-und Katasteramt Westerwald-Taunus, Jahnstraße 5, 56457 Westerburg

erhoben werden.

Westerburg, den 25.06.2025
(D.S.)
Dr.-Ing. Gabriele Hückelheim
Vorsitzende des Umlegungsausschusses

Hinweis:

Diese Bekanntmachung ist zusätzlich im Internet unter folgendem Link veröffentlicht:

https//www.vg-montabaur.de/leben-erleben/bauen-wohnen/umlegungsverfahren/

Nähere Informationen zur formgebundenen elektronischen Kommunikation mit der die Umlegung durchführenden Stelle finden Sie unter https://vermka-westerwald-taunus.rlp.de/de/wichtige-informationen/elektronische-kommunikation/.

Hinweise zum Datenschutz finden Sie unter https://vermgeo.rip.de/de/wichtige-informationen/datenschutz/.